Benvenuto Ospite

Forum Entomologi Italiani

www.entomologiitaliani.net/forum
 
Oggi è 09/10/2025, 2:56

Tutti gli orari sono UTC + 1 ora [ ora legale ]

Anastrangalia dubia dubia (Scopoli, 1763) Dettagli della specie

VII.2010 - SLOVENIA - EE, Monte Nevoso


nuovo argomento
rispondi
Pagina 1 di 1 [ 5 messaggi ]
Autore Messaggio
MessaggioInviato: 07/03/2013, 0:25 
Avatar utente

Iscritto il: 10/05/2009, 15:30
Messaggi: 7182
Località: Ancona
Nome: Giacomo Giovagnoli
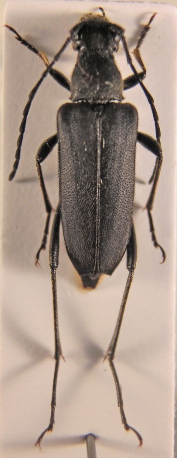
Questo Lepturino non riesco proprio a determinarlo!?!? :oops: :no1:
Chi mi aiuta! :D ;)

Monte Nevoso, 900m (Slovenia); VII.2010; lg. Sola C.

Dimensioni: 14mm
CIMG0166.jpg



Ciao :)

_________________
Immagine Giacomo


Top
profilo
 Oggetto del messaggio: Re: Cerambycidae da ID...
MessaggioInviato: 07/03/2013, 0:59 
Avatar utente

Iscritto il: 21/05/2010, 23:05
Messaggi: 2982
Località: San Godenzo (FI)
Nome: Carlo Massarone
A prima vista mi sembra Anastrangalia dubia ....... femmina

_________________
Carlo Massarone


Top
profilo
 Oggetto del messaggio: Re: Cerambycidae da ID...
MessaggioInviato: 07/03/2013, 9:23 
Avatar utente

Iscritto il: 05/08/2009, 18:02
Messaggi: 2264
Nome: Marcello Benelli
varietà camomillae!

_________________
Marci
"S'i fosse fuoco, arderei 'l mondo,
S'i fosse vento, lo tempesterei,
S'i fosse acqua, i' l'annegherei
s'i fosse dio, mandereil' en profondo" ( Cecco Angiolieri).


Top
profilo
MessaggioInviato: 07/03/2013, 10:38 
Avatar utente

Iscritto il: 10/05/2009, 15:30
Messaggi: 7182
Località: Ancona
Nome: Giacomo Giovagnoli
Grazie!!! :D

_________________
Immagine Giacomo


Top
profilo
MessaggioInviato: 15/03/2013, 2:10 
Avatar utente

Iscritto il: 17/11/2010, 4:40
Messaggi: 269
Località: POLSKA - Warszawa
Nome: Adam Woźniak
In the mountains of Central Europe (Sudety and Karpaty) living very interesting coloured form of this species! :gh:

Anastrangalia dubia dubia (SCOPOLI, 1763)
POLSKA - Bieszczady, Bystre
15. VII. 2005.
Leg., det.: A.Woźniak


Anastrangalia dubia dubia
Anstrangalia dubia.jpg

Top
profilo
Visualizza ultimi messaggi:  Ordina per  
nuovo argomento
rispondi
Pagina 1 di 1 [ 5 messaggi ]

Tutti gli orari sono UTC + 1 ora [ ora legale ]


Chi c’è in linea

Visitano il forum: Nessuno e 4 ospiti


Non puoi aprire nuovi argomenti
Non puoi rispondere negli argomenti
Non puoi modificare i tuoi messaggi
Non puoi cancellare i tuoi messaggi
Non puoi inviare allegati

Cerca per:
Vai a: