Benvenuto Ospite

Forum Entomologi Italiani

www.entomologiitaliani.net/forum
 
Oggi è 17/12/2025, 14:24

Tutti gli orari sono UTC + 1 ora [ ora legale ]

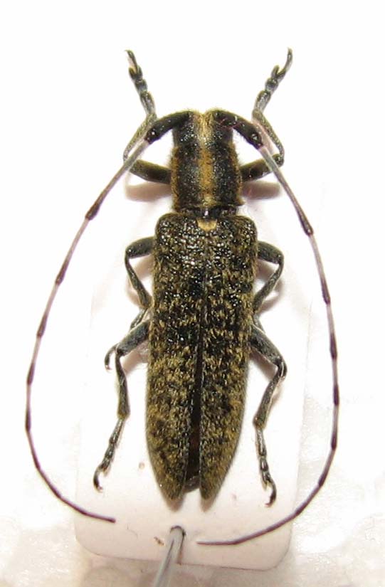
Agapanthia (Epoptes) villosoviridescens (De Geer, 1775) Dettagli della specie

7.VI.2014 - ITALIA - Toscana - FI, Passo Giogo - Scarperia


nuovo argomento
rispondi
Pagina 1 di 1 [ 3 messaggi ]
Autore Messaggio
MessaggioInviato: 26/10/2014, 11:39 
 

Iscritto il: 17/05/2014, 20:49
Messaggi: 375
Località: Prato
Nome: Daniele Totis
Quale specie ?
mm. 14
Grazie


001.jpg

Top
profilo
 Oggetto del messaggio: Re: agapanthia sp.
MessaggioInviato: 26/10/2014, 12:14 
Avatar utente

Iscritto il: 01/11/2010, 21:21
Messaggi: 2110
Località: Brescia
Nome: Mario Grottolo
Agapanthia villosoviridescens


Top
profilo
 Oggetto del messaggio: Re: agapanthia sp.
MessaggioInviato: 26/10/2014, 16:36 
 

Iscritto il: 17/05/2014, 20:49
Messaggi: 375
Località: Prato
Nome: Daniele Totis
Grazie

:birra: :birra: :birra:


Top
profilo
Visualizza ultimi messaggi:  Ordina per  
nuovo argomento
rispondi
Pagina 1 di 1 [ 3 messaggi ]

Tutti gli orari sono UTC + 1 ora [ ora legale ]


Chi c’è in linea

Visitano il forum: Nessuno e 2 ospiti


Non puoi aprire nuovi argomenti
Non puoi rispondere negli argomenti
Non puoi modificare i tuoi messaggi
Non puoi cancellare i tuoi messaggi
Non puoi inviare allegati

Cerca per:
Vai a: