| Autore |
Messaggio |
|
Entomarci
|
Inviato: 23/02/2014, 12:21 |
|
Iscritto il: 05/08/2009, 18:02 Messaggi: 2264
Nome: Marcello Benelli
|
Sfarfallata oggi da un fusticino di asphodeline raccolto a fine Maggio 2013 a Creta. Sono davvero molto soddisfatto di questa nascita perchè avevamo trovato un campo di asfodeli letteralmente infestato da questo bellissimo insetto, ma si trattava di piante appena attaccate e le larvette erano davvero infinitesimali (considerate ch egli adulti sono attivi in Aprile, è ragionevole supporre che le deposizioni fossero state fatte a fine mese e le larve si fossero schiuse nella prima quindicina di Maggio...). La probabilità che i fusti di asfodelo così prelevati, caricati in stiva e mantenuti circa 9 mesi in laboratorio cercando di preservare le giuste condizioni per lo sviluppo delle larve dessero questo risultato erano piuttosto scarse. Ho mantenuto i fusti dentro un vaso riempiendo di terra la parte basale e nebulizzando acqua almeno una volta alla settimana cercando di mantenere un tasso di umidità costante. Speriamo che seguano altri sfarfallamenti! L'ambiente di raccolta, Chora Sfakion, è un ambiente submontano che digrada rapidamente sul mare, molto assolato con terreno piuttosto brullo e roccioso. La vegetazoine dominante sono immense distese di asfodeli, probabilmente durante la stagione giusta deve pullulare letteralmente di agapanthia cretica!
_________________ Marci "S'i fosse fuoco, arderei 'l mondo, S'i fosse vento, lo tempesterei, S'i fosse acqua, i' l'annegherei s'i fosse dio, mandereil' en profondo" ( Cecco Angiolieri).
|
|
| Top |
|
 |
|
michele.carraretto
|
Inviato: 23/02/2014, 14:26 |
|
Iscritto il: 23/04/2010, 15:29 Messaggi: 604 Località: Morgano (TV)
Nome: Michele Carraretto
|
Davero bravo Marcello. Deve essere davvero una bella soddisfazione, oltre che per l'insetto, anche per la scommessa vinta (di portare a termine lo sviluppo). Compliment!!!  michele PS: le larve stanno alla base del fusto, vicino alle radici o più semplicemente alla metà del fusto?
|
|
| Top |
|
 |
|
michele.carraretto
|
Inviato: 23/02/2014, 14:47 |
|
Iscritto il: 23/04/2010, 15:29 Messaggi: 604 Località: Morgano (TV)
Nome: Michele Carraretto
|
Scusa Marcelli, ma è una A. cretica o una Agapanthia probsti Holzschuh, 1984?  michele
|
|
| Top |
|
 |
|
Entomarci
|
Inviato: 23/02/2014, 14:53 |
|
Iscritto il: 05/08/2009, 18:02 Messaggi: 2264
Nome: Marcello Benelli
|
michele.carraretto ha scritto: Scusa Marcelli, ma è una A. cretica o una Agapanthia probsti Holzschuh, 1984?  michele A me sembra la cretica...hai dei dubbi?
_________________ Marci "S'i fosse fuoco, arderei 'l mondo, S'i fosse vento, lo tempesterei, S'i fosse acqua, i' l'annegherei s'i fosse dio, mandereil' en profondo" ( Cecco Angiolieri).
|
|
| Top |
|
 |
|
michele.carraretto
|
Inviato: 23/02/2014, 16:23 |
|
Iscritto il: 23/04/2010, 15:29 Messaggi: 604 Località: Morgano (TV)
Nome: Michele Carraretto
|
No, non ho mai visto ne l'una e ne l'altra, solo che mi sembrava molto scura, mentre la cretica mi sembrava fosse più chiara. Come ripeto, non le conosco e quindi ...  michele
|
|
| Top |
|
 |
|
Trichoferus
|
Inviato: 23/02/2014, 20:24 |
|
Iscritto il: 18/09/2009, 17:23 Messaggi: 217 Località: Czech rep.
Nome: Jan Hrbek
|
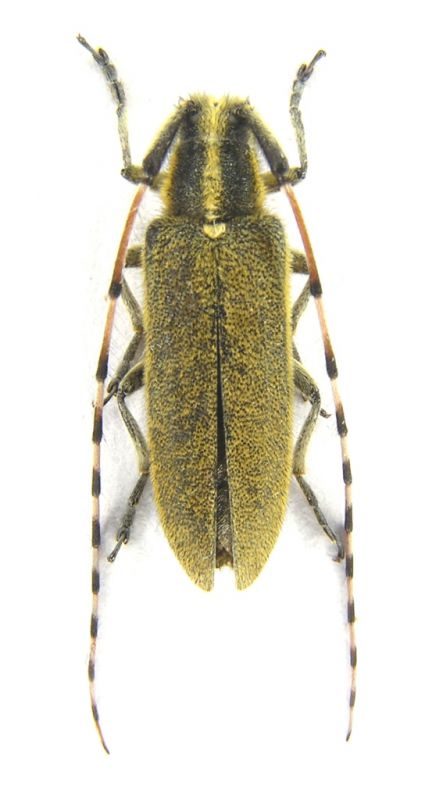
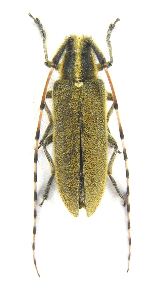
|
This is Agapanthia probsti - host plant Asphodeline lutea and Asphodeline liburnica. Host plant of Agapanthia cretica is Asphodelus aestivus.
A. probsti is smaller, has "flat" body and elytrae have distinct yellow stripe on lateral margin.. A. cretica is larger, more robust and quite similar to A. asphodeli or A. dahli..
Agapanthia cretica

|
Agapanthia probsti

|
_________________ Cerambycidae of Western palearctic region http://www.cerambycidae-hrbek.cz
|
|
| Top |
|
 |
|
Entomarci
|
Inviato: 23/02/2014, 21:06 |
|
Iscritto il: 05/08/2009, 18:02 Messaggi: 2264
Nome: Marcello Benelli
|
È vero...è la probsti... Fantastico! Non ci speravo mica! 
_________________ Marci "S'i fosse fuoco, arderei 'l mondo, S'i fosse vento, lo tempesterei, S'i fosse acqua, i' l'annegherei s'i fosse dio, mandereil' en profondo" ( Cecco Angiolieri).
|
|
| Top |
|
 |
|
michele.carraretto
|
Inviato: 23/02/2014, 21:27 |
|
Iscritto il: 23/04/2010, 15:29 Messaggi: 604 Località: Morgano (TV)
Nome: Michele Carraretto
|
|
| Top |
|
 |
|
Julodis
|
Inviato: 24/02/2014, 8:13 |
|
Iscritto il: 30/12/2009, 22:20 Messaggi: 31564 Località: Roma
Nome: Maurizio Gigli
|
|
In quella zona ci sono stato tanti anni fa a luglio. Era praticamente un deserto con temperature proibitive, e quel poco che ci sono stato, prima di rifugiarmi sul versante Nord dell'isola, non ci ho trovato praticamente niente in giro. A saperlo mi portavo a casa qualche fusto secco di Asphodeline!
Una domanda: ricordo di aver trovato delle tracce di probabile Agapanthia sulle Asphodeline lutea del nostro Appennino. Sapete quale delle nostre specie la attacca? La asphodeli, anche se credo sia limitata alla zona costiera, la villosoviridescens o la solita cardui?
|
|
| Top |
|
 |
|
Plagionotus
|
Inviato: 01/03/2014, 23:08 |
|
Iscritto il: 21/05/2009, 14:59 Messaggi: 6994 Località: Parigi
Nome: Riccardo Poloni
|
La villosovirdiscescens non so, ma la cardui sta su tutto praticamente, quindi forse anche sull'Asphodeline  .
_________________ Riccardo Poloni La dignità degli elementi la libertà della poesia, al di là dei tradimenti degli uomini è magia, è magia, è magia... Negrita, Rotolando verso sud
|
|
| Top |
|
 |
|