| Forum Entomologi Italiani http://www.entomologiitaliani.net/public/forum/phpBB3/ |
|
| Vesperus strepens (Fabricius, 1792) - Cerambycidae http://www.entomologiitaliani.net/public/forum/phpBB3/viewtopic.php?f=145&t=55696 |
Pagina 1 di 1 |
| Autore: | Chalybion [ 13/08/2014, 10:38 ] |
| Oggetto del messaggio: | Vesperus strepens (Fabricius, 1792) - Cerambycidae |
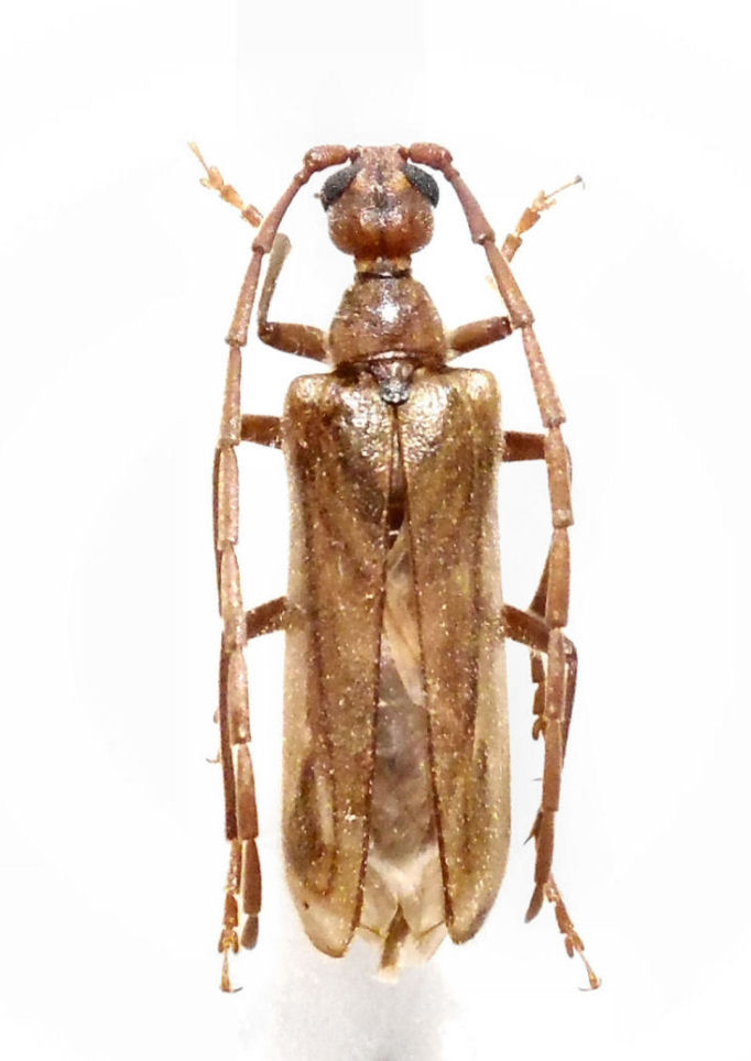
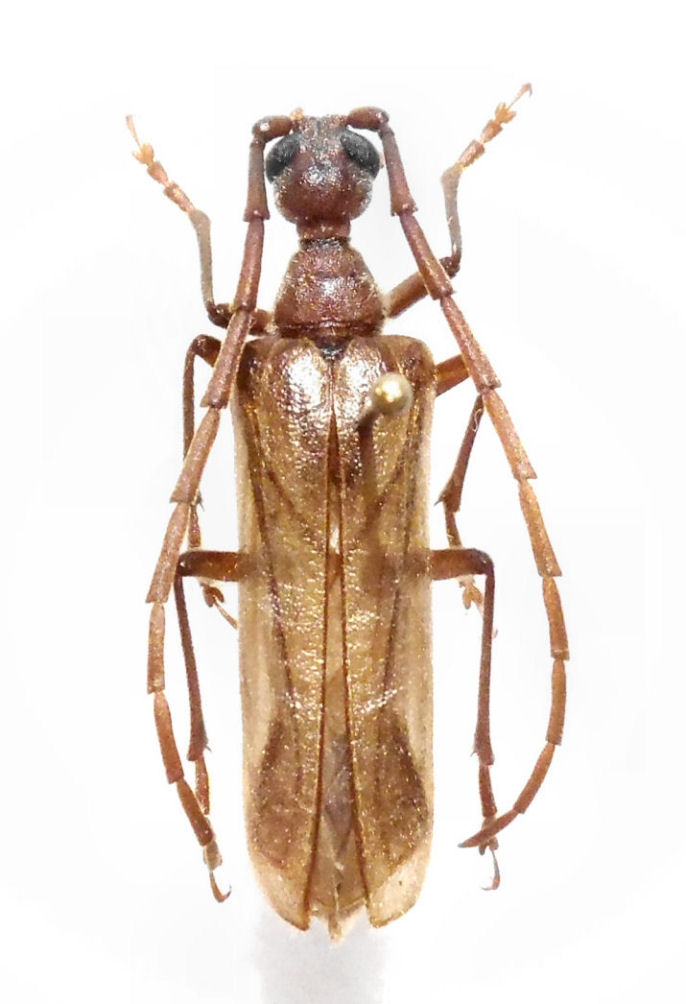
Malgrado le ricerche anche su FEI non ho capito molto come vanno interpretati questi 3 exx che posto in successione e penso essere dello stesso "tipo" malgrado le differenti epoche di raccolta. Grazie. 1.V.2003, Dolceacqua (IM), 500 m 8.VI.2012, Colle Scarassan (sopra Gola di Gouta, IM), 1225 m 20.VII.2014, passo Muratone (IM), 1200 m |
|
| Autore: | Xylosteus [ 13/08/2014, 13:42 ] |
| Oggetto del messaggio: | Re: Vesperus liguria occidentale |
Ciao, sono tutti Vesperus strepens. Pierpaolo |
|
| Autore: | Chalybion [ 14/08/2014, 19:20 ] |
| Oggetto del messaggio: | Re: Vesperus strepens (Fabricius, 1792) - Cerambycidae |
Grazie, come supponevo, ma ci sono opinioni "strane" circa le epoche di comparsa e volevo conferma.
|
|
| Autore: | marco villa [ 14/08/2014, 20:42 ] |
| Oggetto del messaggio: | Re: Vesperus strepens (Fabricius, 1792) - Cerambycidae |
In effetti sono esemplari tardivi, dato che la specie compare normalmente a Febbraio-Marzo. |
|
| Autore: | Entomarci [ 15/08/2014, 10:55 ] |
| Oggetto del messaggio: | Re: Vesperus strepens (Fabricius, 1792) - Cerambycidae |
L'unico vesperus strepens che ho trovato nella mia vita era un maschio raccolto nelle Langhe in Febbraio durante un giro per cantine; era semischiacciato vicino ad un capannone stipato di casse di nebbiolo... |
|
| Autore: | pedux [ 15/08/2014, 17:13 ] |
| Oggetto del messaggio: | Re: Vesperus strepens (Fabricius, 1792) - Cerambycidae |
se l'insetto girava per cantine era un Vesperus stropens allora..... ahahah PS: chi è pratico di dialetto bresciano e bergamasco capisce la battutaccia
|
|
| Autore: | Chalybion [ 16/08/2014, 9:29 ] |
| Oggetto del messaggio: | Re: Vesperus strepens (Fabricius, 1792) - Cerambycidae |
Come il luridus, anche questi vengono alla luce bianca in volo. L'ultimo ex era invece su uno stelo d'erba. Non pensavo fosse raro da trovare. Ne ho tenuto uno per località, ma ne ho visti altri.
|
|
| Autore: | Plagionotus [ 17/08/2014, 16:04 ] |
| Oggetto del messaggio: | Re: Vesperus strepens (Fabricius, 1792) - Cerambycidae |
Ho tentato varie volte di raccogliere questa bestia nelle langhe, ma non essendo patentato fino all'ultima volta che ci sono andato, non mi è mai riuscito di trovarlo perchè sta leggermente più a est di dove vado io di solito (Castagnole Lanze). Sarebbe però utile quale sia il periodo in cui sono stati raccolti più esemplari. |
|
| Autore: | hypotyphlus [ 17/08/2014, 17:05 ] |
| Oggetto del messaggio: | Re: Vesperus strepens (Fabricius, 1792) - Cerambycidae |
Plagionotus ha scritto: perchè sta leggermente più a est di dove vado io di solito (Castagnole Lanze) I tre esemplari di questo post sono dell'imperiese;gli altri due presenti sul forum sono del cuneese, quindi immagino che volevi dire ...ovest.
|
|
| Autore: | Plagionotus [ 17/08/2014, 18:32 ] |
| Oggetto del messaggio: | Re: Vesperus strepens (Fabricius, 1792) - Cerambycidae |
Ovviamente . è la matematica che fa male
|
|
| Pagina 1 di 1 | Tutti gli orari sono UTC + 1 ora [ ora legale ] |
| Powered by phpBB® Forum Software © phpBB Group http://www.phpbb.com/ |
|