Forum Entomologi Italiani
http://www.entomologiitaliani.net/public/forum/phpBB3/

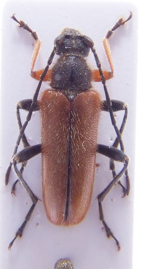
Cortodera syriaca Pic, 1901 - Cerambycidae
http://www.entomologiitaliani.net/public/forum/phpBB3/viewtopic.php?f=145&t=30052
Pagina 1 di 1

Autore:  Stehof [ 30/12/2011, 14:15 ]
Oggetto del messaggio:  Cortodera syriaca Pic, 1901 - Cerambycidae

Can anyone please help me with correct determination? I know, it´s difficult in this case, but any suggestions are welcome.

Allegati:
02.JPG


Autore:  Xylosteus [ 30/12/2011, 16:37 ]
Oggetto del messaggio:  Re: Cortodera sp.

This specimen looks to be Cortodera syriaca Pic, 1901.

Pierpaolo

Pagina 1 di 1 Tutti gli orari sono UTC + 1 ora [ ora legale ]
Powered by phpBB® Forum Software © phpBB Group
http://www.phpbb.com/