Benvenuto Ospite

Forum Entomologi Italiani

www.entomologiitaliani.net/forum
 
Oggi è 10/11/2025, 11:23

Tutti gli orari sono UTC + 1 ora [ ora legale ]

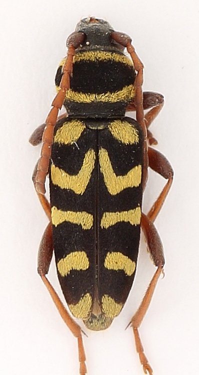
Plagionotus scalaris (Brullé, 1832) Dettagli della specie

19.VI.2012 - ITALIA - Basilicata - PZ, Monte Viggiano


nuovo argomento
rispondi
Pagina 1 di 1 [ 5 messaggi ]
Autore Messaggio
MessaggioInviato: 14/09/2012, 15:19 
Avatar utente

Iscritto il: 08/07/2010, 10:53
Messaggi: 3171
Località: Matera
Nome: Domenico Cardinale
Ciao a tutti :)

su questo Plagionotus ho un pò di dubbi! :roll: Direi Plagionotus scalaris (Brullé, 1832), ma nelle altre immagini vedo che ha lo scutello giallo, in questo è quasi tutto nero! :roll:

Lunghezza 12mm


IMG_6314 12mm.jpg


_________________
Saluti :hi: Mimmo


Top
profilo
MessaggioInviato: 14/09/2012, 15:26 
Avatar utente

Iscritto il: 04/04/2010, 22:20
Messaggi: 1041
Località: S.Pelagio (TS)
Nome: Alessandro Drago
è lui, confermo :ok:

_________________
- SoNo un PoMpIeRe -


Top
profilo
MessaggioInviato: 14/09/2012, 15:44 
Avatar utente

Iscritto il: 08/07/2010, 10:53
Messaggi: 3171
Località: Matera
Nome: Domenico Cardinale
Grazie Alessandro!! :ok:

_________________
Saluti :hi: Mimmo


Top
profilo
MessaggioInviato: 14/09/2012, 16:10 
Avatar utente

Iscritto il: 10/05/2009, 15:30
Messaggi: 7182
Località: Ancona
Nome: Giacomo Giovagnoli
Come lo hai preso?

_________________
Immagine Giacomo


Top
profilo
MessaggioInviato: 14/09/2012, 20:42 
Avatar utente

Iscritto il: 08/07/2010, 10:53
Messaggi: 3171
Località: Matera
Nome: Domenico Cardinale
StagBeetle ha scritto:
Come lo hai preso?

E' passato un pò di tempo ma quasi sicuramente su fiori!

_________________
Saluti :hi: Mimmo


Top
profilo
Visualizza ultimi messaggi:  Ordina per  
nuovo argomento
rispondi
Pagina 1 di 1 [ 5 messaggi ]

Tutti gli orari sono UTC + 1 ora [ ora legale ]


Chi c’è in linea

Visitano il forum: Nessuno e 1 ospite


Non puoi aprire nuovi argomenti
Non puoi rispondere negli argomenti
Non puoi modificare i tuoi messaggi
Non puoi cancellare i tuoi messaggi
Non puoi inviare allegati

Cerca per:
Vai a: