Benvenuto Ospite

Forum Entomologi Italiani

www.entomologiitaliani.net/forum
 
Oggi è 14/11/2025, 2:38

Tutti gli orari sono UTC + 1 ora [ ora legale ]

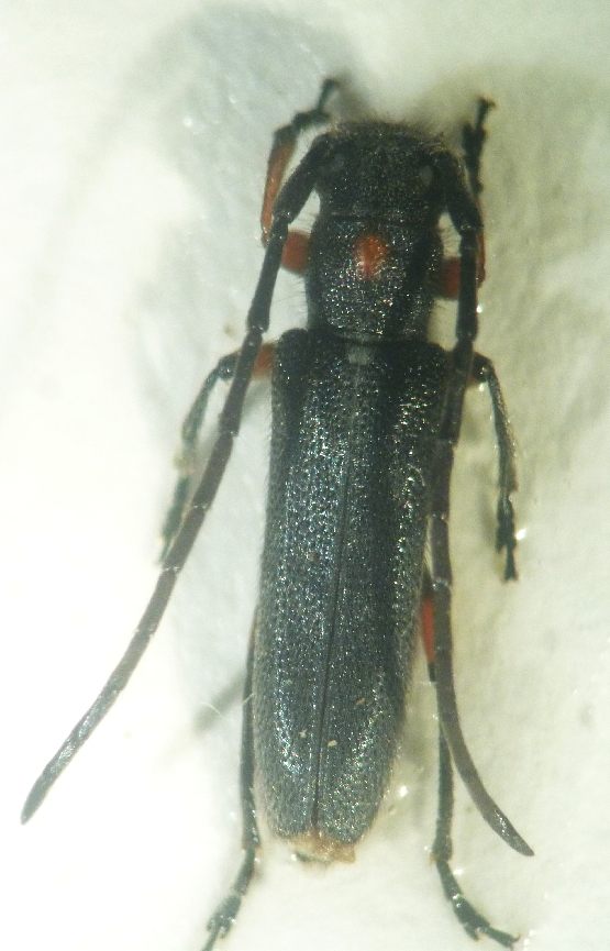
Phytoecia virgula (Charpentier, 1825) Dettagli della specie

2.VI.2014 - ITALIA - Lombardia - BG, Val Brembana


nuovo argomento
rispondi
Pagina 1 di 1 [ 3 messaggi ]
Autore Messaggio
MessaggioInviato: 06/06/2014, 19:12 
Avatar utente

Iscritto il: 28/04/2012, 12:08
Messaggi: 349
Località: Cremona-Piacenza
Nome: paolo marenzi
frugando nel forum , ricorda la virgula, che ne pensate?
trovata in una valle laterale della val Brembana , su asteracea gialla, forse una Inula sp.
intorno ai 600-700 m

9 mm ca entrambi

Grazie mille :hi: :hi:


a1.jpg

a.jpg

Top
profilo
 Oggetto del messaggio: Re: coppia Phytoecia
MessaggioInviato: 06/06/2014, 19:27 
Avatar utente

Iscritto il: 01/11/2010, 21:21
Messaggi: 2110
Località: Brescia
Nome: Mario Grottolo
:ok:
Mario


Top
profilo
MessaggioInviato: 07/06/2014, 17:41 
Avatar utente

Iscritto il: 28/04/2012, 12:08
Messaggi: 349
Località: Cremona-Piacenza
Nome: paolo marenzi
grazie per la conferma :ok: :hi: :hi:


Top
profilo
Visualizza ultimi messaggi:  Ordina per  
nuovo argomento
rispondi
Pagina 1 di 1 [ 3 messaggi ]

Tutti gli orari sono UTC + 1 ora [ ora legale ]


Chi c’è in linea

Visitano il forum: Nessuno e 5 ospiti


Non puoi aprire nuovi argomenti
Non puoi rispondere negli argomenti
Non puoi modificare i tuoi messaggi
Non puoi cancellare i tuoi messaggi
Non puoi inviare allegati

Cerca per:
Vai a: