| Autore |
Messaggio |
|
Pietro Niolu
|
Inviato: 02/03/2010, 18:11 |
|
Iscritto il: 06/02/2009, 9:05 Messaggi: 2588 Località: Alghero
Nome: Pietro Niolu
|
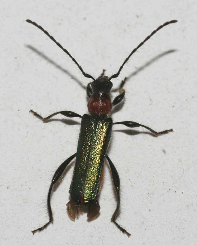
Scusate le foto ma non ne ho di migliori, l'ho incontrato una sola volta. Cantharidae? Villanova Monteleone 24 maggio 2009
_________________ Ciao Pietro
|
|
| Top |
|
 |
|
pedux
|
Inviato: 02/03/2010, 18:56 |
|
Iscritto il: 06/02/2009, 9:07 Messaggi: 1485 Località: Val Camonica (BS)
Nome: Davide Pedersoli
|
magari sbaglio, ma non può essere un Cerambycidae, tipo Lampropterus abdominalis? dal vivo non l'ho presente però! 
_________________ Pedux Camuno
|
|
| Top |
|
 |
|
marco paglialunga
|
Inviato: 02/03/2010, 19:04 |
|
Iscritto il: 11/11/2009, 20:54 Messaggi: 4850 Località: Pesaro
Nome: Marco Paglialunga
|
|
Io direi....Callimus (Callimellum) abdominalis (Olivier 1795)
_________________ O voi ch'avete li 'ntelletti sani, mirate la dottrina che s'asconde sotto 'l velame de li versi strani (InfeRRno - canto IX - vv. 61-63)
Ultima modifica di marco paglialunga il 02/03/2010, 19:07, modificato 1 volta in totale.
|
|
| Top |
|
 |
|
Xylosteus
|
Inviato: 02/03/2010, 19:07 |
|
Iscritto il: 13/09/2009, 18:04 Messaggi: 881
Nome: Pierpaolo Rapuzzi
|
|
Si tratta di Callimus abdominalis (Olivier, 1795) femmina. Si riconosce la femmina dal maschi per il rponoto e l'addome rossicci, nel maschio sono neri. Si tratta di una specie diffusa in Italia dall'Emilia a sud comprese le isole. La larva si sviluppa in rami secchi di latifoglie (Quercus, Acer, Ostrya, Castanea etc.) Pierpaolo
Mi sono sovrapposto a Marco....
|
|
| Top |
|
 |
|
pedux
|
Inviato: 02/03/2010, 19:14 |
|
Iscritto il: 06/02/2009, 9:07 Messaggi: 1485 Località: Val Camonica (BS)
Nome: Davide Pedersoli
|
dall'Emilia in giù....ecco perchè non l'ho mai visto!  certo che con questi nomi, è quello che ho detto io, ma quanti nomi c'ha anche lui 
_________________ Pedux Camuno
|
|
| Top |
|
 |
|
Julodis
|
Inviato: 02/03/2010, 19:16 |
|
Iscritto il: 30/12/2009, 22:20 Messaggi: 31564 Località: Roma
Nome: Maurizio Gigli
|
Xylosteus ha scritto: Si tratta di Callimus abdominalis (Olivier, 1795) femmina. Si riconosce la femmina dal maschi per il rponoto e l'addome rossicci, nel maschio sono neri. Si tratta di una specie diffusa in Italia dall'Emilia a sud comprese le isole. La larva si sviluppa in rami secchi di latifoglie (Quercus, Acer, Ostrya, Castanea etc.) Pierpaolo
Mi sono sovrapposto a Marco.... Io ce l'ho ancora come Callimellum abdominale (Olivier, 1795). Ma insomma, quando si arriverà ad avere un nome che resta quello per un po'? 
|
|
| Top |
|
 |
|
Pietro Niolu
|
Inviato: 02/03/2010, 19:23 |
|
Iscritto il: 06/02/2009, 9:05 Messaggi: 2588 Località: Alghero
Nome: Pietro Niolu
|
|
Grazie a tutti. Il mio orientamento relativamente ai coleotteri é molto approssimativo.
_________________ Ciao Pietro
|
|
| Top |
|
 |
|
Plagionotus
|
Inviato: 03/03/2010, 21:49 |
|
Iscritto il: 21/05/2009, 14:59 Messaggi: 6994 Località: Parigi
Nome: Riccardo Poloni
|
Julodis ha scritto: Xylosteus ha scritto: Si tratta di Callimus abdominalis (Olivier, 1795) femmina. Si riconosce la femmina dal maschi per il rponoto e l'addome rossicci, nel maschio sono neri. Si tratta di una specie diffusa in Italia dall'Emilia a sud comprese le isole. La larva si sviluppa in rami secchi di latifoglie (Quercus, Acer, Ostrya, Castanea etc.) Pierpaolo
Mi sono sovrapposto a Marco.... Io ce l'ho ancora come Callimellum abdominale (Olivier, 1795). Ma insomma, quando si arriverà ad avere un nome che resta quello per un po'?  Cerambyx cerdo 
_________________ Riccardo Poloni La dignità degli elementi la libertà della poesia, al di là dei tradimenti degli uomini è magia, è magia, è magia... Negrita, Rotolando verso sud
|
|
| Top |
|
 |
|