| Forum Entomologi Italiani http://www.entomologiitaliani.net/public/forum/phpBB3/ |
|
| Brachypteroma ottomanum Heyden, 1863 - Cerambycidae http://www.entomologiitaliani.net/public/forum/phpBB3/viewtopic.php?f=145&t=53481 |
Pagina 1 di 1 |
| Autore: | Lucanus tetraodon [ 14/05/2014, 23:52 ] |
| Oggetto del messaggio: | Brachypteroma ottomanum Heyden, 1863 - Cerambycidae |
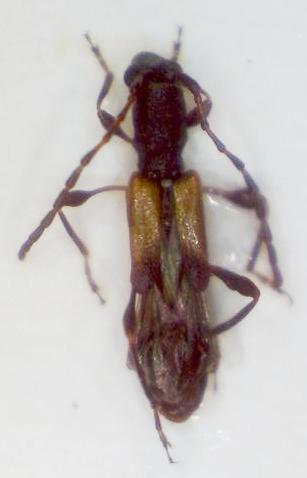
Brachypteroma ottomanum Heyden, 1863 - Cerambycidae Unico Cerambycidae trovato in questa escursione viewtopic.php?f=413&t=53408 Raccolto su Calycotome sp. Dimensioni: 6 mm |
|
| Pagina 1 di 1 | Tutti gli orari sono UTC + 1 ora [ ora legale ] |
| Powered by phpBB® Forum Software © phpBB Group http://www.phpbb.com/ |
|