Forum Entomologi Italiani
http://www.entomologiitaliani.net/public/forum/phpBB3/

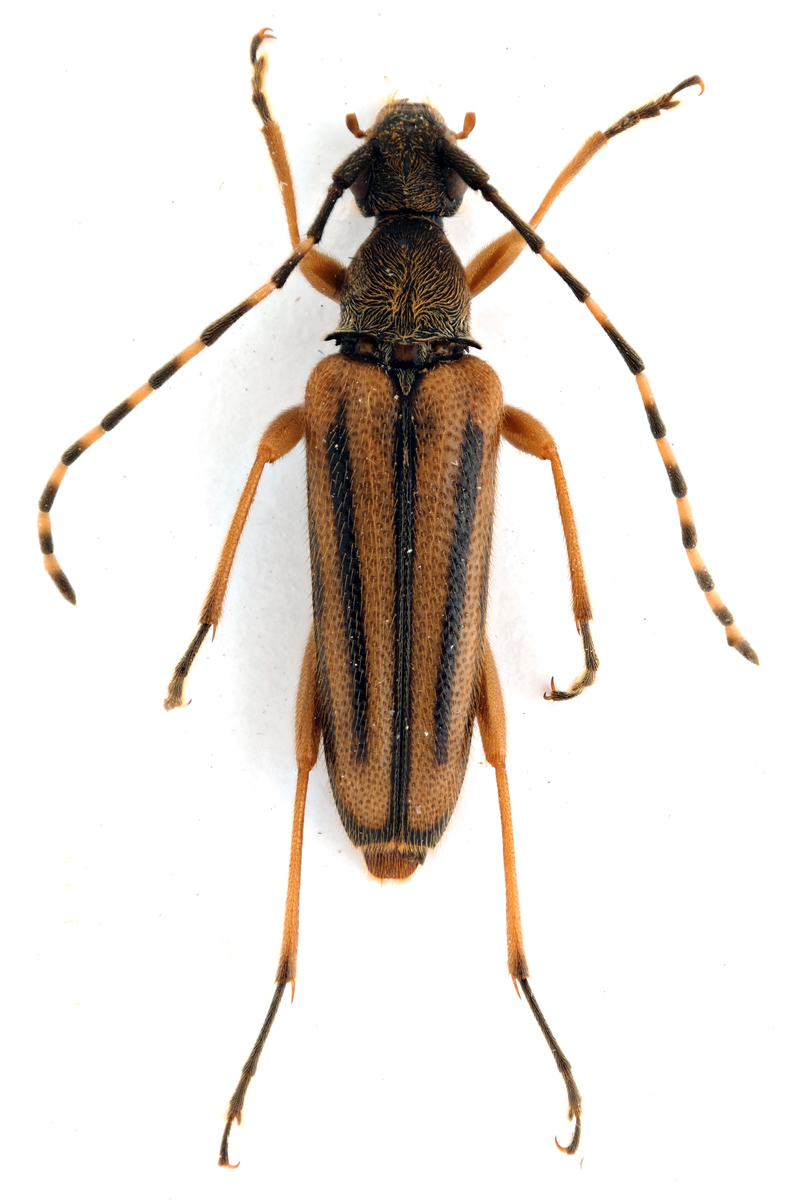
Analeptura lineola (Say 1824) - Cerambycidae
http://www.entomologiitaliani.net/public/forum/phpBB3/viewtopic.php?f=145&t=64298
Pagina 1 di 1

Autore:  StagBeetle [ 21/09/2015, 20:37 ]
Oggetto del messaggio:  Analeptura lineola (Say 1824) - Cerambycidae

Lepturino?

Frederick (Maryland - USA); 03.VII.2015

[grazie zio per le foto!!! :birra: ]

Dimensioni: 10mm
CombM1818_22zF3cr.jpg


CombM1819_53zF3cr.jpg


CombM1820_80zF3cr.jpg



Ciao :)

Autore:  Entomarci [ 21/09/2015, 20:50 ]
Oggetto del messaggio:  Re: Cerambycidae USA da ID

Sembra una alosterna

Autore:  Sleepy Moose [ 21/09/2015, 21:28 ]
Oggetto del messaggio:  Re: Cerambycidae USA da ID

Forse Analeptura lineola ?

Potrebbe essere la femmina di questa

Autore:  StagBeetle [ 21/09/2015, 21:32 ]
Oggetto del messaggio:  Re: Cerambycidae USA da ID

Parrebbe di si!

Pagina 1 di 1 Tutti gli orari sono UTC + 1 ora [ ora legale ]
Powered by phpBB® Forum Software © phpBB Group
http://www.phpbb.com/