Benvenuto Ospite

Forum Entomologi Italiani

www.entomologiitaliani.net/forum
 
Oggi è 10/11/2025, 13:44

Tutti gli orari sono UTC + 1 ora [ ora legale ]

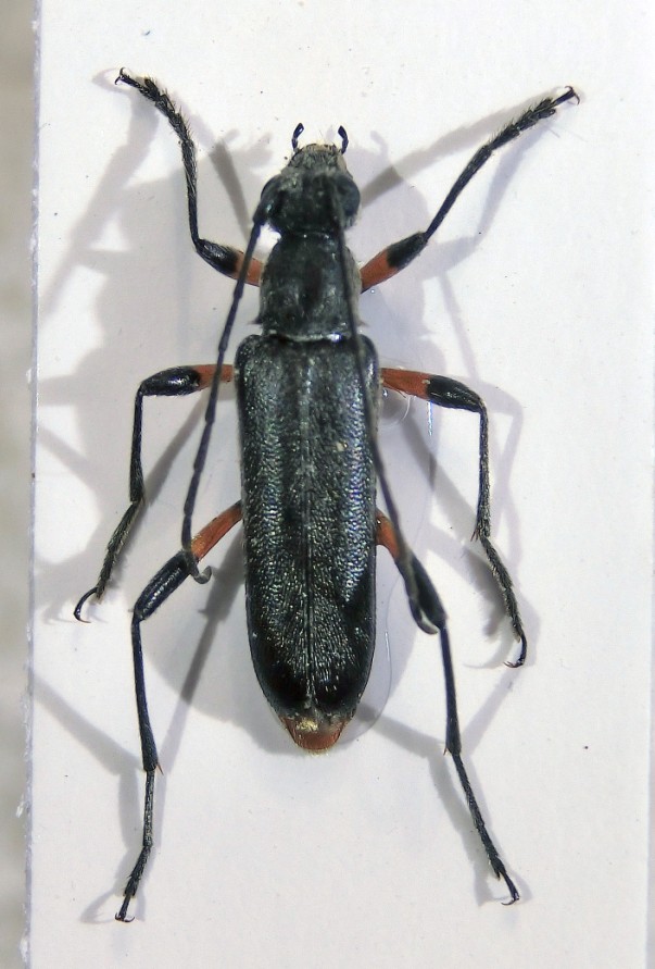
Grammoptera abdominalis (Stephens, 1831) Dettagli della specie

15.VI.2013 - ITALIA - Marche - AN, Valdicastro, Fabriano


nuovo argomento
rispondi
Pagina 1 di 1 [ 3 messaggi ]
Autore Messaggio
MessaggioInviato: 18/06/2013, 22:22 
Avatar utente

Iscritto il: 10/05/2009, 15:30
Messaggi: 7182
Località: Ancona
Nome: Giacomo Giovagnoli
Valdicastro (Fabriano, Ancona); 18.V/15.VI.2013.

Mi era già capitato di prenderla in questo posto, ma questa mi ha incuriosito perché è finita in una trappola a vino appesa su quercia in mezzo ad un pascolo. Pensavo fosse prettamente floricola...

Dimensioni: 9mm
CIMG0828.jpg



Ciao :)

_________________
Immagine Giacomo


Top
profilo
MessaggioInviato: 22/06/2013, 16:36 
Avatar utente

Iscritto il: 21/05/2009, 14:59
Messaggi: 6994
Località: Parigi
Nome: Riccardo Poloni
No no, ti confermo che arrivano volentieri anche in trappola :ok:

_________________
Riccardo Poloni
La dignità degli elementi
la libertà della poesia,
al di là dei tradimenti degli uomini
è magia, è magia, è magia...
Negrita, Rotolando verso sud


Top
profilo
MessaggioInviato: 22/06/2013, 20:04 
Avatar utente

Iscritto il: 10/05/2009, 15:30
Messaggi: 7182
Località: Ancona
Nome: Giacomo Giovagnoli
Bene!!! ;)

_________________
Immagine Giacomo


Top
profilo
Visualizza ultimi messaggi:  Ordina per  
nuovo argomento
rispondi
Pagina 1 di 1 [ 3 messaggi ]

Tutti gli orari sono UTC + 1 ora [ ora legale ]


Chi c’è in linea

Visitano il forum: Nessuno e 2 ospiti


Non puoi aprire nuovi argomenti
Non puoi rispondere negli argomenti
Non puoi modificare i tuoi messaggi
Non puoi cancellare i tuoi messaggi
Non puoi inviare allegati

Cerca per:
Vai a: