Benvenuto Ospite

Forum Entomologi Italiani

www.entomologiitaliani.net/forum
 
Oggi è 10/11/2025, 18:57

Tutti gli orari sono UTC + 1 ora [ ora legale ]

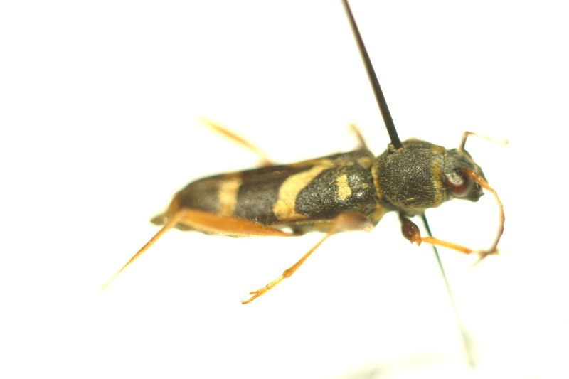
Clytus arietis arietis (Linnaeus, 1758) Dettagli della specie

2.VII.1993 - ITALIA - Toscana - PO, Vernio


nuovo argomento
rispondi
Pagina 1 di 1 [ 4 messaggi ]
Autore Messaggio
MessaggioInviato: 22/03/2015, 20:45 
 

Iscritto il: 09/08/2013, 15:35
Messaggi: 1260
Nome: Andrea marata
Salve,
... ho beccato almeno il genere?... :roll:
Grazie
Andrea :hi:
Dimensioni: 1,25 cm


DSC07361.jpg

DSC07362.jpg

DSC07363.jpg

Top
profilo
 Oggetto del messaggio: Re: Cerambicidae-Clytus?
MessaggioInviato: 23/03/2015, 23:59 
 

Iscritto il: 09/08/2013, 15:35
Messaggi: 1260
Nome: Andrea marata
Arietis? :roll:


Top
profilo
 Oggetto del messaggio: Re: Cerambicidae-Clytus?
MessaggioInviato: 24/03/2015, 11:42 
Avatar utente

Iscritto il: 16/10/2009, 21:03
Messaggi: 136
Località: Poland
Nome: Marcin Szewczyk
:ok:


Top
profilo
MessaggioInviato: 24/03/2015, 12:46 
 

Iscritto il: 09/08/2013, 15:35
Messaggi: 1260
Nome: Andrea marata
Grazie
Andrea :hi:


Top
profilo
Visualizza ultimi messaggi:  Ordina per  
nuovo argomento
rispondi
Pagina 1 di 1 [ 4 messaggi ]

Tutti gli orari sono UTC + 1 ora [ ora legale ]


Chi c’è in linea

Visitano il forum: Nessuno e 1 ospite


Non puoi aprire nuovi argomenti
Non puoi rispondere negli argomenti
Non puoi modificare i tuoi messaggi
Non puoi cancellare i tuoi messaggi
Non puoi inviare allegati

Cerca per:
Vai a: