Benvenuto Ospite

Forum Entomologi Italiani

www.entomologiitaliani.net/forum
 
Oggi è 26/10/2025, 16:52

Tutti gli orari sono UTC + 1 ora [ ora legale ]

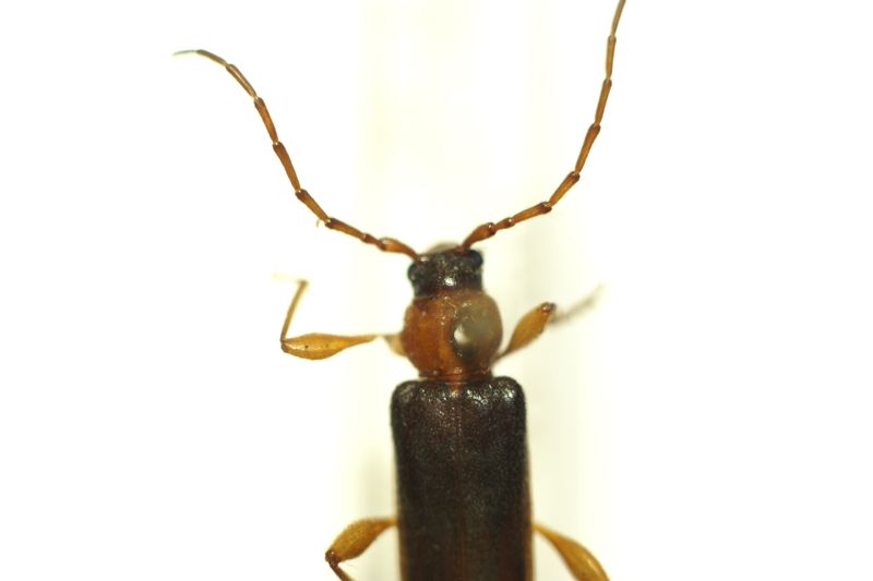
Phymatodes testaceus (Linnaeus, 1758) Dettagli della specie

22.VI.1999 - ITALIA - Toscana - PO, Gavigno


nuovo argomento
rispondi
Pagina 1 di 1 [ 4 messaggi ]
Autore Messaggio
MessaggioInviato: 05/12/2014, 10:26 
 

Iscritto il: 09/08/2013, 15:35
Messaggi: 1260
Nome: Andrea marata
Salve,
...sono al buio.. aiutino?
Grazie
Andrea :hi:
Dimensioni: 1,1 cm


DSC05704.jpg

DSC05703.jpg

DSC05702.jpg

DSC05701.jpg

Top
profilo
 Oggetto del messaggio: Re: Cerambicidae quale?
MessaggioInviato: 05/12/2014, 10:49 
Avatar utente

Iscritto il: 02/09/2009, 20:57
Messaggi: 8703
Località: Cagliari
Nome: Roberto Rattu
Entrambi Phymatodes testaceus (Linnaeus, 1758).

:hi:


Top
profilo
 Oggetto del messaggio: Re: Cerambicidae quale?
MessaggioInviato: 05/12/2014, 10:57 
Avatar utente

Iscritto il: 01/11/2010, 21:21
Messaggi: 2106
Località: Brescia
Nome: Mario Grottolo
Ma non spillarli così!
Mario


Top
profilo
MessaggioInviato: 05/12/2014, 13:48 
 

Iscritto il: 09/08/2013, 15:35
Messaggi: 1260
Nome: Andrea marata
Grazie
Andrea :hi:

P.s: non li spillo più così, ora li incollerei... sono campioni vecchi purtroppo :(


Top
profilo
Visualizza ultimi messaggi:  Ordina per  
nuovo argomento
rispondi
Pagina 1 di 1 [ 4 messaggi ]

Tutti gli orari sono UTC + 1 ora [ ora legale ]


Chi c’è in linea

Visitano il forum: Nessuno e 3 ospiti


Non puoi aprire nuovi argomenti
Non puoi rispondere negli argomenti
Non puoi modificare i tuoi messaggi
Non puoi cancellare i tuoi messaggi
Non puoi inviare allegati

Cerca per:
Vai a: