Benvenuto Ospite

Forum Entomologi Italiani

www.entomologiitaliani.net/forum
 
Oggi è 07/11/2025, 18:45

Tutti gli orari sono UTC + 1 ora [ ora legale ]

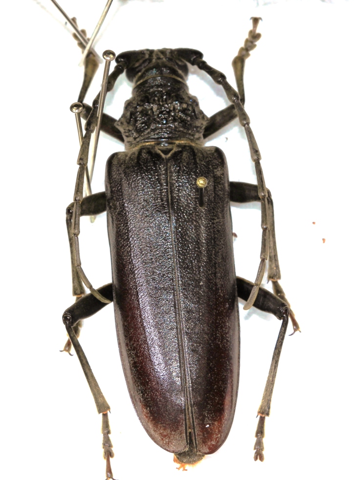
Cerambyx welensii (Küster, 1845) Dettagli della specie

12.VII.2012 - ITALIA - Lazio - RM, Via Fratelli Maristi (RM), margini della Risera Naturale della Marcigliana (RM)


nuovo argomento
rispondi
Pagina 1 di 1 [ 3 messaggi ]
Autore Messaggio
MessaggioInviato: 01/08/2012, 22:42 
Avatar utente

Iscritto il: 29/06/2010, 22:51
Messaggi: 830
Località: Fonte Nuova (RM)
Nome: Davide Brocchieri
Vi propongo due brutte foto di questa bella specie. In particolare questi sono due esemplari raccolti ad un paio giorni l'uno dall'altro esattemente nello stesso punto.
Speravo che almeno uno dei due fosse il cerdo,visto che dalle mie parti ancora non l'ho beccato anche se dovrebbe esserci, ma purtroppo non è stato così.
IMG_7650.JPG


IMG_7652.JPG


_________________
Ciao
Davide :hi:


Top
profilo
MessaggioInviato: 01/08/2012, 22:47 
Avatar utente

Iscritto il: 30/12/2009, 22:20
Messaggi: 31564
Località: Roma
Nome: Maurizio Gigli
Broc ha scritto:
Speravo che almeno uno dei due fosse il cerdo,visto che dalle mie parti ancora non l'ho beccato anche se dovrebbe esserci,

Ma certo che c'è! Anzi, anni fa era molto più comune il cerdo del welensii, ma ora pare che le proporzioni si siano invertite.

_________________
Maurizio Gigli
http://utenti.romascuola.net/bups
http://bup.xoom.it/


Top
profilo
MessaggioInviato: 01/08/2012, 22:54 
Avatar utente

Iscritto il: 29/06/2010, 22:51
Messaggi: 830
Località: Fonte Nuova (RM)
Nome: Davide Brocchieri
infatti, per questo rosico :devil: :devil:

_________________
Ciao
Davide :hi:


Top
profilo
Visualizza ultimi messaggi:  Ordina per  
nuovo argomento
rispondi
Pagina 1 di 1 [ 3 messaggi ]

Tutti gli orari sono UTC + 1 ora [ ora legale ]


Chi c’è in linea

Visitano il forum: Nessuno e 2 ospiti


Non puoi aprire nuovi argomenti
Non puoi rispondere negli argomenti
Non puoi modificare i tuoi messaggi
Non puoi cancellare i tuoi messaggi
Non puoi inviare allegati

Cerca per:
Vai a: