| Forum Entomologi Italiani https://www.entomologiitaliani.net/public/forum/phpBB3/ |
|
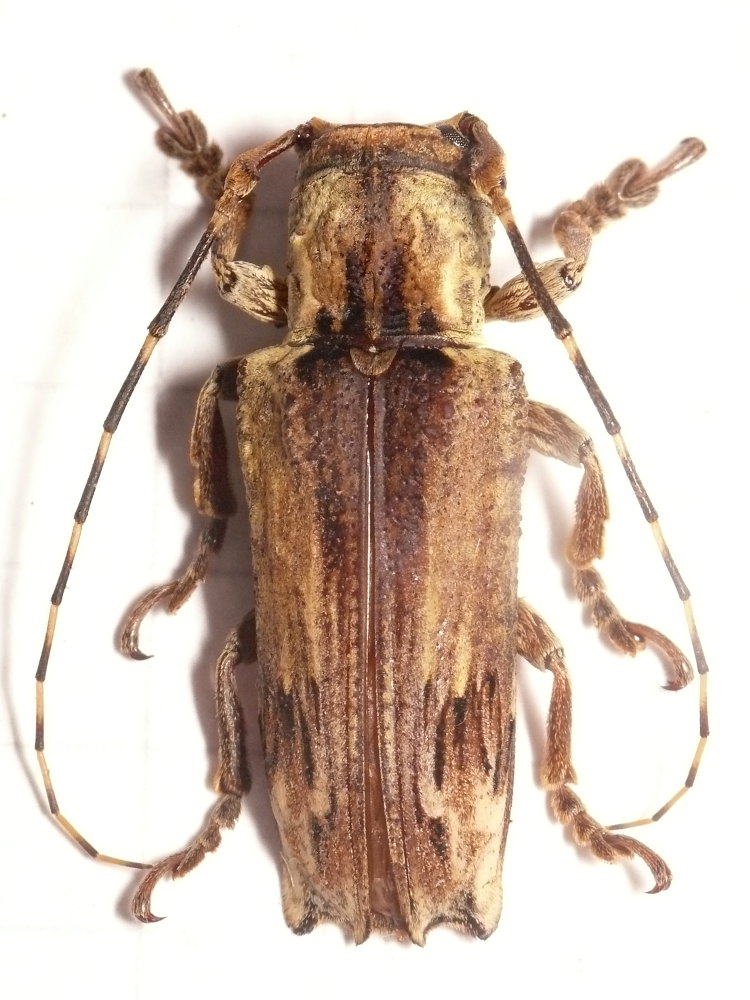
| Ecthoea quadricornis (Olivier, 1795) cf. - Cerambycidae https://www.entomologiitaliani.net/public/forum/phpBB3/viewtopic.php?f=145&t=61315 |
Pagina 1 di 1 |
| Autore: | Lenny [ 06/05/2015, 18:33 ] | ||
| Oggetto del messaggio: | Ecthoea quadricornis (Olivier, 1795) cf. - Cerambycidae | ||
Nice longhorn, about 23 mm, at the light
|
|||
| Autore: | Plagionotus [ 22/01/2018, 13:46 ] |
| Oggetto del messaggio: | Re: Cerambycidae Costa Rica |
It seems Ecthoea quadricornis (Olivier, 1795) but I'm absolutely not sure that could be this species... |
|
| Pagina 1 di 1 | Tutti gli orari sono UTC + 1 ora [ ora legale ] |
| Powered by phpBB® Forum Software © phpBB Group http://www.phpbb.com/ |
|