Benvenuto Ospite

Forum Entomologi Italiani

www.entomologiitaliani.net/forum
 
Oggi è 25/10/2025, 6:25

Tutti gli orari sono UTC + 1 ora [ ora legale ]

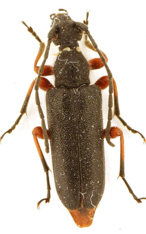
Anoplodera (Anoplodera) rufipes izzilloi Sama, 1999 Dettagli della specie

13.V.2012 - ITALIA - Puglia - BA, Gravina in Puglia


nuovo argomento
rispondi
Pagina 1 di 1 [ 14 messaggi ]
Autore Messaggio
MessaggioInviato: 04/09/2012, 15:21 
Avatar utente

Iscritto il: 08/07/2010, 10:53
Messaggi: 3171
Località: Matera
Nome: Domenico Cardinale
Ciao a tutti :)

questi lepturini mi fanno impazzire!!!! :? :?

Questa potrebbe essere una Grammoptera??

Lunghezza 12mm



IMG_6261 12mm.jpg


IMG_6261 12mm copy copy.jpg



[edit: cosmln] ho corretto il bianco

_________________
Saluti :hi: Mimmo


Top
profilo
 Oggetto del messaggio: Re: Lepturino
MessaggioInviato: 04/09/2012, 15:25 
Avatar utente

Iscritto il: 26/03/2010, 14:55
Messaggi: 5973
Località: Romania
Nome: Cosmin-Ovidiu Manci
e tropo grande per una Grammoptera ;) ... tra le altre

:hi:

_________________
Cosmin-Ovidiu Manci
**********************
cosmln's place - my blog
just insects
Dragonflies of Romania


Top
profilo
 Oggetto del messaggio: Re: Lepturino
MessaggioInviato: 04/09/2012, 15:31 
Avatar utente

Iscritto il: 30/12/2009, 22:20
Messaggi: 31564
Località: Roma
Nome: Maurizio Gigli
Mi pare una femmina di Anoplodera rufipes (Schaller, 1783)

_________________
Maurizio Gigli
http://utenti.romascuola.net/bups
http://bup.xoom.it/


Top
profilo
 Oggetto del messaggio: Re: Lepturino
MessaggioInviato: 04/09/2012, 15:31 
Avatar utente

Iscritto il: 08/07/2010, 10:53
Messaggi: 3171
Località: Matera
Nome: Domenico Cardinale
cosmln ha scritto:
e tropo grande per una Grammoptera ;) ... tra le altre

:hi:

Grazie per il white balance Cosmin!! :ok:

_________________
Saluti :hi: Mimmo


Top
profilo
 Oggetto del messaggio: Re: Lepturino
MessaggioInviato: 04/09/2012, 15:34 
Avatar utente

Iscritto il: 08/07/2010, 10:53
Messaggi: 3171
Località: Matera
Nome: Domenico Cardinale
Julodis ha scritto:
Mi pare una femmina di Anoplodera rufipes (Schaller, 1783)

Grazie Maurizio!! :)

Ma se cosi fosse non ci sono ancora esemplari italiani sul forum!!! :roll:

_________________
Saluti :hi: Mimmo


Top
profilo
 Oggetto del messaggio: Re: Lepturino
MessaggioInviato: 04/09/2012, 15:38 
Avatar utente

Iscritto il: 05/08/2009, 18:02
Messaggi: 2264
Nome: Marcello Benelli
E' lei. Gran bel reperto!

_________________
Marci
"S'i fosse fuoco, arderei 'l mondo,
S'i fosse vento, lo tempesterei,
S'i fosse acqua, i' l'annegherei
s'i fosse dio, mandereil' en profondo" ( Cecco Angiolieri).


Top
profilo
 Oggetto del messaggio: Re: Lepturino
MessaggioInviato: 04/09/2012, 15:44 
Avatar utente

Iscritto il: 08/07/2010, 10:53
Messaggi: 3171
Località: Matera
Nome: Domenico Cardinale
Entomarci ha scritto:
E' lei. Gran bel reperto!

Infatti! Dalla Checklist di Sama e Rapuzzi è segnalata la ssp rufipes al nord (Alto Adige, Piemonte, Trentino e Friuli) e la ssp izzilloi (chissà a chi sarà dedicata :mrgreen: ) per la Basilicata (ovviamente presa a mia insaputa! :lol: ), sarebbe nuova per la Puglia!!

_________________
Saluti :hi: Mimmo


Top
profilo
 Oggetto del messaggio: Re: Lepturino
MessaggioInviato: 04/09/2012, 15:55 
Avatar utente

Iscritto il: 04/02/2009, 17:49
Messaggi: 5509
Località: Cagliari
Nome: Daniele Sechi
Bravo Mimmo! Ora chi lo sente il muflone campano...

_________________
:hi:
Daniele


Top
profilo
 Oggetto del messaggio: Re: Lepturino
MessaggioInviato: 04/09/2012, 16:02 
Avatar utente

Iscritto il: 08/07/2010, 10:53
Messaggi: 3171
Località: Matera
Nome: Domenico Cardinale
Daniele Sechi ha scritto:
Bravo Mimmo! Ora chi lo sente il muflone campano...

:gh: :gh: :gh: :gh: Ha perso l'esclusiva per il sud!!! Ora che mi metterò a cercare seriamente anche in Basilicata............ :gun: :mrgreen:

_________________
Saluti :hi: Mimmo


Top
profilo
MessaggioInviato: 05/09/2012, 7:58 
Avatar utente

Iscritto il: 22/12/2009, 13:31
Messaggi: 9646
Località: Napoli
Nome: Francesco Izzillo
Dunque rispondo con calma :lol1: : Io ho l'esclusiva sulla Basilicata non sulla Puglia! In quest'ultima Regione praticamente non ci vado mai per cui qualche lucano (a caso) ha gioco facile! :mrgreen:
Infine mi è totalmente oscuro il senso della "derivatio nominis" izzilloi :roll:

_________________
Francesco Izzillo


Top
profilo
MessaggioInviato: 05/09/2012, 9:01 
Avatar utente

Iscritto il: 08/07/2010, 10:53
Messaggi: 3171
Località: Matera
Nome: Domenico Cardinale
f.izzillo ha scritto:
Infine mi è totalmente oscuro il senso della "derivatio nominis" izzilloi :roll:

Di Izzillo ce n'è uno solo...............sei unico ed inimitabile!!! :mrgreen: :mrgreen:

Non è che avresti il lavoro di Sama? Come si distingue dalla specie nominale?

_________________
Saluti :hi: Mimmo


Top
profilo
MessaggioInviato: 05/09/2012, 9:20 
Avatar utente

Iscritto il: 26/03/2010, 14:55
Messaggi: 5973
Località: Romania
Nome: Cosmin-Ovidiu Manci
Mimmo011 ha scritto:
f.izzillo ha scritto:
Infine mi è totalmente oscuro il senso della "derivatio nominis" izzilloi :roll:

Di Izzillo ce n'è uno solo...............sei unico ed inimitabile!!! :mrgreen: :mrgreen:

Non è che avresti il lavoro di Sama? Come si distingue dalla specie nominale?


SAMA G., 1999 - Aggiunte e correzioni alla Fauna dei Cerambycidae d’Italia - Quad. Studi Nat. Romagna, 11 (suppl.): 41-56 (Vesperus conicicollis macropterus n.ssp., Anoplodera rufipes izzilloi n.ssp., Anoplodera rufipes lucidipes n.ssp., Phytoecia vulneris eremita n.ssp.)

non e ancora su forum ;)

:hi:

_________________
Cosmin-Ovidiu Manci
**********************
cosmln's place - my blog
just insects
Dragonflies of Romania


Top
profilo
MessaggioInviato: 05/09/2012, 10:01 
Avatar utente

Iscritto il: 04/02/2009, 17:49
Messaggi: 5509
Località: Cagliari
Nome: Daniele Sechi
L'izzilloi rispetto alla sottospecie nominale è più tarchiatella, più pelosa, specialmente sul vertice, ed è stranamente attratta dalla nicotina e dai buprestidi di un bel verde metallico. Per non parlare dell'accento... Non ci si può sbagliare :D

_________________
:hi:
Daniele


Top
profilo
MessaggioInviato: 05/09/2012, 10:23 
Avatar utente

Iscritto il: 22/12/2009, 13:31
Messaggi: 9646
Località: Napoli
Nome: Francesco Izzillo
Daniele Sechi ha scritto:
L'izzilloi rispetto alla sottospecie nominale è più tarchiatella, più pelosa, specialmente sul vertice, ed è stranamente attratta dalla nicotina e dai buprestidi di un bel verde metallico. Per non parlare dell'accento... Non ci si può sbagliare :D

:hj:

_________________
Francesco Izzillo


Top
profilo
Visualizza ultimi messaggi:  Ordina per  
nuovo argomento
rispondi
Pagina 1 di 1 [ 14 messaggi ]

Tutti gli orari sono UTC + 1 ora [ ora legale ]


Chi c’è in linea

Visitano il forum: Nessuno e 3 ospiti


Non puoi aprire nuovi argomenti
Non puoi rispondere negli argomenti
Non puoi modificare i tuoi messaggi
Non puoi cancellare i tuoi messaggi
Non puoi inviare allegati

Cerca per:
Vai a:  
cron