Benvenuto Ospite

Forum Entomologi Italiani

www.entomologiitaliani.net/forum
 
Oggi è 11/11/2025, 3:54

Tutti gli orari sono UTC + 1 ora [ ora legale ]

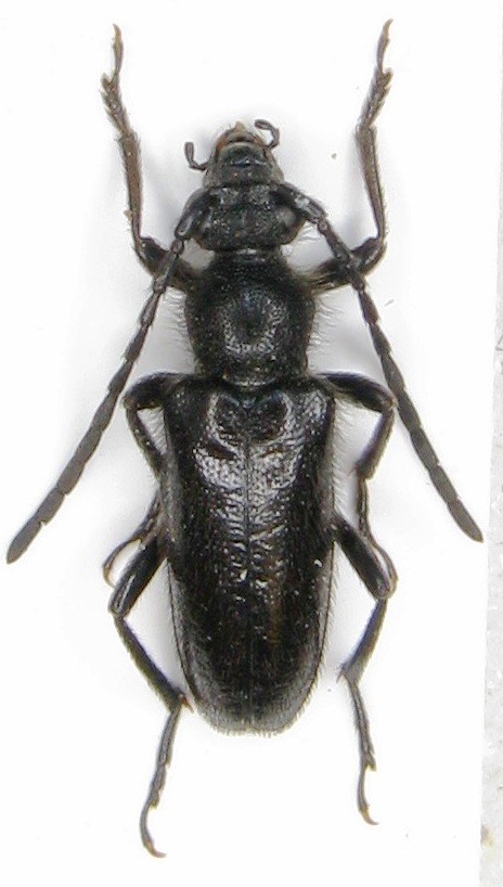
Vadonia unipunctata makedonica Holzschuh, 1989 - Cerambycidae

V.2013 - GRECIA - EE, Xanthi dintorni


nuovo argomento
rispondi
Pagina 1 di 1 [ 2 messaggi ]
Autore Messaggio
MessaggioInviato: 31/12/2013, 21:05 
Avatar utente

Iscritto il: 20/11/2009, 0:34
Messaggi: 571
Località: Vignola (Mo)
Nome: Claudio Sola
altro bel Cerambycidae raccolto nei dintorni di Xanthi , ma molto più piccolo , quasi la metà dei due precedenti


Grecia , Tracia , dintorni di Xanthi V-2013 leg Sola C..JPG


_________________
merlino
Top
profilo
 Oggetto del messaggio: Re: cerambycidae
MessaggioInviato: 01/01/2014, 15:51 
 

Iscritto il: 13/09/2009, 18:04
Messaggi: 881
Nome: Pierpaolo Rapuzzi
Ciao Claudio,
Come gli altri due: Vadonia unipunctata makedonica Holzschuh, 1989
Pierpaolo


Top
profilo
Visualizza ultimi messaggi:  Ordina per  
nuovo argomento
rispondi
Pagina 1 di 1 [ 2 messaggi ]

Tutti gli orari sono UTC + 1 ora [ ora legale ]


Chi c’è in linea

Visitano il forum: Nessuno e 1 ospite


Non puoi aprire nuovi argomenti
Non puoi rispondere negli argomenti
Non puoi modificare i tuoi messaggi
Non puoi cancellare i tuoi messaggi
Non puoi inviare allegati

Cerca per:
Vai a: