Benvenuto Ospite

Forum Entomologi Italiani

www.entomologiitaliani.net/forum
 
Oggi è 14/11/2025, 16:43

Tutti gli orari sono UTC + 1 ora [ ora legale ]

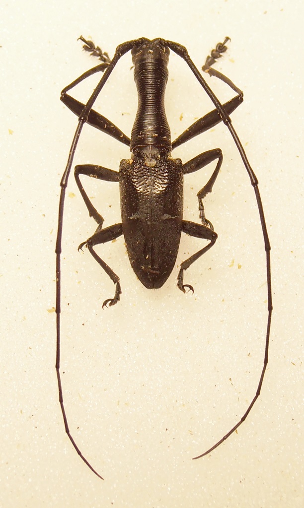
Gnoma subfasciata Thomson, 1865 - Cerambycidae Lamiinae Gnomini

26.XII.2014 - INDONESIA - EST - EE, Tatui, Yapen island, Papua, Casadio C. A. leg


nuovo argomento
rispondi
Pagina 1 di 1 [ 5 messaggi ]
Autore Messaggio
MessaggioInviato: 24/02/2015, 22:42 
Avatar utente

Iscritto il: 06/11/2011, 23:59
Messaggi: 1134
Località: Casola Valsenio
Nome: Carlo Arrigo Casadio
Altra creatura alquanto bizzarra ed elegante :shock: con quel suo collo che ricorda le donne Kayan del nord della Tailandia.
Maschio di 18 mm
Gnoma 2.jpg


Questo genere è diffuso in gran parte del sud est asiatico, (Malesia, Indonesia e Filippine) ed in Papua sono molto abbondanti su tutti, o quasi, gli alberi morenti, sia di giorno che di notte. Sono anche abili nel volare e di dimensioni molto variabili.
Questi due maschi dovrebbero essere della stessa specie, ma dovrei averne almeno un'altra specie.
Scusate per la qualità delle foto :oops: , ma le ho fatte alla luce di una lampada da tavolo :sick: .


Maschio di 24 mm
Gnoma 3.jpg


_________________
Carlo Arrigo

"Solo un entomologo può capire il piacere da me provato nel cacciare per ore in qua e in là, sotto il sole cocente, tra i rami e i ramoscelli e la corteccia degli alberi caduti"
Alfred Russel Wallace
Top
profilo
 Oggetto del messaggio: Re: Gnoma sp.
MessaggioInviato: 25/02/2015, 0:40 
Avatar utente

Iscritto il: 31/12/2009, 1:47
Messaggi: 902
Località: Bellano (LC)
Nome: Martino Salvetti
fantastico!


Top
profilo
 Oggetto del messaggio: Re: Gnoma sp.
MessaggioInviato: 25/02/2015, 9:20 
Avatar utente

Iscritto il: 05/08/2009, 18:02
Messaggi: 2264
Nome: Marcello Benelli
Ne hai presa di robina eh...

_________________
Marci
"S'i fosse fuoco, arderei 'l mondo,
S'i fosse vento, lo tempesterei,
S'i fosse acqua, i' l'annegherei
s'i fosse dio, mandereil' en profondo" ( Cecco Angiolieri).


Top
profilo
 Oggetto del messaggio: Re: Gnoma sp.
MessaggioInviato: 26/02/2015, 19:34 
Avatar utente

Iscritto il: 09/11/2009, 14:12
Messaggi: 5147
Località: Hradec Kralove,Czech republik
Nome: Jan Matějíček
forse :?

Gnoma subfasciata Thomson, 1865 - Lamiinae Gnomini

Distribution:
Indonesia (Sumatra, Java, Borneo,Papua)

_________________
Research Fields
Taxonomy, ecology, biomonitoring , faunistic of Staphylinidae


Top
profilo
 Oggetto del messaggio: Re: Gnoma sp.
MessaggioInviato: 26/02/2015, 22:43 
Avatar utente

Iscritto il: 06/11/2011, 23:59
Messaggi: 1134
Località: Casola Valsenio
Nome: Carlo Arrigo Casadio
Honza ha scritto:
forse :?

Gnoma subfasciata Thomson, 1865 - Lamiinae Gnomini

Distribution:
Indonesia (Sumatra, Java, Borneo,Papua)

Grazie Jan :lov2:
Entomarci ha scritto:
Ne hai presa di robina eh...

Di roba ne ho presa tanta.....purtroppo non ciò che cercavo :cry: :cry:

_________________
Carlo Arrigo

"Solo un entomologo può capire il piacere da me provato nel cacciare per ore in qua e in là, sotto il sole cocente, tra i rami e i ramoscelli e la corteccia degli alberi caduti"
Alfred Russel Wallace


Top
profilo
Visualizza ultimi messaggi:  Ordina per  
nuovo argomento
rispondi
Pagina 1 di 1 [ 5 messaggi ]

Tutti gli orari sono UTC + 1 ora [ ora legale ]


Chi c’è in linea

Visitano il forum: Nessuno e 2 ospiti


Non puoi aprire nuovi argomenti
Non puoi rispondere negli argomenti
Non puoi modificare i tuoi messaggi
Non puoi cancellare i tuoi messaggi
Non puoi inviare allegati

Cerca per:
Vai a: