Forum Entomologi Italiani
http://www.entomologiitaliani.net/public/forum/phpBB3/

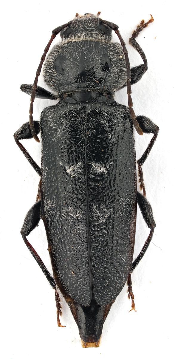
Hylotrupes bajulus (Linnaeus, 1758) - Cerambycidae
http://www.entomologiitaliani.net/public/forum/phpBB3/viewtopic.php?f=145&t=56089
Pagina 1 di 1

Autore:  StagBeetle [ 29/08/2014, 20:18 ]
Oggetto del messaggio:  Hylotrupes bajulus (Linnaeus, 1758) - Cerambycidae

Hylotrupes bajulus (Linnaeus, 1758).

Gagliole (Macerata); 03.VIII.2014.

Credo sia il primo per le Marche. Mi sbaglio? :oops:

[grazie zio per le foto!!! :birra: ]
Comb1332_18zLcr.jpg


Comb1334_43zLcr.jpg



Ciao :)

Pagina 1 di 1 Tutti gli orari sono UTC + 1 ora [ ora legale ]
Powered by phpBB® Forum Software © phpBB Group
http://www.phpbb.com/