Benvenuto Ospite

Forum Entomologi Italiani

www.entomologiitaliani.net/forum
 
Oggi è 22/12/2025, 10:11

Tutti gli orari sono UTC + 1 ora [ ora legale ]

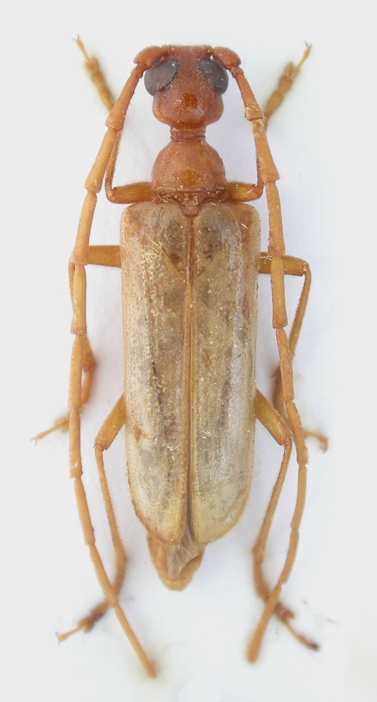
Vesperus brevicollis Graells, 1858 - Cerambycidae

23.VIII.2008 - SPAGNA - EE, Castilla y Leòn, Candelario, T. Gazurek leg.


nuovo argomento
rispondi
Pagina 1 di 1 [ 3 messaggi ]
Autore Messaggio
MessaggioInviato: 05/03/2016, 9:56 
Avatar utente

Iscritto il: 02/09/2009, 20:57
Messaggi: 8703
Località: Cagliari
Nome: Roberto Rattu
Altro Vesperus della ricca fauna spagnola: V. brevicollis. Esemplare lungo 15 mm

DSCN1487.JPG



Top
profilo
MessaggioInviato: 05/03/2016, 16:51 
Avatar utente

Iscritto il: 05/08/2009, 18:02
Messaggi: 2264
Nome: Marcello Benelli
questo mi manca!
Devo dire che i vesperus li ho sempre un po' snobbati poverini... solo recentemente ho concluso qualche scambio per procurarmi esemplari spagnoli... sono indubbiamente insetti interessantissimi.

_________________
Marci
"S'i fosse fuoco, arderei 'l mondo,
S'i fosse vento, lo tempesterei,
S'i fosse acqua, i' l'annegherei
s'i fosse dio, mandereil' en profondo" ( Cecco Angiolieri).


Top
profilo
MessaggioInviato: 05/03/2016, 23:04 
Avatar utente

Iscritto il: 02/09/2009, 20:57
Messaggi: 8703
Località: Cagliari
Nome: Roberto Rattu
Entomarci ha scritto:
sono indubbiamente insetti interessantissimi.

Concordo: almeno per i miei gusti e interessi personali li ritengo i meno 'banali' tra i Cerambycidae (soprattutto per gli aspetti legati alla biologia e alla distribuzione).

:hi:


Top
profilo
Visualizza ultimi messaggi:  Ordina per  
nuovo argomento
rispondi
Pagina 1 di 1 [ 3 messaggi ]

Tutti gli orari sono UTC + 1 ora [ ora legale ]


Chi c’è in linea

Visitano il forum: Bing [Bot] e 1 ospite


Non puoi aprire nuovi argomenti
Non puoi rispondere negli argomenti
Non puoi modificare i tuoi messaggi
Non puoi cancellare i tuoi messaggi
Non puoi inviare allegati

Cerca per:
Vai a: