Benvenuto Ospite

Forum Entomologi Italiani

www.entomologiitaliani.net/forum
 
Oggi è 10/11/2025, 9:12

Tutti gli orari sono UTC + 1 ora [ ora legale ]

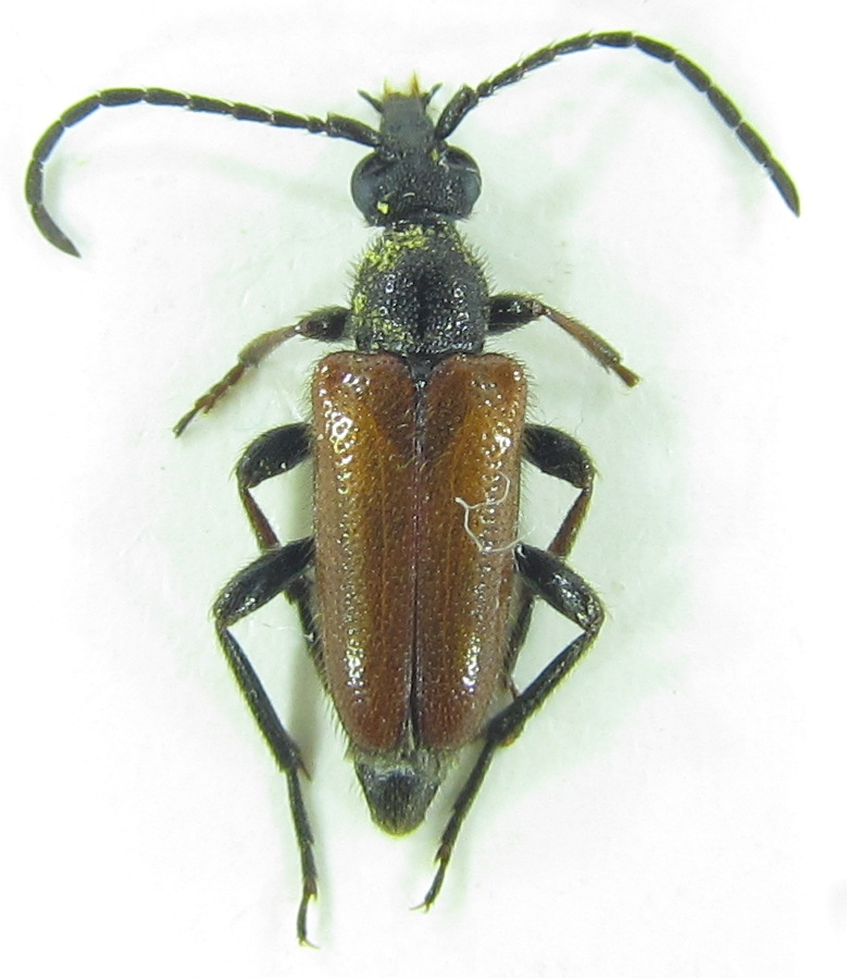
Pseudovadonia livida (Fabricius, 1776) - Cerambycidae

5.VII.2015 - TURCHIA - EE, Nevsehir


nuovo argomento
rispondi
Pagina 1 di 1 [ 6 messaggi ]
Autore Messaggio
MessaggioInviato: 26/07/2015, 14:26 
Avatar utente

Iscritto il: 21/09/2014, 11:55
Messaggi: 1561
Località: Istanbul Turkey
Nome: Barış
?
Size:9 mm


Cerambycidae sp 9mm 05-07-2015 Nevşehir.jpg

Top
profilo
 Oggetto del messaggio: Re: Cerambycidae? 3
MessaggioInviato: 26/07/2015, 19:16 
Avatar utente

Iscritto il: 21/05/2009, 14:59
Messaggi: 6994
Località: Parigi
Nome: Riccardo Poloni
It is Pseudovadonia livida, but I didn't know exactly the distribution of ssp. desbrochersi, exept that it is present in eastern Turkey. The locality is exaclty in the middle of the country so...

_________________
Riccardo Poloni
La dignità degli elementi
la libertà della poesia,
al di là dei tradimenti degli uomini
è magia, è magia, è magia...
Negrita, Rotolando verso sud


Top
profilo
 Oggetto del messaggio: Re: Cerambycidae? 3
MessaggioInviato: 26/07/2015, 19:38 
Avatar utente

Iscritto il: 21/09/2014, 11:55
Messaggi: 1561
Località: Istanbul Turkey
Nome: Barış
Genital examination would be helpful?


Top
profilo
 Oggetto del messaggio: Re: Cerambycidae? 3
MessaggioInviato: 26/07/2015, 20:26 
Avatar utente

Iscritto il: 21/05/2009, 14:59
Messaggi: 6994
Località: Parigi
Nome: Riccardo Poloni
I don't think so

_________________
Riccardo Poloni
La dignità degli elementi
la libertà della poesia,
al di là dei tradimenti degli uomini
è magia, è magia, è magia...
Negrita, Rotolando verso sud


Top
profilo
 Oggetto del messaggio: Re: Cerambycidae? 3
MessaggioInviato: 26/07/2015, 22:33 
Avatar utente

Iscritto il: 21/09/2014, 11:55
Messaggi: 1561
Località: Istanbul Turkey
Nome: Barış
From "THE LONGICORN BEETLES OF TURKEY (COLEOPTERA: CERAMBYCIDAE) PART I - BLACK SEA REGION"(Özdikmen 2007):
The species is represented by three subspecies in Turkey. P. livida desbrochersi (Pic, 1891) occurring in East or North-East Turkey, P. livida pecta (Adlbauer, 1988) occurring in South and West Turkey and the nominative P. livida livida occurring in other parts of Turkey
So Pseudovadonia livida livida


Top
profilo
 Oggetto del messaggio: Re: Cerambycidae? 3
MessaggioInviato: 27/07/2015, 14:25 
Avatar utente

Iscritto il: 21/05/2009, 14:59
Messaggi: 6994
Località: Parigi
Nome: Riccardo Poloni
The point is that I don't know exactly the distribution and the characters, and since this was collected in the middle of Turkey, I am not sure.

_________________
Riccardo Poloni
La dignità degli elementi
la libertà della poesia,
al di là dei tradimenti degli uomini
è magia, è magia, è magia...
Negrita, Rotolando verso sud


Top
profilo
Visualizza ultimi messaggi:  Ordina per  
nuovo argomento
rispondi
Pagina 1 di 1 [ 6 messaggi ]

Tutti gli orari sono UTC + 1 ora [ ora legale ]


Chi c’è in linea

Visitano il forum: Nessuno e 1 ospite


Non puoi aprire nuovi argomenti
Non puoi rispondere negli argomenti
Non puoi modificare i tuoi messaggi
Non puoi cancellare i tuoi messaggi
Non puoi inviare allegati

Cerca per:
Vai a: