Forum Entomologi Italiani
http://www.entomologiitaliani.net/public/forum/phpBB3/

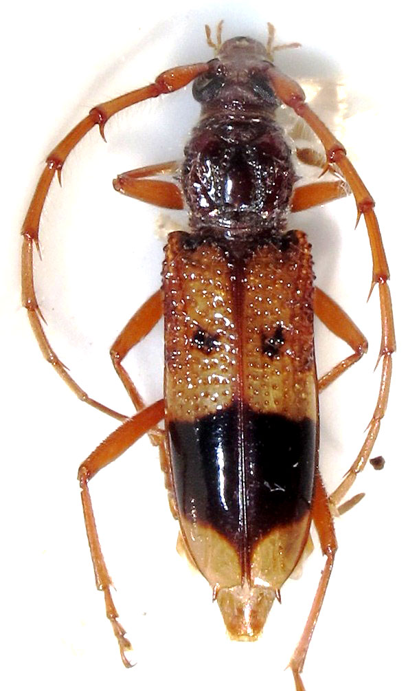
Phoracantha recurva Newman, 1840 - Cerambycidae
http://www.entomologiitaliani.net/public/forum/phpBB3/viewtopic.php?f=145&t=46486
Pagina 1 di 1

Autore:  Guido Sabatinelli [ 28/07/2013, 11:29 ]
Oggetto del messaggio:  Phoracantha recurva Newman, 1840 - Cerambycidae

Credo questa sia il cerambicide arrivato dall'Australia a parassitare finalmente i dannati eucalipti.

Allegati:
016.JPG


Autore:  FORBIX [ 28/07/2013, 11:46 ]
Oggetto del messaggio:  Re: Cerambicidae - Tunisia

Guido Sabatinelli ha scritto:
Credo questa sia il cerambicide arrivato dall'Australia a parassitare finalmente i dannati eucalipti.

Direi proprio di si!
Una delle due specie.
Questa รจ Phoracantha recurva Newman, 1840 ;)
Ciao Guido!! :lov2:

Autore:  Guido Sabatinelli [ 28/07/2013, 14:17 ]
Oggetto del messaggio:  Re: Cerambicidae - Tunisia

Grazie Leonardo e continua a fare foto!

Autore:  Honza [ 28/07/2013, 18:09 ]
Oggetto del messaggio:  Re: Cerambicidae - Tunisia

Due specie simili
:hi:

Allegati:
BEZ%20~2.JPG

Phoracantha%20semipunctata%20(Fabricius%201775).jpg


Pagina 1 di 1 Tutti gli orari sono UTC + 1 ora [ ora legale ]
Powered by phpBB® Forum Software © phpBB Group
http://www.phpbb.com/