| Forum Entomologi Italiani http://www.entomologiitaliani.net/public/forum/phpBB3/ |
|
| Trichoferus fasciculatus (Faldermann, 1837) - Cerambycidae http://www.entomologiitaliani.net/public/forum/phpBB3/viewtopic.php?f=145&t=63367 |
Pagina 1 di 1 |
| Autore: | Baris99 [ 06/08/2015, 10:54 ] | ||
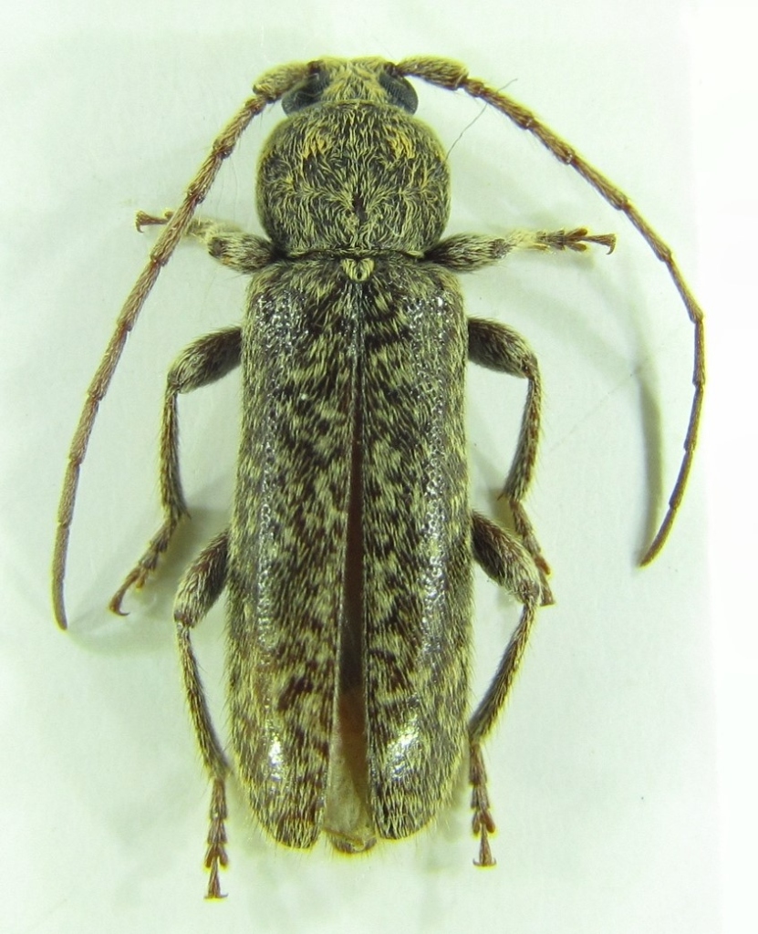
| Oggetto del messaggio: | Trichoferus fasciculatus (Faldermann, 1837) - Cerambycidae | ||
? Size:14,5 mm
|
|||
| Autore: | Xylosteus [ 06/08/2015, 12:26 ] |
| Oggetto del messaggio: | Re: Cerambycidae? |
It is Trichoferus fasciculatus. Pierpaolo |
|
| Autore: | Baris99 [ 06/08/2015, 12:33 ] |
| Oggetto del messaggio: | Re: Cerambycidae? |
Thanks
|
|
| Pagina 1 di 1 | Tutti gli orari sono UTC + 1 ora [ ora legale ] |
| Powered by phpBB® Forum Software © phpBB Group http://www.phpbb.com/ |
|