Forum Entomologi Italiani
http://www.entomologiitaliani.net/public/forum/phpBB3/

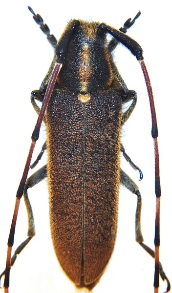
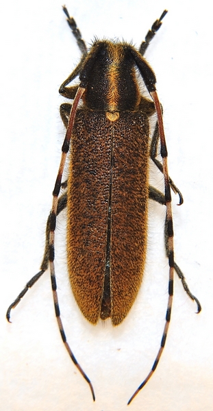
Agapanthia asphodeli (Latreille, 1804) - Cerambycidae
http://www.entomologiitaliani.net/public/forum/phpBB3/viewtopic.php?f=145&t=63119
Pagina 1 di 1

Autore:  zdeno [ 24/07/2015, 1:24 ]
Oggetto del messaggio:  Agapanthia asphodeli (Latreille, 1804) - Cerambycidae

Opinions please ? :idea:

Allegati:
DSC_0999 (2) - Copy.JPG

DSC_1004 - Copy.JPG

DSC_1015.JPG

DSC_1020.JPG

DSC_1008 - Copy.JPG


Autore:  Xylosteus [ 24/07/2015, 9:05 ]
Oggetto del messaggio:  Re: Agapanthia

Hi Zdeno,
it is, in my opinion, Agapanthia asphodeli. The host?
Ciao Pierpaolo

Autore:  Plagionotus [ 24/07/2015, 10:15 ]
Oggetto del messaggio:  Re: Agapanthia

Asphodeli?

Aveva giĆ  risposto il boss, pazienza :lol:

Autore:  zdeno [ 24/07/2015, 20:41 ]
Oggetto del messaggio:  Re: Agapanthia

Hi pips

Apiaceae and Aspodelus...

:hi:

Pagina 1 di 1 Tutti gli orari sono UTC + 1 ora [ ora legale ]
Powered by phpBB® Forum Software © phpBB Group
http://www.phpbb.com/