Forum Entomologi Italiani
http://www.entomologiitaliani.net/public/forum/phpBB3/

Molorchus juglandis Sama, 1982 - Spedizione italo turca Turchia 2011
http://www.entomologiitaliani.net/public/forum/phpBB3/viewtopic.php?f=145&t=23863
Pagina 1 di 1

Autore:  Isotomus [ 30/06/2011, 18:35 ]
Oggetto del messaggio:  Molorchus juglandis Sama, 1982 - Spedizione italo turca Turchia 2011

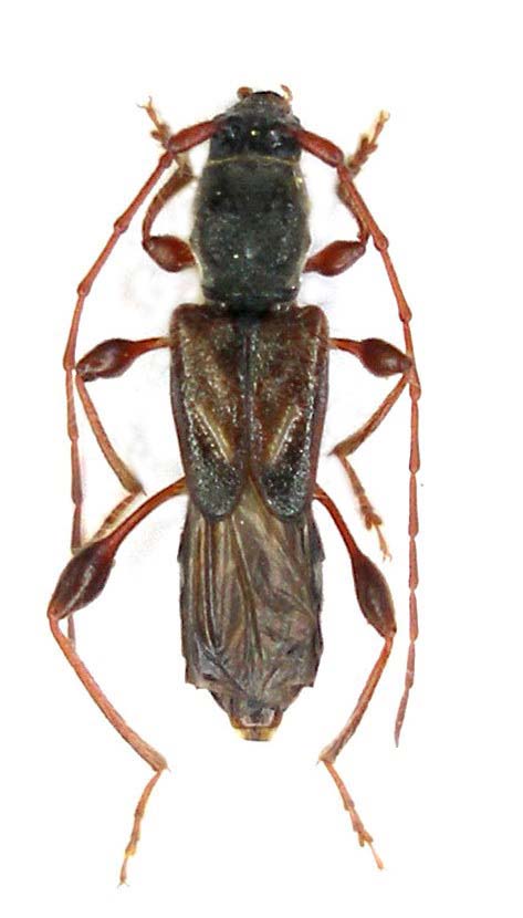
Molorchus juglandis Sama, 1982 - femmina
Turchia Mersin: Çamliyayla, 24/25.V.2011

Specie di Turchia e del Vicino Oriente, nota di Turchia meridionale, Libano ed Israele.
A differenza del nostro M. minor, che si sviluppa sulle conifere (Pinacee), questa specie si evolve, a livello larvale, su latifoglie.
Molorchus juglandis_female_Çamliyayla_Turchia 2011 - preparati 020.jpg


Pagina 1 di 1 Tutti gli orari sono UTC + 1 ora [ ora legale ]
Powered by phpBB® Forum Software © phpBB Group
http://www.phpbb.com/