Benvenuto Ospite

Forum Entomologi Italiani

www.entomologiitaliani.net/forum
 
Oggi è 26/10/2025, 2:44

Tutti gli orari sono UTC + 1 ora [ ora legale ]

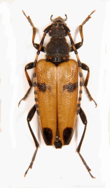
Stictoleptura deyrollei (Pic, 1895) - Cerambycidae

8.VIII.2009 - TURCHIA - EE, Trabzon prov., Zigana Dag, 1650m, F. Sandel leg.


nuovo argomento
rispondi
Pagina 1 di 1 [ 3 messaggi ]
Autore Messaggio
MessaggioInviato: 26/03/2010, 15:51 
Avatar utente

Iscritto il: 17/12/2009, 19:19
Messaggi: 571
Località: Miane (TV)
Nome: Franco Sandel
Questa dovrei averla azzeccata, ma meglio
chiedere conferma.

Strictoleptura deyrollei - Turkey-Trabzon prov.-Zigana Dag,1650 mt.-08-VIII-2009-16 mm. - Legit Franco Sandel


Strictoleptura deyrollei - Turkey-Trabzon prov.-Zigana Dag,1650 mt.-08-VIII-2009-16 mm. - Legit Franco Sandel
Strictoleptura deyrollei- Turkey-Trabzon prov.-Zigana Dag,1650 mt.-08-VIII-2009-16 mm. - Legit Franco Sandel.JPG


_________________
Effe Esse
Top
profilo
 Oggetto del messaggio: Re: Strictoleptura deyrollei
MessaggioInviato: 26/03/2010, 16:56 
Avatar utente

Iscritto il: 05/09/2009, 7:56
Messaggi: 3445
Località: Cesena
Nome: Gianfranco Sama
Franco, la specie l'hai presa, ma il genere è "storpiato".
Stictoleptura deyrollei (Pic, 1895)
Specie endemica della Turchia Nord orientale :no1:

_________________
Gianfranco Sama

"Benedetto colui che ti aiuta a correggere i tuoi errori invece di scagliarteli contro"
___________________________________
Gershom Sholem


Top
profilo
 Oggetto del messaggio: Re: Strictoleptura deyrollei
MessaggioInviato: 26/03/2010, 18:56 
Avatar utente

Iscritto il: 17/12/2009, 19:19
Messaggi: 571
Località: Miane (TV)
Nome: Franco Sandel
Isotomus ha scritto:
Franco, la specie l'hai presa, ma il genere è "storpiato".


Hai ragione, mi sa che dovro' rifare anche qualche cartellino.

Grazie per le determinazioni.
Ora e' tutto piu' chiaro :ok:

Franco

_________________
Effe Esse


Top
profilo
Visualizza ultimi messaggi:  Ordina per  
nuovo argomento
rispondi
Pagina 1 di 1 [ 3 messaggi ]

Tutti gli orari sono UTC + 1 ora [ ora legale ]


Chi c’è in linea

Visitano il forum: Nessuno e 7 ospiti


Non puoi aprire nuovi argomenti
Non puoi rispondere negli argomenti
Non puoi modificare i tuoi messaggi
Non puoi cancellare i tuoi messaggi
Non puoi inviare allegati

Cerca per:
Vai a:  
cron