Benvenuto Ospite

Forum Entomologi Italiani

www.entomologiitaliani.net/forum
 
Oggi è 26/10/2025, 5:08

Tutti gli orari sono UTC + 1 ora [ ora legale ]

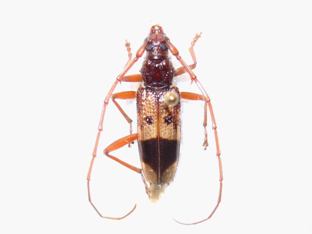
Phoracantha recurva Newman, 1840 Dettagli della specie

27.VII.2012 - ITALIA - Lazio - RM, Roma, V.le Aventino dint. Piramide


nuovo argomento
rispondi
Pagina 1 di 1 [ 13 messaggi ]
Autore Messaggio
MessaggioInviato: 04/08/2012, 18:36 
Avatar utente

Iscritto il: 28/04/2010, 23:44
Messaggi: 2107
Località: Roma
Nome: Valerio Viglioglia
Trovato morente sotto un lampione.
So' che era già segnalato e allora aggiungo il mio dato.


IMG_3221.JPG


_________________
Valerio V
Top
profilo
 Oggetto del messaggio: Re: Phoracantha recurva Newman, 1840
MessaggioInviato: 04/08/2012, 19:37 
Avatar utente

Iscritto il: 30/12/2009, 22:20
Messaggi: 31564
Località: Roma
Nome: Maurizio Gigli
Per il Lazio il nuovo catalogo dei Cerambycidae italiani del 2011 la cita solo di Maccarese, su un mio reperto preso dal Forum (in realtà era stata già trovata credo uno o due anni prima in quella stessa zona da Daniel Patacchiola). C'è poi un reperto di Borgo Sabotino, sempre sul Forum, da parte di Luigi Lenzini, che non è stato riportato sul catalogo (perchè successivo alla sua pubblicazione, presumo).
La tua è quindi la terza segnalazione per il Lazio, ma la prima per la città di Roma. :ok:

_________________
Maurizio Gigli
http://utenti.romascuola.net/bups
http://bup.xoom.it/


Top
profilo
 Oggetto del messaggio: Re: Phoracantha recurva Newman, 1840
MessaggioInviato: 04/08/2012, 20:07 
Amministratore
Avatar utente

Iscritto il: 06/02/2009, 9:16
Messaggi: 6919
Località: Portici (Napoli)
Nome: Claudio Labriola
Julodis ha scritto:
Per il Lazio il nuovo catalogo dei Cerambycidae italiani del 2011 la cita solo di Maccarese, su un mio reperto preso dal Forum (in realtà era stata già trovata credo uno o due anni prima in quella stessa zona da Daniel Patacchiola). C'è poi un reperto di Borgo Sabotino, sempre sul Forum, da parte di Luigi Lenzini, che non è stato riportato sul catalogo (perchè successivo alla sua pubblicazione, presumo) ...

Per il Lazio dobbiamo allora aggiungere anche la mia segnalazione.
Un esemplare venuto alla lampada il 28 agosto 2011 nel nel SIC di Monte Calvo e Calvilli a Castro dei Volsci, Frosinone.
Appena posso lo fotografo e apro una discussione.

_________________
Immagine Claudio Labriola
Buona Vita!!!!


Top
profilo
MessaggioInviato: 12/09/2012, 18:46 
Avatar utente

Iscritto il: 02/06/2012, 11:02
Messaggi: 434
Località: Quartucciu ( Cagliari )
Nome: Federico Alamanni
Cercando nel forum ho trovato questa discussione e ne vorrei aprofittare per chiedere ,a chi è interessato ,se volesse qulche esemplare di phoracantha recurva dato che da poco ne ho trovato una settantina in una trappola a vino bianco , adesso dopo le varie consegne :mrgreen: e dopo averne messe da parte buona parte per la mia collezione, me ne sono rimasti 20 esemplari di cui nn so cosa farmene , quindi chi è interessato si faccia avanti ( anche se non credo ci siano molti pretendenti )!!!!
:hi: :hi:

_________________
Federico Alamanni

federico.alamanni@gmail.com


Top
profilo
MessaggioInviato: 12/09/2012, 19:11 
Avatar utente

Iscritto il: 23/04/2010, 15:29
Messaggi: 604
Località: Morgano (TV)
Nome: Michele Carraretto
Federico A. ha scritto:
Cercando nel forum ho trovato questa discussione e ne vorrei aprofittare per chiedere ,a chi è interessato ,se volesse qulche esemplare di phoracantha recurva dato che da poco ne ho trovato una settantina in una trappola a vino bianco , adesso dopo le varie consegne :mrgreen: e dopo averne messe da parte buona parte per la mia collezione, me ne sono rimasti 20 esemplari di cui nn so cosa farmene , quindi chi è interessato si faccia avanti ( anche se non credo ci siano molti pretendenti )!!!!
:hi: :hi:

Io, io, io ,io, io ,io :D :D :D
Ti ho inviato un mp.
:hi: michele


Top
profilo
MessaggioInviato: 12/09/2012, 19:29 
Avatar utente

Iscritto il: 02/06/2012, 11:02
Messaggi: 434
Località: Quartucciu ( Cagliari )
Nome: Federico Alamanni
michele.carraretto ha scritto:
Federico A. ha scritto:
Cercando nel forum ho trovato questa discussione e ne vorrei aprofittare per chiedere ,a chi è interessato ,se volesse qulche esemplare di phoracantha recurva dato che da poco ne ho trovato una settantina in una trappola a vino bianco , adesso dopo le varie consegne :mrgreen: e dopo averne messe da parte buona parte per la mia collezione, me ne sono rimasti 20 esemplari di cui nn so cosa farmene , quindi chi è interessato si faccia avanti ( anche se non credo ci siano molti pretendenti )!!!!
:hi: :hi:

Io, io, io ,io, io ,io :D :D :D
Ti ho inviato un mp.
:hi: michele


Ciao michele !!
Dato che per adesso siete in due di pretendenti ( tu sei il primo nella lista ) e per correttezza verso gli altri possibili interessati aspetterò sino a domani o dopodomani cosi da dare a tutti una possibilita !! ma solo se tu decidi di non prenderle tutte :mrgreen: .
Ciao!!! :hi: :hi: :hi:

_________________
Federico Alamanni

federico.alamanni@gmail.com


Top
profilo
MessaggioInviato: 12/09/2012, 19:36 
Avatar utente

Iscritto il: 23/04/2010, 15:29
Messaggi: 604
Località: Morgano (TV)
Nome: Michele Carraretto
Ci mancherebbe! Mi basterebbero un paio di coppie, se poi ne avanzano ...
Grazie :hi: michele


Top
profilo
MessaggioInviato: 12/09/2012, 19:49 
Avatar utente

Iscritto il: 02/06/2012, 11:02
Messaggi: 434
Località: Quartucciu ( Cagliari )
Nome: Federico Alamanni
OK!
Faro il possibile!! :hi: :hi: :hi:

_________________
Federico Alamanni

federico.alamanni@gmail.com


Top
profilo
MessaggioInviato: 12/09/2012, 19:54 
Avatar utente

Iscritto il: 21/02/2011, 15:25
Messaggi: 3877
Località: Montecchio Emilia (RE)
Nome: Violi Michele
Anche a me interesserebbero moltissimo!

_________________
Michele :D


Top
profilo
MessaggioInviato: 12/09/2012, 20:08 
Avatar utente

Iscritto il: 02/06/2012, 11:02
Messaggi: 434
Località: Quartucciu ( Cagliari )
Nome: Federico Alamanni
ok proverò a mettertene qualcuna da parte .
Comunque ai futuri interessati vi prego di scrivermi in mp nel quale vi chiedo di specificare di quante bestioline avreste bisogno!!
Ciao a tutti!1 :hi: :hi:

_________________
Federico Alamanni

federico.alamanni@gmail.com


Top
profilo
 Oggetto del messaggio: Re: Phoracantha recurva Newman, 1840
MessaggioInviato: 20/10/2012, 21:46 
Avatar utente

Iscritto il: 04/08/2011, 16:19
Messaggi: 25
Località: Roma
Nome: Luciano Nuccitelli
Julodis ha scritto:
Per il Lazio il nuovo catalogo dei Cerambycidae italiani del 2011 la cita solo di Maccarese, su un mio reperto preso dal Forum (in realtà era stata già trovata credo uno o due anni prima in quella stessa zona da Daniel Patacchiola). C'è poi un reperto di Borgo Sabotino, sempre sul Forum, da parte di Luigi Lenzini, che non è stato riportato sul catalogo (perchè successivo alla sua pubblicazione, presumo).
La tua è quindi la terza segnalazione per il Lazio, ma la prima per la città di Roma. :ok:


Scusate se mi intrometto. Mi piacerebbe capire la valenza, l'attendibilità e l'ufficialità di strumenti che leggo qui citati, come il catalogo dei Cerambycidae italiani. Non per svilire la discussione ma, ad esempio, Phoracantha recurva è stata segnalata nel Lazio già nel 2008, ad Ostia:

http://www.naturamediterraneo.com/forum ... C_ID=52719

Altri avvistamenti precedenti al 2011 ci sono stati nella Riserva Naturale di Macchiatonda, al Parco degli acquedotti. Io stesso nel 2009 ho trovato il coleottero in Via Alessandro Severo in piena città (Roma).

Non capisco perchè sia così importante datare i ritrovamenti. Nuovi avvistamenti di organismi alieni, in questo caso insetti, ha senza dubbio un discreto valore dal punto naturalistico (sistematico). Comunque.
Per quel che riguarda la mia professione, che è anche quella di valutare l'impatto "fitosanitario" che una new entry può avere in un territorio in funzione della "salute" dei vegetali, beh posso dire che Phoracantha recurva ha avuto uno scarso rilievo dal momento che la congenere semipunctata era ed è ampiamente diffusa nei popolamenti di eucalipto.

A mio parere le segnalazioni di chiunque, se ben supportate da un procedimento di identificazione e determinazione (ovviamente con documentazione fotografica) sono utili per avere una stima della diffusione, di questo o quell'organismo. A volte le discussioni che scaturiscono da forum come questo diventano di particolare importanza come nel caso del Thaumastocoris peregrinus (prima segnalazione in Europa).
A tal proposito vi comunico che anche la segnalazione di Aromia bungii sulla base di una discussione aperta in questo forum e su FNM è stata decisamente importante. Il SFR Campania ha avviato ricerche sul territorio ed ha confermato ufficialmente il ritrovamento (prima segnalazione in Italia).

Un caro saluto


Top
profilo
MessaggioInviato: 21/10/2012, 14:40 
Avatar utente

Iscritto il: 09/01/2010, 13:11
Messaggi: 233
Nome: daniel patacchiola
Aggiungo questi reperti Roma valle dell insughereata 2011,Roma Bufalotta -Marcigliana.2012 ,


Top
profilo
 Oggetto del messaggio: Re: Phoracantha recurva Newman, 1840
MessaggioInviato: 21/10/2012, 19:42 
Avatar utente

Iscritto il: 02/06/2012, 11:02
Messaggi: 434
Località: Quartucciu ( Cagliari )
Nome: Federico Alamanni
Luciano Nuccitelli ha scritto:
Julodis ha scritto:
Per il Lazio il nuovo catalogo dei Cerambycidae italiani del 2011 la cita solo di Maccarese, su un mio reperto preso dal Forum (in realtà era stata già trovata credo uno o due anni prima in quella stessa zona da Daniel Patacchiola). C'è poi un reperto di Borgo Sabotino, sempre sul Forum, da parte di Luigi Lenzini, che non è stato riportato sul catalogo (perchè successivo alla sua pubblicazione, presumo).
La tua è quindi la terza segnalazione per il Lazio, ma la prima per la città di Roma. :ok:





Non capisco perchè sia così importante datare i ritrovamenti. Nuovi avvistamenti di organismi alieni, in questo caso insetti, ha senza dubbio un discreto valore dal punto naturalistico (sistematico). Comunque.
Per quel che riguarda la mia professione, che è anche quella di valutare l'impatto "fitosanitario" che una new entry può avere in un territorio in funzione della "salute" dei vegetali, beh posso dire che Phoracantha recurva ha avuto uno scarso rilievo dal momento che la congenere semipunctata era ed è ampiamente diffusa nei popolamenti di eucalipto.



Su questo punto non so pienamente d'accordo poiche la semipunctata ormai sta scomparendo sempre più ,probabilmente propio a causa della recurva la quale probabilmente è più aggressiva e si sviluppa più facilmente perciò potrebbe causare più problemi della congenere
:hi:

_________________
Federico Alamanni

federico.alamanni@gmail.com


Top
profilo
Visualizza ultimi messaggi:  Ordina per  
nuovo argomento
rispondi
Pagina 1 di 1 [ 13 messaggi ]

Tutti gli orari sono UTC + 1 ora [ ora legale ]


Chi c’è in linea

Visitano il forum: Nessuno e 5 ospiti


Non puoi aprire nuovi argomenti
Non puoi rispondere negli argomenti
Non puoi modificare i tuoi messaggi
Non puoi cancellare i tuoi messaggi
Non puoi inviare allegati

Cerca per:
Vai a:  
cron