Benvenuto Ospite

Forum Entomologi Italiani

www.entomologiitaliani.net/forum
 
Oggi è 25/10/2025, 14:28

Tutti gli orari sono UTC + 1 ora [ ora legale ]

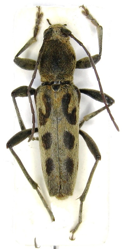
Clorophorus simillimus (Kraatz, 1879) - Cerambycidae

VI.2008 - CINA - EE, Heilongjiang Dong ning


nuovo argomento
rispondi
Pagina 1 di 1 [ 5 messaggi ]
Autore Messaggio
MessaggioInviato: 05/01/2014, 23:22 
Avatar utente

Iscritto il: 20/11/2009, 0:34
Messaggi: 571
Località: Vignola (Mo)
Nome: Claudio Sola
qualcosa di cinese ?


Cina Heilongjiang , Dong-Ning town VI-2008 leg. Xi H.,...JPG


_________________
merlino
Top
profilo
 Oggetto del messaggio: Re: cerambycidae
MessaggioInviato: 05/01/2014, 23:52 
Avatar utente

Iscritto il: 09/11/2010, 19:52
Messaggi: 4518
Località: Brescia
Nome: Luca Bodei
Qualcosa vicino a Chlorophorus o Isotomus.... :? ...vediamo gli esperti... :hi:

_________________
Tc70


Top
profilo
 Oggetto del messaggio: Re: cerambycidae
MessaggioInviato: 06/01/2014, 3:12 
 

Iscritto il: 14/10/2011, 14:54
Messaggi: 226
Località: Castelnuovo Bocca d'Adda (LO)
Nome: Luciano Arcorace
Ciao Claudio
allora, prendila per quello che è , cioè un'ipotesi fatta senza conoscere affatto la fauna cinese e solo consultando poche pubblicazioni e qualche foto su internet.
Comunque sia , trovo una notevole somiglianza tra il tuo esemplare e Clorophorus simillimus (Kraatz, 1879), specie citata anche per la provincia di Heilongjiang.

magari non è questa specie, ma potrebbe essere un buon punto di partenza per cercare.

Ripeto, la mia è solo un'ipotesi molto, molto azzardata, tenendo anche presente che già dalle poche pubblicazioni a cui ho accesso e dalle foto sul web, almeno un'altra specie segnalata per quella provincia, C.tredecimmaculatus, sembra essere molto simile.

Ciao Lucio

_________________
Ciao Lucio


Top
profilo
 Oggetto del messaggio: Re: cerambycidae
MessaggioInviato: 06/01/2014, 15:36 
Avatar utente

Iscritto il: 20/11/2009, 0:34
Messaggi: 571
Località: Vignola (Mo)
Nome: Claudio Sola
Limonium calabrum ha scritto:
Ciao Claudio
allora, prendila per quello che è , cioè un'ipotesi fatta senza conoscere affatto la fauna cinese e solo consultando poche pubblicazioni e qualche foto su internet.
Comunque sia , trovo una notevole somiglianza tra il tuo esemplare e Clorophorus simillimus (Kraatz, 1879), specie citata anche per la provincia di Heilongjiang.

magari non è questa specie, ma potrebbe essere un buon punto di partenza per cercare.

Ripeto, la mia è solo un'ipotesi molto, molto azzardata, tenendo anche presente che già dalle poche pubblicazioni a cui ho accesso e dalle foto sul web, almeno un'altra specie segnalata per quella provincia, C.tredecimmaculatus, sembra essere molto simile.

Ciao Lucio

ciao Lucio , grazzie mille , un aiuto è sempre ben accetto

_________________
merlino


Top
profilo
 Oggetto del messaggio: Re: cerambycidae
MessaggioInviato: 06/01/2014, 17:28 
 

Iscritto il: 13/09/2009, 18:04
Messaggi: 881
Nome: Pierpaolo Rapuzzi
Ciao Claudio,
è proprio il Chlorophors simillimus. Si tratta di una specie ad ampia distribuzione in Cina, Siberia e Mongolia.
Pierpaolo


Top
profilo
Visualizza ultimi messaggi:  Ordina per  
nuovo argomento
rispondi
Pagina 1 di 1 [ 5 messaggi ]

Tutti gli orari sono UTC + 1 ora [ ora legale ]


Chi c’è in linea

Visitano il forum: Nessuno e 12 ospiti


Non puoi aprire nuovi argomenti
Non puoi rispondere negli argomenti
Non puoi modificare i tuoi messaggi
Non puoi cancellare i tuoi messaggi
Non puoi inviare allegati

Cerca per:
Vai a: