Benvenuto Ospite

Forum Entomologi Italiani

www.entomologiitaliani.net/forum
 
Oggi è 10/11/2025, 2:47

Tutti gli orari sono UTC + 1 ora [ ora legale ]

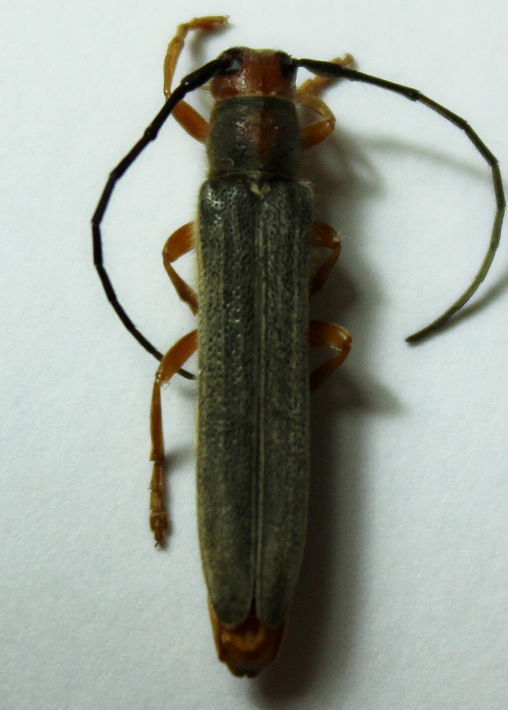
Oberea (Amaurostoma) euphorbiae (Germar, 1813) Dettagli della specie

15.V.2016 - ITALIA - Emilia-Romagna - FE, Mesola - frazione Santa Giustina


nuovo argomento
rispondi
Pagina 1 di 1 [ 6 messaggi ]
Autore Messaggio
MessaggioInviato: 15/05/2016, 23:09 
Avatar utente

Iscritto il: 09/06/2012, 20:57
Messaggi: 4282
Località: Mesola (FE)
Nome: Daniele Maccapani
Come raccontava qui Marco Villani :birra: :
http://www.entomologiitaliani.net/public/forum/phpBB3/viewtopic.php?f=28&t=65875&p=374766#p374766
in una recente uscita nel Ravennate ho avuto modo di osservare come vive questo raro cerambicide e su quale pianta.
In seguito, avevo adocchiato nella campagna di Mesola alcuni fossi in cui è presente l'Euphorbia palustris e che mi ero ripromesso di controllare alla prima occasione.
Oggi pomeriggio tornando da un bel pranzo a base di pesce :to: ho allungato un po' il tragitto per passare di fianco a quei fossi; andando molto piano in macchina, a un certo punto ho visto distintamente l'inconfondibile sagoma su un'euforbia! :hp:
Ho inchiodato la macchina (per fortuna dietro non arrivava nessuno :gh: ) e mi sono fiondato sulla bestiola :p
La fotograferò meglio appena la preparo, ma intanto... Eccola! :D Non è che sia poi così fuori dall'areale noto, ma credo sia comunque un dato interessante :)

Obera euphorbiae.JPG



Grazie a Marco Villani e a Giorgio Pezzi: se non avessi visto da loro come cercare questo cerambicide, non lo avrei mai trovato! :lov2:

:hi:

_________________
"Lasciate questo mondo un po' migliore di come lo avete trovato" (Sir Robert Baden Powell)
Immagine Daniele


Top
profilo
MessaggioInviato: 15/05/2016, 23:54 
Avatar utente

Iscritto il: 18/02/2009, 0:24
Messaggi: 3909
Località: Asciano (Siena)
Nome: Andrea Petrioli
Bravo Daniele :birra: :birra: :birra:

Sempre bella :ok:

_________________
:hi:
______
Andrea


Top
profilo
MessaggioInviato: 16/05/2016, 17:26 
Avatar utente

Iscritto il: 19/06/2012, 14:35
Messaggi: 5637
Località: Alfonsine (RA)
Nome: Marco Villani
E io che volevo tenertene una coppia ravennate :no: .
Bravissimo Daniele! :ok: :birra:
Ora dovrebbero esserci 3 località dove questa specie sembra tutt'ora esistere: questa, le zone umide di Ravenna e Quattrocase. Però probabilmente esiste anche altrove, solo che nessuno la cerca sulle piante isolate in ambienti a scarsa naturalità (vedi il post di Quattrocase).
Prova a tornare sul posto. Ce ne saranno sicuramente altre ;) .


Top
profilo
MessaggioInviato: 16/05/2016, 22:29 
Avatar utente

Iscritto il: 09/06/2012, 20:57
Messaggi: 4282
Località: Mesola (FE)
Nome: Daniele Maccapani
marco villa ha scritto:
E io che volevo tenertene una coppia ravennate :no: .

:mrgreen: :mrgreen: Grazie del pensiero :lov2:

marco villa ha scritto:
Però probabilmente esiste anche altrove, solo che nessuno la cerca sulle piante isolate in ambienti a scarsa naturalità (vedi il post di Quattrocase).

Infatti anche la mia era in un ambiente molto simile; molto vicino c'è il Bosco di Santa Giustina, quindi volendo un po' più di naturalità... Ma nel bosco di aree umide adatte non ce n'è, le euforbie sono tutte nei fossi attorno ai campi coltivati!
Penso anche io che guardando meglio negli ambienti normalmente trascurati possa saltare fuori da più posti :ok: (almeno, voglio sperarlo!)

:hi:

_________________
"Lasciate questo mondo un po' migliore di come lo avete trovato" (Sir Robert Baden Powell)
Immagine Daniele


Top
profilo
MessaggioInviato: 17/05/2016, 16:01 
Avatar utente

Iscritto il: 19/06/2012, 14:35
Messaggi: 5637
Località: Alfonsine (RA)
Nome: Marco Villani
Daniele Maccapani ha scritto:
Infatti anche la mia era in un ambiente molto simile; molto vicino c'è il Bosco di Santa Giustina, quindi volendo un po' più di naturalità... Ma nel bosco di aree umide adatte non ce n'è, le euforbie sono tutte nei fossi attorno ai campi coltivati!
Penso anche io che guardando meglio negli ambienti normalmente trascurati possa saltare fuori da più posti (almeno, voglio sperarlo!)


Già, però non capisco come mai la pianta, da noi, sia così localizzata solo in pochi ambienti, anche molto diversi tra loro. Di euforbia palustre ne ho vista in zone prative umide, nei boschi e a quanto pare anche vicino a fossi e a campi trattati. sarà forse solo un problema di dispersione dei semi, dato che in quanto ad adattabilità ha poco da invidiare a molte piante con cui convive? In tal caso mi piacerebbe provare a piantarne un po' dalle mie parti, ad esempio sulle sponde del naviglio nell'area della riserva di Alfonsine.
I fossi dove hai trovato l'euforbia da te erano asciutti o c'era ancora acqua?


Top
profilo
MessaggioInviato: 17/05/2016, 17:02 
Avatar utente

Iscritto il: 09/06/2012, 20:57
Messaggi: 4282
Località: Mesola (FE)
Nome: Daniele Maccapani
Buona domanda!
La pianta effettivamente è molto caratteristica (se la riconosco io..! :mrgreen: ), e se c'è si vede.. Quindi non si può pensare ad una rarità apparente, dev'essere davvero molto localizzata...
Disseminarla arificialmente potrebbe non essere una cattiva idea.. :roll:

:hi:

Ps: il fosso dove l'ho trovata io era così pieno di vegetazione igrofila (euforbia, iris, tipha, ecc..) che non si vedeva minimamente il fondo, quindi non so se ci fosse acqua, ma penserei di si.. (È un piccolo fosso, quindi si raggiungeva l'euforbia senza entrarci coi piedi)

_________________
"Lasciate questo mondo un po' migliore di come lo avete trovato" (Sir Robert Baden Powell)
Immagine Daniele


Top
profilo
Visualizza ultimi messaggi:  Ordina per  
nuovo argomento
rispondi
Pagina 1 di 1 [ 6 messaggi ]

Tutti gli orari sono UTC + 1 ora [ ora legale ]


Chi c’è in linea

Visitano il forum: Nessuno e 1 ospite


Non puoi aprire nuovi argomenti
Non puoi rispondere negli argomenti
Non puoi modificare i tuoi messaggi
Non puoi cancellare i tuoi messaggi
Non puoi inviare allegati

Cerca per:
Vai a: