Forum Entomologi Italiani
http://www.entomologiitaliani.net/public/forum/phpBB3/

Helladia praetextata nigricollis (Pic, 1891) - Cerambycidae - Spedizione italo - turca - Turchia 2011
http://www.entomologiitaliani.net/public/forum/phpBB3/viewtopic.php?f=145&t=23860
Pagina 1 di 1

Autore:  Isotomus [ 30/06/2011, 18:08 ]
Oggetto del messaggio:  Helladia praetextata nigricollis (Pic, 1891) - Cerambycidae - Spedizione italo - turca - Turchia 2011

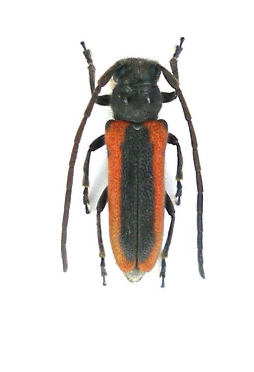
Helladia praetextata nigricollis (Pic, 1891) - maschio e femmina
Turchia Mersin: Çamliyayla, 24/25.V.2011
La forma tipica ha una distribuzione che comprende Bulgaria, Romania, Ucraina, Caucaso e Turchia settentrionale; la sottospecie è nota della Turchia meridionale e di Siria.
Helladia praetextata nigricollis_Çamliyayla_Turchia 2011 - preparati 004.jpg

Helladia praetextata nigricollis Pic, 1891ÇamliyaylaTurchia 2011 -Turchia 2011 - preparati 012.jpg


Autore:  cosmln [ 30/06/2011, 18:10 ]
Oggetto del messaggio:  Re: Helladia praetextata nigricollis (Pic, 1891) - Spedizione italo - turca - Turchia 2011

WOW, che bella ... non ho ancora trovato questa specie qui.

Autore:  Plagionotus [ 30/06/2011, 18:25 ]
Oggetto del messaggio:  Re: Helladia praetextata nigricollis (Pic, 1891) - Spedizione italo - turca - Turchia 2011

La differenza rispetto alla forma tipica consiste nella colorazione uniformemente nera del protorace anzichè rossa e bordata di nero con due punti ai lati della forma tipica?

Autore:  cosmln [ 30/06/2011, 18:35 ]
Oggetto del messaggio:  Re: Helladia praetextata nigricollis (Pic, 1891) - Spedizione italo - turca - Turchia 2011

Plagionotus ha scritto:
La differenza rispetto alla forma tipica consiste nella colorazione uniformemente nera del protorace anzichè rossa e bordata di nero con due punti ai lati della forma tipica?


vedi qui.

Autore:  Plagionotus [ 30/06/2011, 18:43 ]
Oggetto del messaggio:  Re: Helladia praetextata nigricollis (Pic, 1891) - Spedizione italo - turca - Turchia 2011

Ok for the distribution, but I would know the morphological differences :D :)

Autore:  Tenebrio [ 30/06/2011, 19:27 ]
Oggetto del messaggio:  Re: Helladia praetextata nigricollis (Pic, 1891) - Spedizione italo - turca - Turchia 2011

Credo che Cosmin ti rimandasse alla foto della forma tipica.

:) Ciao
Piero

Autore:  Isotomus [ 30/06/2011, 20:04 ]
Oggetto del messaggio:  Re: Helladia praetextata nigricollis (Pic, 1891) - Spedizione italo - turca - Turchia 2011

In effetti la differenza è data proprio dalla colorazione del pronoto.
Devo dire, tuttavia, che anche la colorazione elitrale appare diversa, ocracea nella forma tipica
(qui una pessima foto di un esemplare di Kizilçahamam (Ankara)
Helladia praetxtata praetextatai 005.jpg


e rossiccia in tutti gli esemplari raccolti durante la nostra spedizione assieme a quelli fotografati . Quello che è strano è che in tutti gli esemplari che possiedo di entrambe le sottospecie (una quarantina di esemplari, frutto soprattutto delle raccolte di Peter Schurmann a Çamliyayla negli anni '60, ma anche da me negli anni '80 e '90 nella stessa località) presentano una colorazione ocracea. Ho il dubbio che i pigmenti che originano la colorazione tendano a mutare con gli anni.

Autore:  Plagionotus [ 30/06/2011, 21:01 ]
Oggetto del messaggio:  Re: Helladia praetextata nigricollis (Pic, 1891) - Spedizione italo - turca - Turchia 2011

Isotomus ha scritto:
In effetti la differenza è data proprio dalla colorazione del pronoto.
Devo dire, tuttavia, che anche la colorazione elitrale appare diversa, ocracea nella forma tipica
(qui una pessima foto di un esemplare di Kizilçahamam (Ankara)
e rossiccia in tutti gli esemplari raccolti durante la nostra spedizione assieme a quelli fotografati . Quello che è strano è che in tutti gli esemplari che possiedo di entrambe le sottospecie (una quarantina di esemplari, frutto soprattutto delle raccolte di Peter Schurmann a Çamliyayla negli anni '60, ma anche da me negli anni '80 e '90 nella stessa località) presentano una colorazione ocracea. Ho il dubbio che i pigmenti che originano la colorazione tendano a mutare con gli anni.


Effettivamente anche a me verrebbe da pensare così, i pigmenti non cambiano colore velocemente come in altre specie ma solo nel corso di decenni, mi viene da pensare (sempre parlando di esemplari a colorazione chimica rossa) ai Purpuricenini, che cambiano si colore, ma solo dopo alcuni decenni.

Autore:  Clickie [ 30/06/2011, 21:07 ]
Oggetto del messaggio:  Re: Helladia praetextata nigricollis (Pic, 1891) - Spedizione italo - turca - Turchia 2011

Modestissimo contributo: ho notato una cosa curiosa in Chalchenesthes: singoli esemplari in cui parte del rosso sulle elitre è vero rosso ed altra parte vira invece verso il giallastro - ocra, asimmetricamente. Ho una foto in natura di un esemplare così, domani la sbatto dentro.
A bientot.

Autore:  Plagionotus [ 30/06/2011, 21:15 ]
Oggetto del messaggio:  Re: Helladia praetextata nigricollis (Pic, 1891) - Spedizione italo - turca - Turchia 2011

Probabilmente è una diversa distribuzione del pigmento nelle elitre. Avviene anche con gli uomini d'altra parte. Cosa dici Gianfranco?

Autore:  Glaphyrus [ 30/06/2011, 21:46 ]
Oggetto del messaggio:  Re: Helladia praetextata nigricollis (Pic, 1891) - Spedizione italo - turca - Turchia 2011

Che bella :p
Perchè io sono stato a Camliyayla esattamente ndegli stessi giorni del 2010 ma non l'ho trovata :twisted: :cry: ?

Autore:  Isotomus [ 01/07/2011, 8:46 ]
Oggetto del messaggio:  Re: Helladia praetextata nigricollis (Pic, 1891) - Spedizione italo - turca - Turchia 2011

Glaphyrus ha scritto:
Che bella :p
Perchè io sono stato a Camliyayla esattamente negli stessi giorni del 2010 ma non l'ho trovata :twisted: :cry: ?

Perché non hai raccolto nel posto giusto; noi abbiamo sfalciato qui
TURCHIA 2011_2 053.jpg


E questa è la probabile pianta ospite (Lapsana communis ??)
TURCHIA 2011_2 057.jpg



Ma attenzione, perché il posto è in paese e la Polis è "vigile"...

Pagina 1 di 1 Tutti gli orari sono UTC + 1 ora [ ora legale ]
Powered by phpBB® Forum Software © phpBB Group
http://www.phpbb.com/