Benvenuto Ospite

Forum Entomologi Italiani

www.entomologiitaliani.net/forum
 
Oggi è 11/11/2025, 7:34

Tutti gli orari sono UTC + 1 ora [ ora legale ]

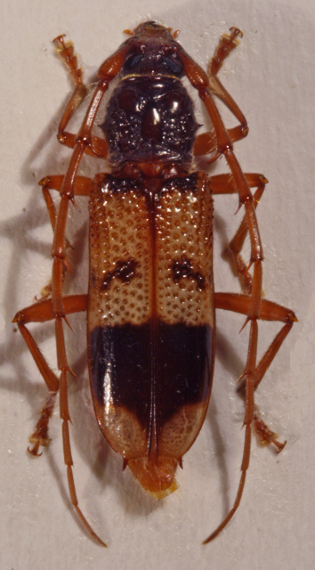
Phoracantha recurva Newman, 1840 Dettagli della specie

5.XII.2013 - ITALIA - Toscana - PI, Migliarino - Vecchiano


nuovo argomento
rispondi
Pagina 1 di 1 [ 3 messaggi ]
Autore Messaggio
MessaggioInviato: 09/12/2013, 12:48 
Avatar utente

Iscritto il: 19/11/2012, 21:32
Messaggi: 276
Località: PISA
Nome: luigi innocenti
Salve a tutti
Anche se gia' presente nel forum segnalo questo ritrovamento interessante per le mie zone
Stefano Cosmi (stefano79) aveva gia' segnalato per Migliarino Vecchiano (PI) il ritrovamento di questa specie ed anche io ho reperito sotto corteccia di eucalipto questo esemplare che conferma la presenza di questa specie nelle zone della provincia di Pisa .
L'esemplare misura 21 mm ed era molto vivace
Dato il periodo forse e' un esemplare sfarfallato in ritardo che tentava di svernare sotto corteccia !?
Luigi


Phoracantha recurva.jpg


_________________
Luigi
Top
profilo
 Oggetto del messaggio: Re: Phoracantha recurva Newman, 1840
MessaggioInviato: 09/12/2013, 13:00 
Avatar utente

Iscritto il: 30/12/2009, 22:20
Messaggi: 31564
Località: Roma
Nome: Maurizio Gigli
Non sono sicuro se lo fa anche la recurva, ma la semipunctata, almeno in alcuni esemplari, sverna da adulto in celletta, avendoceli trovati anni fa.

_________________
Maurizio Gigli
http://utenti.romascuola.net/bups
http://bup.xoom.it/


Top
profilo
MessaggioInviato: 09/12/2013, 22:19 
Avatar utente

Iscritto il: 05/08/2009, 18:02
Messaggi: 2264
Nome: Marcello Benelli
Inoltre sono gregarie come le parmena. Spesso si osservano concentrazioni di individui in diapausa...

_________________
Marci
"S'i fosse fuoco, arderei 'l mondo,
S'i fosse vento, lo tempesterei,
S'i fosse acqua, i' l'annegherei
s'i fosse dio, mandereil' en profondo" ( Cecco Angiolieri).


Top
profilo
Visualizza ultimi messaggi:  Ordina per  
nuovo argomento
rispondi
Pagina 1 di 1 [ 3 messaggi ]

Tutti gli orari sono UTC + 1 ora [ ora legale ]


Chi c’è in linea

Visitano il forum: Nessuno e 2 ospiti


Non puoi aprire nuovi argomenti
Non puoi rispondere negli argomenti
Non puoi modificare i tuoi messaggi
Non puoi cancellare i tuoi messaggi
Non puoi inviare allegati

Cerca per:
Vai a: