Benvenuto Ospite

Forum Entomologi Italiani

www.entomologiitaliani.net/forum
 
Oggi è 14/11/2025, 12:06

Tutti gli orari sono UTC + 1 ora [ ora legale ]

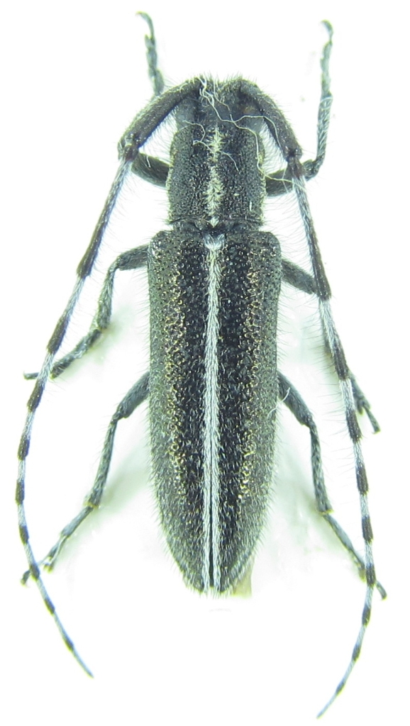
Agapanthia sp.- Cerambycidae

15.VI.2015 - TURCHIA - EE, Esenyurt


nuovo argomento
rispondi
Pagina 1 di 1 [ 2 messaggi ]
Autore Messaggio
 Oggetto del messaggio: Agapanthia sp.- Cerambycidae
MessaggioInviato: 16/06/2015, 19:33 
Avatar utente

Iscritto il: 21/09/2014, 11:55
Messaggi: 1561
Località: Istanbul Turkey
Nome: Barış
viewtopic.php?f=145&p=346359#p346359
Male of this species from the same location.What do you think?


Agapanthia suturalis 10mm-2.jpg

Top
profilo
 Oggetto del messaggio: Re: Agapanthia sp.-male?
MessaggioInviato: 17/06/2015, 9:04 
Avatar utente

Iscritto il: 21/09/2014, 11:55
Messaggi: 1561
Località: Istanbul Turkey
Nome: Barış
:?


Top
profilo
Visualizza ultimi messaggi:  Ordina per  
nuovo argomento
rispondi
Pagina 1 di 1 [ 2 messaggi ]

Tutti gli orari sono UTC + 1 ora [ ora legale ]


Chi c’è in linea

Visitano il forum: Bing [Bot] e 2 ospiti


Non puoi aprire nuovi argomenti
Non puoi rispondere negli argomenti
Non puoi modificare i tuoi messaggi
Non puoi cancellare i tuoi messaggi
Non puoi inviare allegati

Cerca per:
Vai a: