Benvenuto Ospite

Forum Entomologi Italiani

www.entomologiitaliani.net/forum
 
Oggi è 09/11/2025, 14:03

Tutti gli orari sono UTC + 1 ora [ ora legale ]

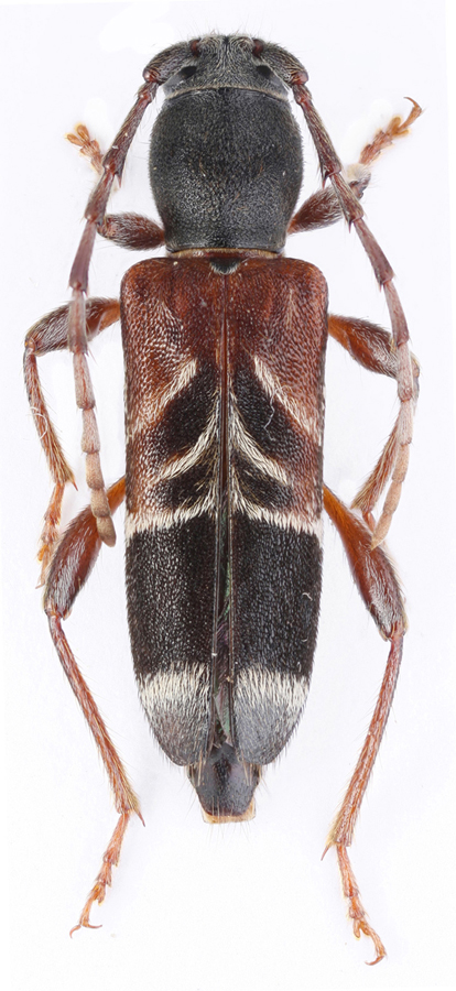
Anaglyptus danilevskii Miroshn., 2000 - Cerambycidae

4.VI.2010 - TURCHIA - EE, Erzincan prov., near Gemecik vill.


nuovo argomento
rispondi
Pagina 1 di 1 [ 4 messaggi ]
Autore Messaggio
MessaggioInviato: 26/02/2013, 10:48 
 

Iscritto il: 11/01/2011, 23:27
Messaggi: 21
Località: Russia
Nome: Denis Kasatkin
Anaglyptus danilevskii Miroshn., 2000


danilevskyi.jpg

Top
profilo
MessaggioInviato: 27/02/2013, 10:11 
 

Iscritto il: 13/09/2009, 18:04
Messaggi: 881
Nome: Pierpaolo Rapuzzi
Hi Denis,
very nice beetle as well. Why you think that it is danilevsky and not Anaglyptus arabicus?
Ciao
Pierpaolo


Top
profilo
MessaggioInviato: 27/02/2013, 13:11 
 

Iscritto il: 11/01/2011, 23:27
Messaggi: 21
Località: Russia
Nome: Denis Kasatkin
Hi Pierpaolo,
On shoulders it has some white hairs - it characters of danilevskii. Also, my specimens saw A.Miroshnikov and he confirmed that it is A.danilevskii.


Top
profilo
MessaggioInviato: 27/02/2013, 14:39 
 

Iscritto il: 13/09/2009, 18:04
Messaggi: 881
Nome: Pierpaolo Rapuzzi
Thanks a lot.
Pierpaolo


Top
profilo
Visualizza ultimi messaggi:  Ordina per  
nuovo argomento
rispondi
Pagina 1 di 1 [ 4 messaggi ]

Tutti gli orari sono UTC + 1 ora [ ora legale ]


Chi c’è in linea

Visitano il forum: Nessuno e 2 ospiti


Non puoi aprire nuovi argomenti
Non puoi rispondere negli argomenti
Non puoi modificare i tuoi messaggi
Non puoi cancellare i tuoi messaggi
Non puoi inviare allegati

Cerca per:
Vai a: