Forum Entomologi Italiani
http://www.entomologiitaliani.net/public/forum/phpBB3/

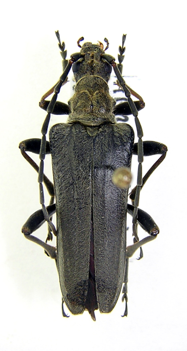
Stenocorus (Stenocorus) meridianus (Linnaeus, 1758) - Cerambycidae
http://www.entomologiitaliani.net/public/forum/phpBB3/viewtopic.php?f=145&t=46797
Pagina 1 di 2

Autore:  Alessio89 [ 11/08/2013, 19:27 ]
Oggetto del messaggio:  Stenocorus (Stenocorus) meridianus (Linnaeus, 1758) - Cerambycidae

Visto che sul forum abbondano esemplari del Nord Italia, ho deciso di inserirne uno del Centro (se non mi sono confuso con qualcos'altro). Inizialmente ero orientato più verso Oxymirus, ma ricontrollando meglio a casa direi certamente Stenocorus meridianus.

Dimensioni: 24mm ca.

Allegati:
DSCN8364.JPG


Autore:  Entomarci [ 11/08/2013, 19:33 ]
Oggetto del messaggio:  Re: Stenocorus (Stenocorus) meridianus (Linnaeus, 1758) - Cerambycidae ???

É l'anno degli stenocorus!

Autore:  Mikiphasmide [ 11/08/2013, 19:39 ]
Oggetto del messaggio:  Re: Stenocorus (Stenocorus) meridianus (Linnaeus, 1758) - Cerambycidae ???

Quest'anno ho trovato anch'io il mio primo in Val di Genova!

Autore:  Alessio89 [ 11/08/2013, 19:45 ]
Oggetto del messaggio:  Re: Stenocorus (Stenocorus) meridianus (Linnaeus, 1758) - Cerambycidae ???

Che bello, sono contento! :D
Speriamo di trovarne altri in futuro. Questo era intento a nutrirsi su dei fiori di sambuco e sembrava l'unico presente nella zona.

Autore:  Tc70 [ 11/08/2013, 21:41 ]
Oggetto del messaggio:  Re: Stenocorus (Stenocorus) meridianus (Linnaeus, 1758) - Cerambycidae ???

Entomarci ha scritto:
É l'anno degli stenocorus!


Molto probabilmente,dopo,per quache tempo non ne vedremo più....li ho raccolti pure io quest'anno per la prima volta...non ne avevo mai visti...siamo in un periodo di massima fluttuazione....sarà colpa un pò anche delle pioggie che si sono protratte a lungo...ritardando un pò la biologia degli Insetti... :roll: ...non so,però sembrerebbe che anche ad Agosto si stian trovando specie che normalmente si trovan a fine Giugno o Luglio.... :hi:

Autore:  Alessio89 [ 11/08/2013, 23:51 ]
Oggetto del messaggio:  Re: Stenocorus (Stenocorus) meridianus (Linnaeus, 1758) - Cerambycidae

Ero indeciso se rispondere qui o nel post di Fabio; forse meglio qui, mi sembra più corretto ;)
Tc70 ha scritto:
Molto probabilmente,dopo,per quache tempo non ne vedremo più....li ho raccolti pure io quest'anno per la prima volta...non ne avevo mai visti...siamo in un periodo di massima fluttuazione....sarà colpa un pò anche delle pioggie che si sono protratte a lungo...ritardando un pò la biologia degli Insetti... ...non so,però sembrerebbe che anche ad Agosto si stian trovando specie che normalmente si trovan a fine Giugno o Luglio....


Protrebbe essere benissimo così, sarei però curioso di leggere prima qualche lavoro a riguardo. Solitamente nel campo dell'entomologia i più studiati da questo punto di vista sono gli insetti di interesse agrario e sanitario. Per quelli "non economicamente importanti" invece non ho mai letto nulla (sarà forse perchè non mi informo adeguatamente). Sarebbe interessante conoscere e indagare tra i fattori che influenzano questo tipo di fluttuazioni. In termini ecologici, insetti come lo Stenocorus, così come tanti altri dello stesso livello trofico, ovvero semplici consumatori di materia organica morta, non sono certo paragonabili ai consumatori primari come ad esempio le locuste o altri fitofagi aventi sempre una certa consistenza come popolazione e un maggiore impatto sull'ambiente circostante, quindi i fattori ambientali che cerchiamo saranno sicuramente diversi.
Il bello sta nello stabilire quali sono. Sempre che dipenda dall'ambiente e non da altro però.
Alessio89 ha scritto:
...siamo in un periodo di massima fluttuazione....

Giusto per uno "spunto", siamo anche nel periodio del... massimo solare! :mrgreen: :?

Autore:  Entomarci [ 12/08/2013, 8:06 ]
Oggetto del messaggio:  Re: Stenocorus (Stenocorus) meridianus (Linnaeus, 1758) - Cerambycidae

Io non so trovare una spiegazione alle fluttuazioni degli insetti xilofagi, sicuramente non dipendono dal fatto che vi siano o meno risorse a loro disposizione, in quel caso infatti dovremmo parlare di contrazioni o espansioni di areale piuttosto.
Io noto tuttavia che molte specie tendono irresistibilmente a presentarsi per alcuni anni con abbondanza di individui adulti salvo poi rarefarsi repentinamente per ulteriori periodi di tempo.
Potrei fare decine di esempi, mi viene in mente brachyta borni (molto studiata dai francesi) raccolta in centinaia di esemplari a inizio del secolo scorso, poi divenuta rarissima e recentemente riapparsa con popolazioni discretamente abbondanti. Come mai? Di sicuro sul Col de Var non hanno costruito alberghi o piantato frutteti (stiamo parlando di un insetto che vive tra i 2000 e i 2700 metri di altitudine per capirci)...
In Romagna da una quindicina di anni è ricomparsa oberea euphorbiae, citata a metà del '900 di due esemplari raccolti da Malmerendi sul Fossatone (Ra), poi mai più ritrovata per circa 40 anni ed ora facilmente avvistabile sulle piante di euforbia palustre, pianta che di sicuro non è scomparsa negli anni ma le cui popolazioni sono rimaste costanti nel tempo...come mai???

Attenzione però, non confondiamo questo fenomeno con le normali dinamiche delle popolazioni, prima fra tutte lo sfarfallamento, allorquando per pochi giorni una moltitudine di individui si diffonde nell'ambiente per effetto della nascita simultanea e coordinata dell'80% degli individui di una popolazione insita in un determinato biotopo mentre nei giorni/settimane precedenti e successivi a questi soltanto pochi individui sono avvistabili in natura (questo è un fatto che è facile riscontrare con i floricoli per esempio... personalmente ho assistito a uno sfarfallamento di oxymirus cursor tanti anni fa a Campigna, un giorno di Giugno in cui volavano un pò dappertutto ed era facile trovare maschi su ceppi, cataste, per terra o addiruttura in mezzo ai sentieri).

Autore:  Alessio89 [ 12/08/2013, 14:52 ]
Oggetto del messaggio:  Re: Stenocorus (Stenocorus) meridianus (Linnaeus, 1758) - Cerambycidae

Entomarci ha scritto:
Io non so trovare una spiegazione alle fluttuazioni degli insetti xilofagi, sicuramente non dipendono dal fatto che vi siano o meno risorse a loro disposizione...

Sono pienamente d'accordo con te :ok: .

Si sente e si legge spesso di oscillazioni inspiegabili di questo tipo. A me è capitato di assistere a esplosioni demografiche di Rhizotrogus ciliatus vexillis. Diversi anni fa nella mia zona se ne trovavano veramente tanti, ovviamente durante il loro periodo di comparsa, poi è avvenuto un calo demografico, verificatosi gradualmente, e sono arrivato ad osservarne solo pochi individui ogni anno. Una quindicina di anni fa (quando ancora non li raccoglievo), arrivavano a formare in alcuni punti, lungo le strade, delle strisce marroni, per il gran numero di individui che venivano schiacciati dalle auto.

Se qualcuno mi può consigliare qualche lettura in particolare, su fenomeni documentati del genere, mi faccia sapere che sono interessato :oops: .

Grazie a tutti per le risposte :birra:

Autore:  Julodis [ 12/08/2013, 16:06 ]
Oggetto del messaggio:  Re: Stenocorus (Stenocorus) meridianus (Linnaeus, 1758) - Cerambycidae

Salve a tutti. Rieccomi qua, dopo qualche giorno di forzato isolamento, visto che a Serrone non ho collegamento al Web.

La questione che ponete è molto complessa, e ci sono moltissimi fattori da chiamare in causa, più o meno importanti a seconda del gruppo e della specie.

Per prima cosa, facciamo però una sorta di tara alle fluttuazioni che osserviamo. A volte sono solo fluttuazioni apparenti, nel senso che se un anno qualcuno capita in un posto in cui c'è proprio in quel momento lo sfarfallamento di una specie, può sembrare che sia molto più comune che in altri anni, quando magari si è capitati nello stesso posto anche solo pochi giorni prima o dopo del picco massimo della popolazione. Considerato questo, è comunque indubbio che ci siano forti fluttuazioni nelle popolazioni di insetti (come del resto anche di altri animali, solo che nei Vertebrati si notano quasi sempre meno a causa del lungo periodo di vita, che rende queste fluttuazioni più lente).

Dal quesito iniziale, ovvero le fluttuazioni degli xilofagi, vedo che vi siete allargati anche a specie a larve terricole, ma tornerei agli xilofagi, per non allargare troppo il discorso.

Per questi, i fattori più importanti che mi vengono in mente, in grado di influire sulla consistenza di una popolazione, sono:
1 - quantità di substrato disponibile (ovvero parti di piante nelle condizioni adatte allo sviluppo della specie)
2 - condizioni climatiche (in particolare, umidità e periodi invernali più o meno freddi)
3 - condizioni dell'ambiente (alcune specie sono favorite da situazioni di bosco fitto, molte altre da situazioni più aperte, ecotonali, margine di boschi, ecc. - per cui, ad esempio, nei boschi cedui, a seconda del livello di sviluppo del bosco acquistano importanza specie diverse)
4 - fluttuazioni nelle popolazioni di predatori e parassiti/parassitoidi
5 - azione di virus e altri organismi patogeni
6 - competizione con altre specie con esigenze simili

Anche a me quest'anno è capitato di trovare alcune specie più abbondanti del solito, ed altre molto più scarse, ma è una cosa del tutto normale, che succede più o meno ogni anno.
Per quanto riguarda il supposto ritardo di stagione, riferendomi ai Buprestidi, che osservo con più attenzione, direi che sono usciti più o meno negli stessi periodi degli anni passati, anche se spesso si sono trovati sfalsati rispetto allo sviluppo delle piante. Ad esempio, nelle zone intorno a Serrone, il paesaggio vegetale generale sembra quello di fine giugno, nel senso che è ancora tutto verde e rigoglioso, mentre l'anno passato in questo periodo era tutto secco, con le piante che non riuscivano più a tenere le foglie sui rami, o lo facevano a stento. Ma di Buprestidi floricoli non se ne vedono più dell'anno scorso, anzi forse meno.

P.S. - Bella bestia, per l'Appennino centrale!

Autore:  Alessio89 [ 12/08/2013, 17:14 ]
Oggetto del messaggio:  Re: Stenocorus (Stenocorus) meridianus (Linnaeus, 1758) - Cerambycidae

Lo immaginavo che il discorso fosse molto complesso. Se poi inizio a pensare a questi fattori che hai elencato, lo diventa ancora di più. I primi due-tre sono senz'altro quelli a cui ci riferiamo più di frequente, i fattori, se vogliamo, più appariscenti e più facili da registrare. Gli altri invece sono quelli più complessi, molto più difficili da osservare direttamente, senza una ricerca approfondita. Basti pensare ai parassiti/parassitoidi, che sono loro volta insidiati da iperparassiti/iperparassitoidi. Anche gli stessi xilofagi sono loro stessi parassiti, e in una direzione o in un'altra tutte queste entità si influenzano a vicenda. A rigor di logica parallelamente a un calo della popolazione di una data specie, dovremmo osservare (se questa è stata parassitizzata) un aumento della popolazione del suo parassita. Potremmo però anche riggirare la questione, il parassita potrebbe essere influenzato dal suo ospite, oppure naturalmente non dipendere da questi e magari con un raggio di ospiti maggiore a disposizione, confondere l'osservatore. Lo stesso vale per i predatori.
Tutti i casi finiscono per trascinarsi dietro numerose possibilità di veduta.

Non ho ancora capito però se posso intervenire anche altri elementi, magari "fisiologici", una sorta di autoregolazione della popolazione. :roll:

Julodis ha scritto:
Per quanto riguarda il supposto ritardo di stagione, riferendomi ai Buprestidi, che osservo con più attenzione, direi che sono usciti più o meno negli stessi periodi degli anni passati, anche se spesso si sono trovati sfalsati rispetto allo sviluppo delle piante.

Esattamente quello che ho osservato anch'io (non solo per i buprestidi chiaramente), non ho notato un particolare cambiamento nella loro fenologia. Probabilmente da noi il clima non ha influito più di tanto :? .
Julodis ha scritto:
P.S. - Bella bestia, per l'Appennino centrale!

:hp:

Autore:  Julodis [ 12/08/2013, 18:05 ]
Oggetto del messaggio:  Re: Stenocorus (Stenocorus) meridianus (Linnaeus, 1758) - Cerambycidae

Alessio89 ha scritto:
A rigor di logica parallelamente a un calo della popolazione di una data specie, dovremmo osservare (se questa è stata parassitizzata) un aumento della popolazione del suo parassita.

Più che altro, quando aumenta la popolazione dell'ospite, aumenta pure quella del parassita/parassitoide/predatore, ma con un ritardo, in genere di almeno una generazione. Ovviamente, questo si verifica in modo evidente quando siamo di fronte ad un parassita/predatore che attacca solo o quasi solo quella specie, altrimenti le cose si complicano. Senza contare che lo stesso ospite normalmente ha più parassiti/predatori

Autore:  Alessio89 [ 12/08/2013, 19:45 ]
Oggetto del messaggio:  Re: Stenocorus (Stenocorus) meridianus (Linnaeus, 1758) - Cerambycidae

hai pienamente ragione ho detto una cavolata :no1: .

Quindi può dipendere e come, dalla quantità di cibo a loro disposizione! Mi perdonerà Marcello se cambio idea (devo contraddirmi). Considerando che molti xilofagi sono parassiti di piante, all'aumento delle condizioni adatte allo sviluppo della specie, come diceva Maurizio, può corrispondere un incremento della popolazione dell'insetto. Tra parassiti (eterotrofi) e organismi autotrofi come le piante, dovrebbe funzionare allo stesso modo, o sto dicendo delle scempiaggini anche qui?

Maurizio interviene sempre con risposte ben ponderate ed è impossibile contraddirlo :mrgreen:

Autore:  Julodis [ 12/08/2013, 23:04 ]
Oggetto del messaggio:  Re: Stenocorus (Stenocorus) meridianus (Linnaeus, 1758) - Cerambycidae

Alessio89 ha scritto:
Tra parassiti (eterotrofi) e organismi autotrofi come le piante, dovrebbe funzionare allo stesso modo,

C'è un legame simile. Ovviamente bisogna tener conto della grande differenza della durata di vita tra la maggior parte delle piante e gli insetti.

Inoltre bisogna considerare che il più delle volte le possibilità di sviluppo degli xilofagi non sono legate al numero di piante della specie ospite (o delle specie ospiti), ma a quelle che presentano le condizioni adatte di sviluppo per quella specie di xilofago.
Per cui può capitare, e capita spesso, che un bellissimo bosco con tante piante in salute che so, di quercia, sia poco adatto allo sviluppo di un certo xilofago, che invece prospera in una zona con meno piante, ma sottoposte a qualche tipo di stress, sofferenti, contorte e malandate.

Autore:  Entomarci [ 13/08/2013, 8:11 ]
Oggetto del messaggio:  Re: Stenocorus (Stenocorus) meridianus (Linnaeus, 1758) - Cerambycidae

Julodis ha scritto:
Anche a me quest'anno è capitato di trovare alcune specie più abbondanti del solito, ed altre molto più scarse, ma è una cosa del tutto normale, che succede più o meno ogni anno.


Questo è chiaro, infatti io mi riferivo a fluttuazioni ben più lunghe, che portano certe specie ad essere più comuni se non abbondanti nell'arco di 20, 30 anni salvo poi rarefarsi nelle decadi successive, come del resto ho indicato negli esempi che ho portato (brachyta borni ed oberea euphorbiae).
E' certamente vero che alcune specie hanno una diffusione molto più costante che altre, come per esempio i lepturini floricoli...come mai non c'è una fluttuazione nelle grammoptera ruficornis o nelle rutpela maculata?
Ma anche insetti non floricoli sono molto comuni e costanti nelle ppopolazioni come risulta dagli allevamenti, mi vengono in mente le parmena per esempio, o poecilium alni, phymatodes testaceus, e potrei andare avanti...

E' quindi evidente che la fluttuazione di certe specie è molto legata a fattori esterni che influenzano lo sviluppo degli insetti, ma non mi pare che tra tali fattori quello decisivo sia legato al substrato alimentare a disposizione, che semmai è un fattore che può comportare la presenza o la rarefazione di una comunità di insetti in un certo biotopo, ma non è ciò di cui stiamo parlando qui sia ben chiaro, qui parliamo di esplosioni demografiche vere e proprie, quasi un boom delle nascite no?

Autore:  Alessio89 [ 13/08/2013, 12:04 ]
Oggetto del messaggio:  Re: Stenocorus (Stenocorus) meridianus (Linnaeus, 1758) - Cerambycidae

Entomarci ha scritto:
Questo è chiaro, infatti io mi riferivo a fluttuazioni ben più lunghe

Lo stesso vale per me, ma l'ultima parte del messaggio di Maurizio, poco dopo i fattori che influenzano la demografia di una popolazione, penso che sia una semplice constatazione di quello che ha osservato quest'anno. Inoltre per il caso degli Stenocorus non è detto che valga lo stesso discorso.

Entomarci ha scritto:
E' quindi evidente che la fluttuazione di certe specie è molto legata a fattori esterni che influenzano lo sviluppo degli insetti, ma non mi pare che tra tali fattori quello decisivo sia legato al substrato alimentare a disposizione

Infatti ho scritto che può dipendere da quel fattore, non è detto che deve necessariamente dipendere da esso. Nel senso che è una possibilità che, benché assurda e forse banale in alcuni casi, può comunque essere presa in considerazione.

Io intanto aggiungeri un altro fattore, a quelli elencati (visto che l'ho letto :to: ), ma ce ne sarebbero tanti altri:

7 - differenze di comportamento all'interno della stessa popolazione

Pagina 1 di 2 Tutti gli orari sono UTC + 1 ora [ ora legale ]
Powered by phpBB® Forum Software © phpBB Group
http://www.phpbb.com/