Benvenuto Ospite

Forum Entomologi Italiani

www.entomologiitaliani.net/forum
 
Oggi è 14/11/2025, 4:50

Tutti gli orari sono UTC + 1 ora [ ora legale ]

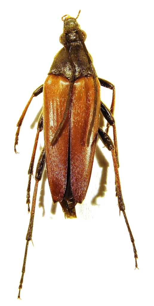
Etorofus pubescens (Fabricius, 1787) Dettagli della specie

ALBANIA - EE


nuovo argomento
rispondi
Pagina 1 di 1 [ 4 messaggi ]
Autore Messaggio
MessaggioInviato: 04/11/2014, 20:55 
Avatar utente

Iscritto il: 16/05/2010, 14:26
Messaggi: 761
Località: United Kingdom
Nome: Zdenko Lucbauer
Hola amigos !

Pedostrangalia ? I m lost here ! :cry: :bit




Anyone ?

:lov1:

:hi:


DSC_0366 - Copy.JPG

DSC_0350 - Copy.JPG

Top
profilo
 Oggetto del messaggio: Re: Lepturoidish species
MessaggioInviato: 04/11/2014, 21:31 
Avatar utente

Iscritto il: 05/08/2009, 18:02
Messaggi: 2264
Nome: Marcello Benelli
Etorofus pubescens!

_________________
Marci
"S'i fosse fuoco, arderei 'l mondo,
S'i fosse vento, lo tempesterei,
S'i fosse acqua, i' l'annegherei
s'i fosse dio, mandereil' en profondo" ( Cecco Angiolieri).


Top
profilo
 Oggetto del messaggio: Re: Lepturoidish species
MessaggioInviato: 05/11/2014, 15:08 
Avatar utente

Iscritto il: 17/11/2010, 4:40
Messaggi: 269
Località: POLSKA - Warszawa
Nome: Adam Woźniak
:ok:
Photo 1: E. pubescens forma typica
Photo 2: E. pubescens ab. perobscura REITT.


Top
profilo
 Oggetto del messaggio: Re: Lepturoidish species
MessaggioInviato: 05/11/2014, 21:36 
Avatar utente

Iscritto il: 16/05/2010, 14:26
Messaggi: 761
Località: United Kingdom
Nome: Zdenko Lucbauer
:hp: :hp: :hp: :hp: :hp:

:lov2: :lov2: :lov2: :lov2:

:birra: :birra:

:hi:


Top
profilo
Visualizza ultimi messaggi:  Ordina per  
nuovo argomento
rispondi
Pagina 1 di 1 [ 4 messaggi ]

Tutti gli orari sono UTC + 1 ora [ ora legale ]


Chi c’è in linea

Visitano il forum: Nessuno e 8 ospiti


Non puoi aprire nuovi argomenti
Non puoi rispondere negli argomenti
Non puoi modificare i tuoi messaggi
Non puoi cancellare i tuoi messaggi
Non puoi inviare allegati

Cerca per:
Vai a: