Forum Entomologi Italiani
http://www.entomologiitaliani.net/public/forum/phpBB3/

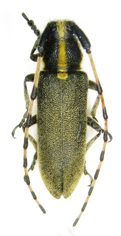
Agapanthia (Epoptes) kirbyi (Gyllenhal, 1817)
http://www.entomologiitaliani.net/public/forum/phpBB3/viewtopic.php?f=145&t=50051
Pagina 1 di 1

Autore:  claudio sola [ 02/01/2014, 21:05 ]
Oggetto del messaggio:  Agapanthia (Epoptes) kirbyi (Gyllenhal, 1817)

ancora un altra

Allegati:
Agapanthia Sp102. - GRECIA Larissa , Spilia , Monte Ossa VI-2012 leg. Sola C..JPG


Autore:  Xylosteus [ 02/01/2014, 21:38 ]
Oggetto del messaggio:  Re: Agapanthia

Questo รจ un rudere di Agapanthia kirbyi...
Pierpaolo

Pagina 1 di 1 Tutti gli orari sono UTC + 1 ora [ ora legale ]
Powered by phpBB® Forum Software © phpBB Group
http://www.phpbb.com/