| Forum Entomologi Italiani http://www.entomologiitaliani.net/public/forum/phpBB3/ |
|
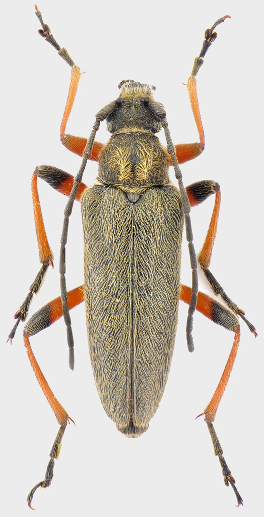
| Cortodera schurmanni Sama, 1996 - Cerambycidae http://www.entomologiitaliani.net/public/forum/phpBB3/viewtopic.php?f=145&t=44293 |
Pagina 1 di 1 |
| Autore: | Maurizio Bollino [ 07/05/2013, 12:17 ] |
| Oggetto del messaggio: | Cortodera schurmanni Sama, 1996 - Cerambycidae |
Leggendo la descrizione originale dovrebbero essere loro, ma ovviamente necessita conferma o smentita. |
|
| Autore: | Plagionotus [ 27/01/2019, 18:17 ] |
| Oggetto del messaggio: | Re: Cortodera schurmanni Sama, 1996 (da confermare) - Cerambycidae |
Questa me l'ero persa. É lei , io l'ho raccolta in serie vicino a Megalopoli, è stata ora messa in sinonimia con la flavimana da Danilevsky, poi io non sono nessuno e quindi non faccio commenti su fare 100 sottospecie e sinonimie dall'altra parte.
|
|
| Autore: | Maurizio Bollino [ 27/01/2019, 19:12 ] |
| Oggetto del messaggio: | Re: Cortodera schurmanni Sama, 1996 (da confermare) - Cerambycidae |
Plagionotus ha scritto: è stata ora messa in sinonimia con la flavimana da Danilevsky Quindi? schurmanni o flavimana? |
|
| Autore: | Plagionotus [ 28/01/2019, 11:35 ] |
| Oggetto del messaggio: | Re: Cortodera schurmanni Sama, 1996 - Cerambycidae |
Decidi tu, per me se hanno messo in sinonimia questa bisognerebbe mettere in sinonimia anche tutte le sottospecie della alpina per esempio, ma ripeto, non sono nessuno. Se vuoi seguire la nomenclatura corrente è Cortodera flavimana shurmanni Sama |
|
| Autore: | Maurizio Bollino [ 28/01/2019, 13:34 ] |
| Oggetto del messaggio: | Re: Cortodera schurmanni Sama, 1996 - Cerambycidae |
Plagionotus ha scritto: Decidi tu, per me se hanno messo in sinonimia questa bisognerebbe mettere in sinonimia anche tutte le sottospecie della alpina per esempio, ma ripeto, non sono nessuno. Se vuoi seguire la nomenclatura corrente è Cortodera flavimana shurmanni Sama A me Danilevsky è antipatico , per cui lascio Cortodera schurmanni Sama, 1996.
|
|
| Autore: | Plagionotus [ 28/01/2019, 17:53 ] |
| Oggetto del messaggio: | Re: Cortodera schurmanni Sama, 1996 - Cerambycidae |
Vedi tu . Io non l'ho mai visto e non so se è antipatico, sicuramente è uno specialista con i fiocchi, però certe manie che gli sono venute ultimamente...
|
|
| Pagina 1 di 1 | Tutti gli orari sono UTC + 1 ora [ ora legale ] |
| Powered by phpBB® Forum Software © phpBB Group http://www.phpbb.com/ |
|