Benvenuto Ospite

Forum Entomologi Italiani

www.entomologiitaliani.net/forum
 
Oggi è 10/11/2025, 9:14

Tutti gli orari sono UTC + 1 ora [ ora legale ]

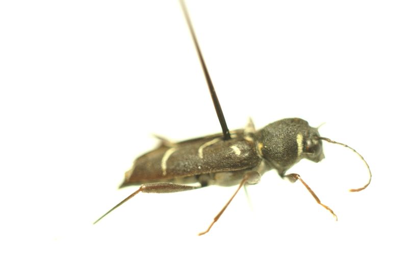
Xylotrechus (Xylotrechus) antilope antilope (Schöenherr, 1817) Dettagli della specie

25.VII.1998 - ITALIA - Toscana - PO, Vernio


nuovo argomento
rispondi
Pagina 1 di 1 [ 4 messaggi ]
Autore Messaggio
MessaggioInviato: 21/03/2015, 20:45 
 

Iscritto il: 09/08/2013, 15:35
Messaggi: 1260
Nome: Andrea marata
Salve,
... ho beccato almeno il genere?... :roll:
Grazie
Andrea :hi:
Dimensioni: 1,1 cm


DSC07353.jpg

DSC07354.jpg

DSC07355.jpg

Top
profilo
 Oggetto del messaggio: Re: Cerambicidae-Clytus?
MessaggioInviato: 21/03/2015, 20:52 
Avatar utente

Iscritto il: 23/09/2009, 15:14
Messaggi: 1394
Località: Verona
Nome: Alessandro Pinna
Ciao, a me sembra uno Xylotrechus antilope.

_________________
AleP


Top
profilo
 Oggetto del messaggio: Re: Cerambicidae-Clytus?
MessaggioInviato: 21/03/2015, 21:36 
 

Iscritto il: 09/08/2013, 15:35
Messaggi: 1260
Nome: Andrea marata
Ho toppato... :(
Grazie
Andrea :hi:


Top
profilo
 Oggetto del messaggio: Re: Cerambicidae-Clytus?
MessaggioInviato: 21/03/2015, 23:30 
Avatar utente

Iscritto il: 21/05/2009, 14:59
Messaggi: 6994
Località: Parigi
Nome: Riccardo Poloni
:ok: :ok:

_________________
Riccardo Poloni
La dignità degli elementi
la libertà della poesia,
al di là dei tradimenti degli uomini
è magia, è magia, è magia...
Negrita, Rotolando verso sud


Top
profilo
Visualizza ultimi messaggi:  Ordina per  
nuovo argomento
rispondi
Pagina 1 di 1 [ 4 messaggi ]

Tutti gli orari sono UTC + 1 ora [ ora legale ]


Chi c’è in linea

Visitano il forum: Nessuno e 1 ospite


Non puoi aprire nuovi argomenti
Non puoi rispondere negli argomenti
Non puoi modificare i tuoi messaggi
Non puoi cancellare i tuoi messaggi
Non puoi inviare allegati

Cerca per:
Vai a: