| Forum Entomologi Italiani http://www.entomologiitaliani.net/public/forum/phpBB3/ |
|
| Neoplocaederus caroli (Leprieur, 1876) - Cerambycidae http://www.entomologiitaliani.net/public/forum/phpBB3/viewtopic.php?f=145&t=50580 |
Pagina 1 di 1 |
| Autore: | Guido Sabatinelli [ 27/01/2014, 8:08 ] | |||
| Oggetto del messaggio: | Neoplocaederus caroli (Leprieur, 1876) - Cerambycidae | |||
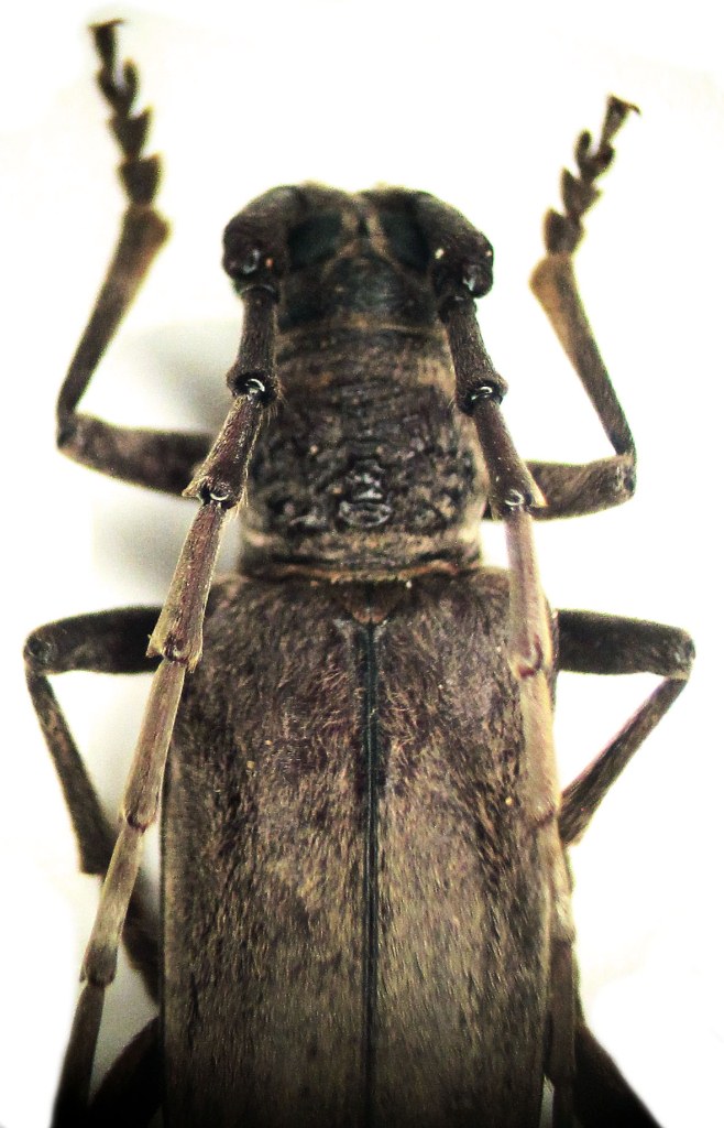
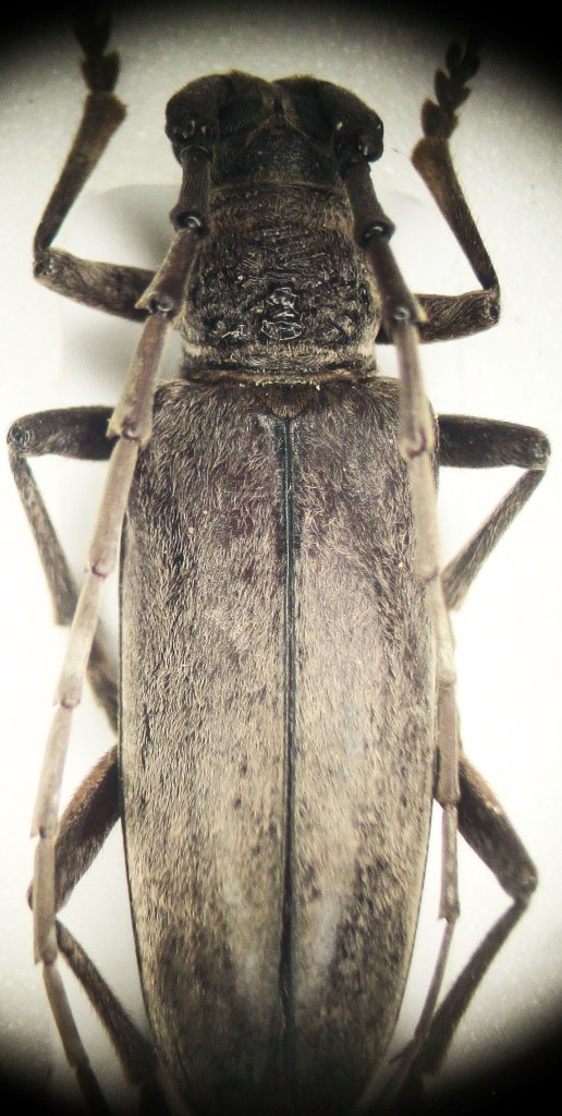
Mi sembra un cerambicide interessante. Lunghezza 25 mm.
|
||||
| Autore: | Julodis [ 27/01/2014, 8:10 ] |
| Oggetto del messaggio: | Re: Derolus mauritanicus (Buquet, 1840) - Tunisia |
Questo come l'hai trovato? Alla luce? In Tunisia non mi è mai capitato, ma mi pare di averne preso uno sotto ai lampioni in Marocco, non ricordo se a Ouarzazate o in quale altro posto. |
|
| Autore: | Guido Sabatinelli [ 27/01/2014, 8:15 ] |
| Oggetto del messaggio: | Re: Derolus mauritanicus (Buquet, 1840) - Tunisia |
Alla luce in una freddissima e ventosa serata assieme a 4 Pachydema e un raffreddore. |
|
| Autore: | Daniele Sechi [ 27/01/2014, 9:20 ] |
| Oggetto del messaggio: | Re: Derolus mauritanicus (Buquet, 1840) - Tunisia |
Questa è una femmina, anche io ne ho ricevuto una bella serie della Costa sud orientale della Tunisia. |
|
| Autore: | Guido Sabatinelli [ 27/01/2014, 11:09 ] |
| Oggetto del messaggio: | Re: Derolus mauritanicus (Buquet, 1840) - Tunisia |
Daniele Sechi ha scritto: Questa è una femmina, anche io ne ho ricevuto una bella serie della Costa sud orientale della Tunisia. Ah finalmente qualcosa che Maurizio non ha preso in Tunisia!! I tuoi chi li ha catturati e dove? Grazie.
|
|
| Autore: | Xylosteus [ 27/01/2014, 11:39 ] |
| Oggetto del messaggio: | Re: Derolus mauritanicus (Buquet, 1840) - Tunisia |
Ciao Guido, non è un Derolus (guarda le antenne che hanno delle sporgenze acuminate all'apice dei primi articoli). Si tratta di Neoplocaederus caroli, una specie diffusa nella parte desertica del Nord Africa dalla Libia al Marocco. Ciao Pierpaolo |
|
| Autore: | Guido Sabatinelli [ 27/01/2014, 12:06 ] |
| Oggetto del messaggio: | Re: Derolus mauritanicus (Buquet, 1840) - Tunisia |
Xylosteus ha scritto: Ciao Guido, Ammazza non ne ho azzeccata una! E con questi finisco la serie del materiale raccolto l'altro anno. Torno agli scarabeidi sperando in migliori cacce quest'anno. Grazie a tutti, amici e/o colleghi, che ci hanno orientato nelle identificazioni!
non è un Derolus (guarda le antenne che hanno delle sporgenze acuminate all'apice dei primi articoli). Si tratta di Neoplocaederus caroli, una specie diffusa nella parte desertica del Nord Africa dalla Libia al Marocco. Ciao Pierpaolo |
|
| Autore: | Julodis [ 27/01/2014, 17:27 ] |
| Oggetto del messaggio: | Re: Derolus mauritanicus (Buquet, 1840) - Tunisia |
Guido Sabatinelli ha scritto: Daniele Sechi ha scritto: Questa è una femmina, anche io ne ho ricevuto una bella serie della Costa sud orientale della Tunisia. Ah finalmente qualcosa che Maurizio non ha preso in Tunisia!! I tuoi chi li ha catturati e dove? Grazie.Neoplocaederus o Derolus, non l'ho comunque mai preso in Tunisia. E un motivo c'è: non ci ho mai fatto ricerche alla luce! Al massimo al tramonto. Ogni volta mi riproponevo di fare qualche serata con la luce, ma poi cascavo dal sonno, dopo aver girato dal mattino alla sera in cerca d'insetti, e dopo cena cascavo in catalessi in albergo.
|
|
| Pagina 1 di 1 | Tutti gli orari sono UTC + 1 ora [ ora legale ] |
| Powered by phpBB® Forum Software © phpBB Group http://www.phpbb.com/ |
|