Benvenuto Ospite

Forum Entomologi Italiani

www.entomologiitaliani.net/forum
 
Oggi è 13/11/2025, 18:10

Tutti gli orari sono UTC + 1 ora [ ora legale ]

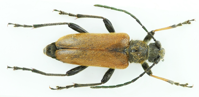
Cortodera discolor (cf.) - Cerambycidae

24.V.2014 - TURCHIA - EE, Karaman


nuovo argomento
rispondi
Pagina 1 di 1 [ 3 messaggi ]
Autore Messaggio
MessaggioInviato: 10/07/2014, 1:51 
 

Iscritto il: 10/04/2013, 16:11
Messaggi: 546
Nome: Ozgur Kocak
Vadonia sp...?
Turkey, Karaman, May 2014


2014-66
2014_66.jpg

Top
profilo
 Oggetto del messaggio: Re: Cerambycidae
MessaggioInviato: 10/07/2014, 8:09 
Avatar utente

Iscritto il: 05/08/2009, 18:02
Messaggi: 2264
Nome: Marcello Benelli
Cortodera ssp.?

_________________
Marci
"S'i fosse fuoco, arderei 'l mondo,
S'i fosse vento, lo tempesterei,
S'i fosse acqua, i' l'annegherei
s'i fosse dio, mandereil' en profondo" ( Cecco Angiolieri).


Top
profilo
 Oggetto del messaggio: Re: Cerambycidae
MessaggioInviato: 10/07/2014, 8:53 
 

Iscritto il: 13/09/2009, 18:04
Messaggi: 881
Nome: Pierpaolo Rapuzzi
Hi Ozgur,
as wrote by Marcello it is a Cortodera. The species is a little difficult. It is something close to Cortodera discolor.
Pierpaolo


Top
profilo
Visualizza ultimi messaggi:  Ordina per  
nuovo argomento
rispondi
Pagina 1 di 1 [ 3 messaggi ]

Tutti gli orari sono UTC + 1 ora [ ora legale ]


Chi c’è in linea

Visitano il forum: Nessuno e 3 ospiti


Non puoi aprire nuovi argomenti
Non puoi rispondere negli argomenti
Non puoi modificare i tuoi messaggi
Non puoi cancellare i tuoi messaggi
Non puoi inviare allegati

Cerca per:
Vai a: