Benvenuto Ospite

Forum Entomologi Italiani

www.entomologiitaliani.net/forum
 
Oggi è 25/10/2025, 13:05

Tutti gli orari sono UTC + 1 ora [ ora legale ]

Phytoecia nausicae Rejzek et Kakiopoulos, 2004 - Cerambycidae

5.V.2012 - GRECIA - EE, Despotis (env.) - 10 km S Grevena - Lg. Lucbauer


nuovo argomento
rispondi
Pagina 1 di 1 [ 3 messaggi ]
Autore Messaggio
MessaggioInviato: 20/10/2012, 16:30 
Avatar utente

Iscritto il: 25/11/2009, 9:31
Messaggi: 8157
Località: Lecce
Nome: Maurizio Bollino
Altra specie interessante ricevuta da Zdeno.

Dimensioni: 11 mm

Phytoecia-nausicae.jpg


_________________
Maurizio Bollino


Top
profilo
MessaggioInviato: 20/10/2012, 16:47 
Avatar utente

Iscritto il: 22/12/2009, 13:31
Messaggi: 9646
Località: Napoli
Nome: Francesco Izzillo
Molto bella! :hi:

_________________
Francesco Izzillo


Top
profilo
MessaggioInviato: 18/11/2012, 14:26 
Avatar utente

Iscritto il: 28/07/2010, 11:11
Messaggi: 235
Località: Poland
Nome: Jacek Kurzawa
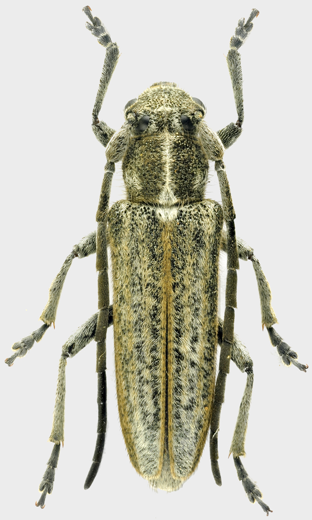
Female

big resolution photo: http://www.entomo.pl/coleoptera/ceramby ... le_big.jpg


Phytoecia nausicae female
Phytoecia_nausicae_female.jpg

Top
profilo
Visualizza ultimi messaggi:  Ordina per  
nuovo argomento
rispondi
Pagina 1 di 1 [ 3 messaggi ]

Tutti gli orari sono UTC + 1 ora [ ora legale ]


Chi c’è in linea

Visitano il forum: Nessuno e 11 ospiti


Non puoi aprire nuovi argomenti
Non puoi rispondere negli argomenti
Non puoi modificare i tuoi messaggi
Non puoi cancellare i tuoi messaggi
Non puoi inviare allegati

Cerca per:
Vai a: