Forum Entomologi Italiani
http://www.entomologiitaliani.net/public/forum/phpBB3/

Cerambyx miles Bonelli, 1812 - Cerambycidae
http://www.entomologiitaliani.net/public/forum/phpBB3/viewtopic.php?f=145&t=65346
Pagina 1 di 1

Autore:  StagBeetle [ 20/11/2015, 22:55 ]
Oggetto del messaggio:  Cerambyx miles Bonelli, 1812 - Cerambycidae

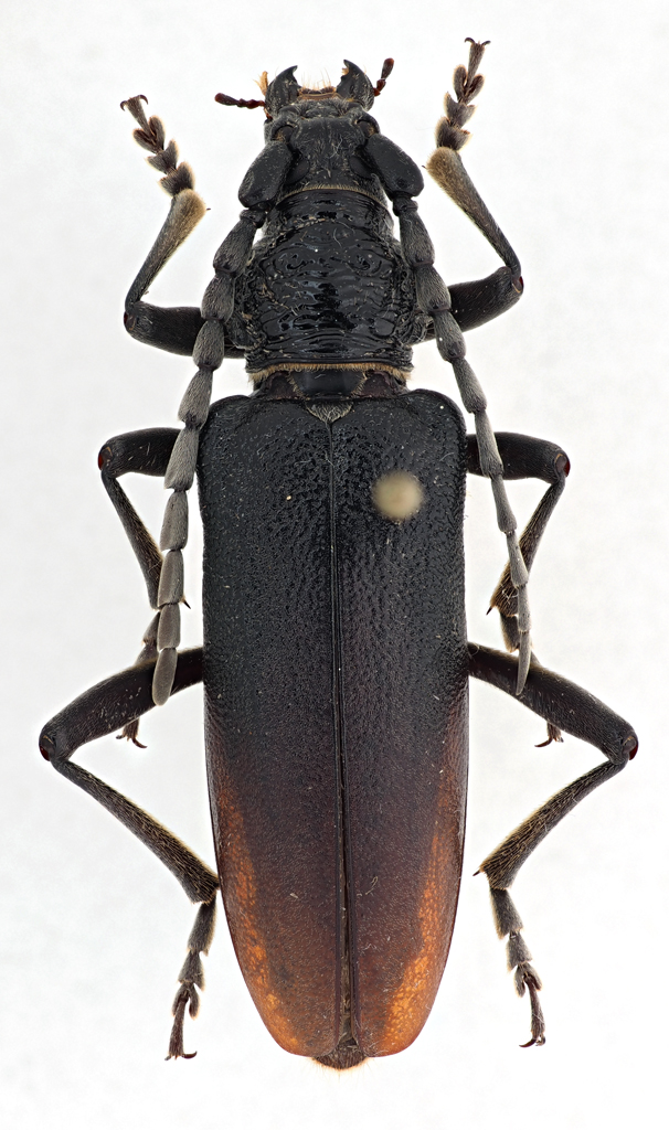
Cerambyx miles Bonelli, 1812.

Karlobag (Croazia); VII.1994; lg. M. Po

[grazie zio per le foto!!! :birra: ]

Dimensioni: 34mm
CombM1894_11zF5cr.jpg


CombM1896_48zF5cr.jpg


CombM1895_21zF5cr.jpg


CombM1897_18zF5cr.jpg



Ciao :)

Autore:  Xylosteus [ 21/11/2015, 15:21 ]
Oggetto del messaggio:  Re: Cerambyx miles Bonelli, 1812 - Cerambycidae

Ciao Giacomo,
a me sembra piuttosto una femmina di nodulosus anche se con qualche dubbio.
La località credo sia errata. Kralove è una città della Repubblica Ceca mentre penso possa essere Karlobag dove sia questa specie che miles sono frequenti.
Pierpaolo

Autore:  Plagionotus [ 21/11/2015, 15:32 ]
Oggetto del messaggio:  Re: Cerambyx miles Bonelli, 1812 - Cerambycidae

Ciao Giacomo, anche a me è venuto il dubbio sulla località. Conosco il raccoglitore, e il posto dove l'ha raccolto è senz'altro Karlobag, o Susanj o Vidovac senza dubbio.
Prova a guardare l'esemplare e vedere se la base delle elitre ha una rugosità che appare leggermente opaca, quasi sericea, oppure lucida. Nel primo caso è il miles, nel secondo nodulosus, anche se, lungi dal contraddire Pierpaolo, pare più un miles.

Autore:  StagBeetle [ 21/11/2015, 15:37 ]
Oggetto del messaggio:  Re: Cerambyx miles Bonelli, 1812 - Cerambycidae

Hai ragione sulla località. Ero andato a memoria e assonano.

Però sono abbastanza sicuro su miles. Confrontandola con due maschi e due femmine di nodulosus (1coppia marchigiana e 1 croata) risalta l'opacita elitrale, le elitre meno granulose, le antenne molto più corte e con i primi articoli molto meno ingrossati ed il pronoto con rughe molto più leggere in quella che considero miles.

Ciao

Pagina 1 di 1 Tutti gli orari sono UTC + 1 ora [ ora legale ]
Powered by phpBB® Forum Software © phpBB Group
http://www.phpbb.com/