| Autore |
Messaggio |
|
Entomarci
|
Inviato: 19/09/2011, 20:25 |
|
Iscritto il: 05/08/2009, 18:02 Messaggi: 2264
Nome: Marcello Benelli
|
|
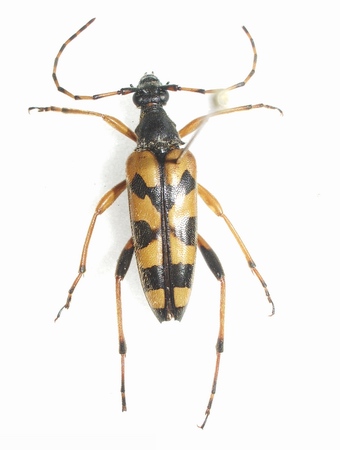
Vi propongo 3 lepturini in sequenza, chiaramente raccolti nello stesso biotopo (guarda caso la Val di Genova, che quest'anno è molto in voga) dal sottoscritto nel lontano 1997. L'esemplare sulla sinistra è chiaramente una leptura quadrifasciata tipica, quello sulla destra una rutpela maculata. Quello centrale mi ha sempre affascinato per via dei caratteri intermedi dell'una e dell'altra specie, in particolare la struttura generale ascrivibile alla maculata, il colore elitrale e le bande scure invece ascrivibili alla quadrifasciata. Cosa ne pensate? Potrebbe essere un ibrido naturale tra le 2 specie, o una mera forma cromatica della maculata spiccatamente molto rassomigliante alla quadrifasciata?
Marcello
_________________ Marci "S'i fosse fuoco, arderei 'l mondo, S'i fosse vento, lo tempesterei, S'i fosse acqua, i' l'annegherei s'i fosse dio, mandereil' en profondo" ( Cecco Angiolieri).
|
|
| Top |
|
 |
|
Tc70
|
Inviato: 19/09/2011, 20:48 |
|
Iscritto il: 09/11/2010, 19:52 Messaggi: 4518 Località: Brescia
Nome: Luca Bodei
|
Potrebbe essere un ibrido naturale tra le 2 specie, o una mera forma cromatica della maculata spiccatamente molto rassomigliante alla quadrifasciata? Marcello[/quote] Per me la seconda che hai detto.... 
_________________ Tc70
|
|
| Top |
|
 |
|
krep
|
Inviato: 19/09/2011, 21:35 |
|
Iscritto il: 18/10/2009, 17:10 Messaggi: 1341 Località: Czech Republic
Nome: Petr Kresl
|
My opinion only - middle ex. is Rutpela maculata, but I´m not specialist about Cerambycidae 
_________________ Ciao Petr
|
|
| Top |
|
 |
|
cosmln
|
Inviato: 19/09/2011, 21:38 |
|
Iscritto il: 26/03/2010, 14:55 Messaggi: 5973 Località: Romania
Nome: Cosmin-Ovidiu Manci
|
|
| Top |
|
 |
|
conan
|
Inviato: 19/09/2011, 22:10 |
|
Iscritto il: 09/06/2009, 13:19 Messaggi: 1229 Località: Modena
Nome: Omar Pacchioni
|
|
E' una maculata. In queste specie il disegno elitreale può essere molto variabile. ciao ciao
_________________ ..OOOO.......OOO.....OO......OOO......OOOO OO.....OO....OO..O.O..O....OO....O....OO....O OO.....OO....OO....O...O....OOOOO....OOOO ..OOOO.......OO.........O....OO....O....OO....O
|
|
| Top |
|
 |
|
Entomarci
|
Inviato: 19/09/2011, 22:25 |
|
Iscritto il: 05/08/2009, 18:02 Messaggi: 2264
Nome: Marcello Benelli
|
|
però è davvero atipica, almeno nella mia serie di esemplari spicca rispetto alle altre!!!
_________________ Marci "S'i fosse fuoco, arderei 'l mondo, S'i fosse vento, lo tempesterei, S'i fosse acqua, i' l'annegherei s'i fosse dio, mandereil' en profondo" ( Cecco Angiolieri).
|
|
| Top |
|
 |
|
StagBeetle
|
Inviato: 19/09/2011, 22:29 |
|
Iscritto il: 10/05/2009, 15:30 Messaggi: 7182 Località: Ancona
Nome: Giacomo Giovagnoli
|
Voto anche io Rutpela... Ne ho una uguale presa ad Auronzo di Cadore (Belluno) il 18-VII-2003 ad 800mt. Ciao 
_________________  Giacomo
|
|
| Top |
|
 |
|
Velvet Ant
|
Inviato: 19/09/2011, 23:13 |
|
| Amministratore |
 |
Iscritto il: 02/02/2009, 23:30 Messaggi: 7102 Località: Capaci (Pa)
Nome: Marcello Romano
|
|
Fra l'altro presenta le antenne con i singoli articoli tipicamente maculati di giallo e nero, mentre nella L. quadrifasciata sono tutti interamente neri.
_________________ Marcello Romano
|
|
| Top |
|
 |
|
Isotomus
|
Inviato: 20/09/2011, 7:45 |
|
Iscritto il: 05/09/2009, 7:56 Messaggi: 3445 Località: Cesena
Nome: Gianfranco Sama
|
Direi che non ha proprio nulla di Leptura quadrifasciata  Rutpela maculata è talmente variabile quanto a maculatura elìtrale che una forma cromatica convergente ci sta benissimo. Devo dire anche che la forma dell'esemplare di destra è più comune nell'Italia centrale e meridionale, mentre le popolazioni settentrionali o alpine presentano una maculatura decisamente più completa.
_________________ Gianfranco Sama
"Benedetto colui che ti aiuta a correggere i tuoi errori invece di scagliarteli contro" ___________________________________ Gershom Sholem
|
|
| Top |
|
 |
|
Entomarci
|
Inviato: 20/09/2011, 8:18 |
|
Iscritto il: 05/08/2009, 18:02 Messaggi: 2264
Nome: Marcello Benelli
|
vabenevabene...come non detto! 
_________________ Marci "S'i fosse fuoco, arderei 'l mondo, S'i fosse vento, lo tempesterei, S'i fosse acqua, i' l'annegherei s'i fosse dio, mandereil' en profondo" ( Cecco Angiolieri).
|
|
| Top |
|
 |
|
Isotomus
|
Inviato: 20/09/2011, 9:03 |
|
Iscritto il: 05/09/2009, 7:56 Messaggi: 3445 Località: Cesena
Nome: Gianfranco Sama
|
 Daltronde qui si tratta di due generi ben diversi anche come apparati genitali maschili per cui una fecondazione fra un maschio dell'una e una femmina dell'altra appare oltremodo "complicata" 
_________________ Gianfranco Sama
"Benedetto colui che ti aiuta a correggere i tuoi errori invece di scagliarteli contro" ___________________________________ Gershom Sholem
|
|
| Top |
|
 |
|