Benvenuto Ospite

Forum Entomologi Italiani

www.entomologiitaliani.net/forum
 
Oggi è 10/11/2025, 5:16

Tutti gli orari sono UTC + 1 ora [ ora legale ]

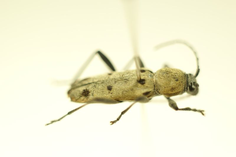
Chlorophorus glabromaculatus (Goeze, 1777) Dettagli della specie

14.VI.2006 - ITALIA - Emilia-Romagna - BO, Marzabotto


nuovo argomento
rispondi
Pagina 1 di 1 [ 6 messaggi ]
Autore Messaggio
MessaggioInviato: 25/03/2015, 20:45 
 

Iscritto il: 09/08/2013, 15:35
Messaggi: 1260
Nome: Andrea marata
Salve,
... chi è?... :roll: chlorophorus glabromaculatus?
Grazie
Andrea :hi:
Dimensioni: 1,1 cm


DSC07380.jpg

DSC07381.jpg

DSC07385.jpg

Top
profilo
 Oggetto del messaggio: Re: Cerambicidae chi?
MessaggioInviato: 25/03/2015, 21:22 
Avatar utente

Iscritto il: 22/12/2009, 13:31
Messaggi: 9646
Località: Napoli
Nome: Francesco Izzillo
:ok:

_________________
Francesco Izzillo


Top
profilo
 Oggetto del messaggio: Re: Cerambicidae chi?
MessaggioInviato: 25/03/2015, 21:45 
Avatar utente

Iscritto il: 19/09/2009, 22:25
Messaggi: 5913
Località: Brescia
Nome: Vinicio Salami
chlorophorus glabromaculatus impalatus... :to:


Top
profilo
 Oggetto del messaggio: Re: Cerambicidae chi?
MessaggioInviato: 25/03/2015, 23:34 
Avatar utente

Iscritto il: 30/12/2010, 11:51
Messaggi: 4548
Località: San Giovanni Valdarno (AR)
Nome: Giovanni Altadonna
eurinomio ha scritto:
chlorophorus glabromaculatus impalatus... :to:


:no: :no:

Chlorophorus glabromaculatus impalatus Salami, 2015 :ok:

(Andrea, ovviamente si scherza! :lov2: )

_________________
"L' uomo che è cieco alle bellezze della natura ha perduto metà del piacere di vivere"
Sir Robert Baden Powell

Giovanni Altadonna


Top
profilo
 Oggetto del messaggio: Re: Cerambicidae chi?
MessaggioInviato: 26/03/2015, 0:15 
 

Iscritto il: 09/08/2013, 15:35
Messaggi: 1260
Nome: Andrea marata
... Noto ora che ero riuscito a centrare la macchietta nera come robin hood... Non è da tutti :lol:
Andrea :hi:


Top
profilo
 Oggetto del messaggio: Re: Cerambicidae chi?
MessaggioInviato: 26/03/2015, 3:43 
Avatar utente

Iscritto il: 19/09/2009, 22:25
Messaggi: 5913
Località: Brescia
Nome: Vinicio Salami
Lucanus tetraodon ha scritto:
... :no: :no:

Chlorophorus glabromaculatus impalatus Salami, 2015 :ok:

(Andrea, ovviamente si scherza! :lov2: )


:mrgreen: :mrgreen: :mrgreen: :mrgreen:

Andream ha scritto:
... Noto ora che ero riuscito a centrare la macchietta nera come robin hood... Non è da tutti :lol:
Andrea :hi:


meglio di Guglielmo Tell... :gh: :gh: :gh:


Top
profilo
Visualizza ultimi messaggi:  Ordina per  
nuovo argomento
rispondi
Pagina 1 di 1 [ 6 messaggi ]

Tutti gli orari sono UTC + 1 ora [ ora legale ]


Chi c’è in linea

Visitano il forum: Nessuno e 1 ospite


Non puoi aprire nuovi argomenti
Non puoi rispondere negli argomenti
Non puoi modificare i tuoi messaggi
Non puoi cancellare i tuoi messaggi
Non puoi inviare allegati

Cerca per:
Vai a: