Benvenuto Ospite

Forum Entomologi Italiani

www.entomologiitaliani.net/forum
 
Oggi è 25/10/2025, 6:42

Tutti gli orari sono UTC + 1 ora [ ora legale ]

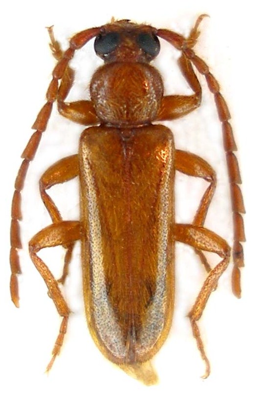
Alocerus moesiacus (Frivaldszky, 1837) Dettagli della specie

20.VI.2001 - JORDAN - EE, Ajlun


nuovo argomento
rispondi
Pagina 1 di 1 [ 3 messaggi ]
Autore Messaggio
MessaggioInviato: 21/08/2011, 15:54 
Avatar utente

Iscritto il: 05/09/2009, 7:56
Messaggi: 3445
Località: Cesena
Nome: Gianfranco Sama
Alocerus moesiacus (Frivaldszky, 1837)

Giordania, Ajlun, 7-25-IV.1999, ex ovo da Quercus calliprinos, sfarfallamenti 20.VI.2001

Mentre Marcello Benelli (Entomarci) (che è giovane e ha il fisico) se ne andava per i colli romagnoli chiedendosi, tuttavia, se ne sarebbe ritornato vista la bolla di calore, io, che non ho il fisico, sono andato a rimestare nel fresco del congelatore dove, da quasi dieci anni, andavo riponendo, in attesa di tempi migliori, quello che non avevo tempo di preparare. Ne sono venute fuori vere e proprie chicche che non ricordavo nemmeno più di avere nascosto. Inauguro, quindi, da oggi, la nuova rubrica "I tesori del congelatore" - Per quanto concerne i Cerambycidae non si tratta, ovviamente, di richieste di determinazione, per cui se qualche volonteroso, fra quelli autorizzarti, volesse inserirli imediatamente ... :lov2:
maschio
Alocerus moesiacus_male_Jordan_ 042.jpg



femmina


Alocerus moesiacus_female_Jordan_ 041.jpg


_________________
Gianfranco Sama

"Benedetto colui che ti aiuta a correggere i tuoi errori invece di scagliarteli contro"
___________________________________
Gershom Sholem
Top
profilo
MessaggioInviato: 21/08/2011, 16:10 
Avatar utente

Iscritto il: 26/03/2010, 14:55
Messaggi: 5973
Località: Romania
Nome: Cosmin-Ovidiu Manci
Isotomus ha scritto:
... Per quanto concerne i Cerambycidae non si tratta, ovviamente, di richieste di determinazione, per cui se qualche volonteroso, fra quelli autorizzarti, volesse inserirli imediatamente ... :lov2: ...


:ok: e... aspettiamo oltri "tesori" :D :lov2: :lov2:

_________________
Cosmin-Ovidiu Manci
**********************
cosmln's place - my blog
just insects
Dragonflies of Romania


Top
profilo
MessaggioInviato: 21/08/2011, 23:06 
Avatar utente

Iscritto il: 05/08/2009, 18:02
Messaggi: 2264
Nome: Marcello Benelli
:sh:

_________________
Marci
"S'i fosse fuoco, arderei 'l mondo,
S'i fosse vento, lo tempesterei,
S'i fosse acqua, i' l'annegherei
s'i fosse dio, mandereil' en profondo" ( Cecco Angiolieri).


Top
profilo
Visualizza ultimi messaggi:  Ordina per  
nuovo argomento
rispondi
Pagina 1 di 1 [ 3 messaggi ]

Tutti gli orari sono UTC + 1 ora [ ora legale ]


Chi c’è in linea

Visitano il forum: Nessuno e 6 ospiti


Non puoi aprire nuovi argomenti
Non puoi rispondere negli argomenti
Non puoi modificare i tuoi messaggi
Non puoi cancellare i tuoi messaggi
Non puoi inviare allegati

Cerca per:
Vai a: