Benvenuto Ospite

Forum Entomologi Italiani

www.entomologiitaliani.net/forum
 
Oggi è 25/10/2025, 15:45

Tutti gli orari sono UTC + 1 ora [ ora legale ]

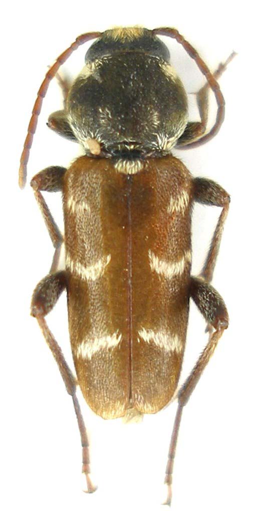
Turanoclytus ilamensis ilamensis Holzschuh, 1979 - Cerambycidae

23.V.2005 - IRAN, REPUBBLICA ISLAMICA DELL' - EE, Khorramabad:L Razan Pass, 2000m


nuovo argomento
rispondi
Pagina 1 di 1 [ 2 messaggi ]
Autore Messaggio
MessaggioInviato: 21/08/2011, 21:21 
Avatar utente

Iscritto il: 05/09/2009, 7:56
Messaggi: 3445
Località: Cesena
Nome: Gianfranco Sama
Turanoclytus ilamensis ilamensis Holzschuh, 1979

Specie nuova per il Forum :mrgreen:
Iran, Khorramabad:L Razan Pass, 2000m, 23.V.2005, ex larva da Astragalus sp.
Questa specie, endemica dell'Iran centro occidentale, fu descritta su un solo esemplare femmina. La scoperta della pianta ospite ha permesso di ottenerne una buona serie, compreso il maschio, a quel tempo sconosciuto, e di osservarne il dimorfismo sessuale, la diversa colorazione elitrale.
Maschio
Turanoclytus ilamensis_male_Razan_ 042.jpg


Femmina
Turanoclytus ilamensis_Razan pass_female_018.jpg


_________________
Gianfranco Sama

"Benedetto colui che ti aiuta a correggere i tuoi errori invece di scagliarteli contro"
___________________________________
Gershom Sholem


Top
profilo
MessaggioInviato: 21/08/2011, 21:41 
Avatar utente

Iscritto il: 18/06/2010, 0:03
Messaggi: 1214
Località: Predore ( BG)
Nome: Claudio Deiaco
Isotomus ha scritto:
Turanoclytus ilamensis ilamensis Holzschuh, 1979

Specie nuova per il Forum


E pure bella..... :ok:

_________________
Claudio Deiaco
_____________________________________


Top
profilo
Visualizza ultimi messaggi:  Ordina per  
nuovo argomento
rispondi
Pagina 1 di 1 [ 2 messaggi ]

Tutti gli orari sono UTC + 1 ora [ ora legale ]


Chi c’è in linea

Visitano il forum: Nessuno e 6 ospiti


Non puoi aprire nuovi argomenti
Non puoi rispondere negli argomenti
Non puoi modificare i tuoi messaggi
Non puoi cancellare i tuoi messaggi
Non puoi inviare allegati

Cerca per:
Vai a: