| Autore |
Messaggio |
|
FORBIX
|
Inviato: 05/09/2012, 12:39 |
|
Iscritto il: 17/02/2009, 0:05 Messaggi: 8521 Località: Isola d'Elba - Arcipelago Toscano
Nome: Leonardo Forbicioni
|
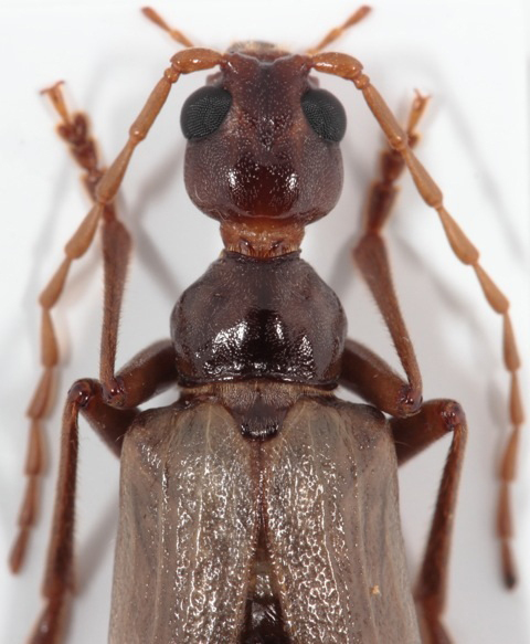
Questa specie era già nota per l'Elba, ma la foto di una bella femmina non fa mai male!! Ho deciso di postarla dopo essermi consultato con Pierpaolo che ha confermato l'ID, solo per la strana colorazione, molto scura e per il luogo del ritrovamento, circa 400m all'interno di una castagneta 700mt. s.l.m. battendo un'Edera secca, che batto ogni volta che passo di lì e tutte le volte mi regala qualche piacevole sorpresa. Non mi era capitato mai di raccogliere questa specie così all'interno di un bosco, ma solitamente, tutti quelli che ho raccolto "battendo" li ho trovati ai margini del bosco e mai all'interno. Tutto qui!
_________________ "Stay hungry, stay foolish". Steve Jobs, 2005 ___________________ jjuniper8(at)gmail.com Twitter: @weevil_forbixcell. 339/5275910 ___________________
|
|
| Top |
|
 |
|
hypotyphlus
|
Inviato: 05/09/2012, 13:12 |
|
Iscritto il: 10/05/2010, 22:31 Messaggi: 4371 Località: Gavorrano (GR)
Nome: marco bastianini
|
_________________ Marco"Le foreste a precedere le civiltà, i deserti a seguire."François-René de Chateaubriand
|
|
| Top |
|
 |
|
Plagionotus
|
Inviato: 05/09/2012, 13:55 |
|
Iscritto il: 21/05/2009, 14:59 Messaggi: 6994 Località: Parigi
Nome: Riccardo Poloni
|
Questa colorazione la assumono specialmente le femmine fresche che rilasciano grasso e col tempo quindi, scuriscono 
_________________ Riccardo Poloni La dignità degli elementi la libertà della poesia, al di là dei tradimenti degli uomini è magia, è magia, è magia... Negrita, Rotolando verso sud
|
|
| Top |
|
 |
|
Xylotrechus
|
Inviato: 05/09/2012, 14:05 |
|
Iscritto il: 07/09/2010, 12:59 Messaggi: 1920 Località: Como
Nome: Matteo Zugno
|
Sempre una bella specie il caro Vesperus, mai visto in natura! Ma prima o poi.. Bella foto Leonardo 
|
|
| Top |
|
 |
|
Daniele Sechi
|
Inviato: 05/09/2012, 15:43 |
|
Iscritto il: 04/02/2009, 17:49 Messaggi: 5509 Località: Cagliari
Nome: Daniele Sechi
|
Plagionotus ha scritto: Questa colorazione la assumono specialmente le femmine fresche che rilasciano grasso e col tempo quindi, scuriscono  Non ho capito cosa intendi Riccardo, mi puoi spiegare un po' meglio? Secondo te diventano scure da vive o da morte?
_________________  Daniele
|
|
| Top |
|
 |
|
Julodis
|
Inviato: 05/09/2012, 15:51 |
|
Iscritto il: 30/12/2009, 22:20 Messaggi: 31564 Località: Roma
Nome: Maurizio Gigli
|
Xylotrechus ha scritto: Sempre una bella specie il caro Vesperus, mai visto in natura! Ma prima o poi.. Bella foto Leonardo  Credo che a Nord del Po sia estremamente raro, sempre che ci sia! Daniele Sechi ha scritto: Non ho capito cosa intendi Riccardo, mi puoi spiegare un po' meglio? Secondo te diventano scure da vive o da morte? Credo intenda che scuriscono dopo morte, per il rilascio di sostanze grasse . In realtà penso accada solo quando seccano male, magari perchè tenute per un po' in un barattolo con poco etere che poi evapora, permettendo che inizi la decomposizione dei tessuti interni. Essendo i tegumenti semitrasparenti, se l'interno si scurisce prendono questa colorazione. Ma nel caso della femmina di Leonardo credo che sia il colore di cui era già da viva.
|
|
| Top |
|
 |
|
Plagionotus
|
Inviato: 05/09/2012, 16:55 |
|
Iscritto il: 21/05/2009, 14:59 Messaggi: 6994 Località: Parigi
Nome: Riccardo Poloni
|
|
Intendevo proprio dire che dopo la cattura, se la femmina viene uccisa e lasciata per tanto tempo nel boccettino con l'etere (che estrae i grassi) è molto più probabile che questi e altri tessuti interni (specialmente i grassi però) scuriscano la cuticola esterna o facciano, come ha suggerito Maurizio (Julodis) vedere in tarsparenza il colore dell'interno. Questo avviene in molte altre specie; solo nei Cerambycidae si possono citare la Rosalia alpina, Molti Lepturinae con tegumenti gialli o chiari come Reptula maculata, e in alcuni casi anche i Dorcadion, in cui i peli bianchi o grigiastri tendono a diventare, negli esemplari sottoposti a trattamenti prima dell'uccisione che estraggono i grassi, giallini. Altra causa e in altre specie è la decomposizione o più in generale il degrado dei pigmenti chimici.
_________________ Riccardo Poloni La dignità degli elementi la libertà della poesia, al di là dei tradimenti degli uomini è magia, è magia, è magia... Negrita, Rotolando verso sud
|
|
| Top |
|
 |
|
FORBIX
|
Inviato: 05/09/2012, 17:00 |
|
Iscritto il: 17/02/2009, 0:05 Messaggi: 8521 Località: Isola d'Elba - Arcipelago Toscano
Nome: Leonardo Forbicioni
|
Julodis ha scritto: Ma nel caso della femmina di Leonardo credo che sia il colore di cui era già da viva. Giustissimo Maurizio! Non so da cosa dipenda, ma posso assicurare al 100% che nel momento in cui è caduta sull' Apoderus-Ombrello  aveva esattamente questa colorazione!! Ho pensato che potesse dipendere dal tipo di alimentazione della larva, visto che era all'interno di una castagneta, se si fosse nutrita delle radici di questa essenza, ricche magari di tannini, l'adulto poteva presentare questa strana colorazione.....ma la mia è solo una ipotesi! 
_________________ "Stay hungry, stay foolish". Steve Jobs, 2005 ___________________ jjuniper8(at)gmail.com Twitter: @weevil_forbixcell. 339/5275910 ___________________
|
|
| Top |
|
 |
|