Benvenuto Ospite

Forum Entomologi Italiani

www.entomologiitaliani.net/forum
 
Oggi è 10/11/2025, 10:18

Tutti gli orari sono UTC + 1 ora [ ora legale ]

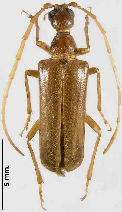
Vesperus barredai Verdugo, 2009 - Cerambycidae

29.VIII.2010 - SPAGNA - EE, Archidona, Sevilla


nuovo argomento
rispondi
Pagina 1 di 1 [ 5 messaggi ]
Autore Messaggio
MessaggioInviato: 28/10/2011, 9:26 
Avatar utente

Iscritto il: 28/03/2011, 14:46
Messaggi: 634
Località: Cadiz, España
Nome: Antonio Verdugo
Especie recientemente descrita y separada de Vesperus bolivari Oliveira, con la que se venía confundiendo.
Es propia de la provincia oriental andaluza de Sevilla y las regiones limítrofes de Portugal (Ribatejo y Alto Alentejo).


Vesperus bolivari,Sevilla (5).jpg

VESPERUS barredai.jpg


_________________
Antonio Verdugo
https://sites.google.com/site/unentomologoandaluz/
Top
profilo
 Oggetto del messaggio: Re: Vesperus barredai Verdugo, 2009
MessaggioInviato: 28/10/2011, 12:32 
Avatar utente

Iscritto il: 14/03/2009, 15:34
Messaggi: 198
Località: Belluno
Nome: Andrea Fabbri
Gran bell'insetto

si può avere la descrizione?

grazie
ciao

_________________
Andrea


Top
profilo
 Oggetto del messaggio: Re: Vesperus barredai Verdugo, 2009
MessaggioInviato: 28/10/2011, 14:42 
Avatar utente

Iscritto il: 28/03/2011, 14:46
Messaggi: 634
Località: Cadiz, España
Nome: Antonio Verdugo
andreafabbri ha scritto:
Gran bell'insetto

si può avere la descrizione?

grazie
ciao



La subo para que se descargue por quién la desee.
Cordiali saluti


(94) Vesperus barredai n sp.pdf [3.84 MiB]
Scaricato 100 volte

_________________
Antonio Verdugo
https://sites.google.com/site/unentomologoandaluz/
Top
profilo
 Oggetto del messaggio: Re: Vesperus barredai Verdugo, 2009
MessaggioInviato: 28/10/2011, 21:35 
Avatar utente

Iscritto il: 14/03/2009, 15:34
Messaggi: 198
Località: Belluno
Nome: Andrea Fabbri
:ok:

_________________
Andrea


Top
profilo
MessaggioInviato: 15/12/2011, 19:41 
Avatar utente

Iscritto il: 28/03/2011, 14:46
Messaggi: 634
Località: Cadiz, España
Nome: Antonio Verdugo
Antonio Verdugo ha scritto:
Especie recientemente descrita y separada de Vesperus bolivari Oliveira, con la que se venía confundiendo.
Es propia de la provincia oriental andaluza de Sevilla y las regiones limítrofes de Portugal (Ribatejo y Alto Alentejo).




Debo hacer una aclaración, ya que escribo arriba "provincia oriental" cuando Sevilla es provincia occidental andaluza.
Saludos

_________________
Antonio Verdugo
https://sites.google.com/site/unentomologoandaluz/


Top
profilo
Visualizza ultimi messaggi:  Ordina per  
nuovo argomento
rispondi
Pagina 1 di 1 [ 5 messaggi ]

Tutti gli orari sono UTC + 1 ora [ ora legale ]


Chi c’è in linea

Visitano il forum: Nessuno e 1 ospite


Non puoi aprire nuovi argomenti
Non puoi rispondere negli argomenti
Non puoi modificare i tuoi messaggi
Non puoi cancellare i tuoi messaggi
Non puoi inviare allegati

Cerca per:
Vai a: