Benvenuto Ospite

Forum Entomologi Italiani

www.entomologiitaliani.net/forum
 
Oggi è 10/11/2025, 9:40

Tutti gli orari sono UTC + 1 ora [ ora legale ]

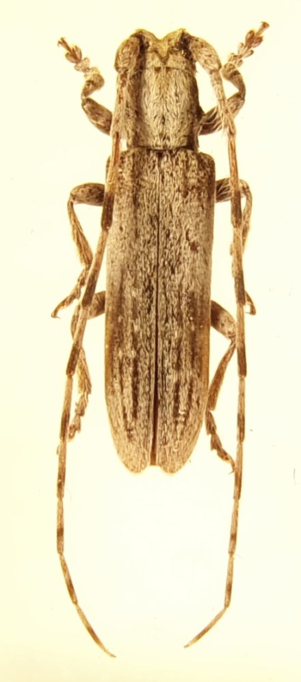
Deroplia troberti troberti (Mulsant, 1843) Dettagli della specie

26.IV.2016 - ITALIA - Toscana - GR, dintorni di Scarlino


nuovo argomento
rispondi
Pagina 1 di 1 [ 2 messaggi ]
Autore Messaggio
MessaggioInviato: 17/05/2016, 20:37 
 

Iscritto il: 08/12/2013, 1:52
Messaggi: 7534
Località: Bagnacavallo (RA)
Nome: Giorgio Pezzi
Prima che Marco (Villani) mi bacchetti nuovamente :no1: , a sua insistente richiesta, posto questa specie reperita grazie ai buoni uffici di Marco Bastianini e Stefano Nappini su rametti di leccio in loco; l'esemplare misura mm 10 (un'altro solo 7 scarsi).
:hi:
103_0484.JPG



Top
profilo
 Oggetto del messaggio: Re: Deroplia troberti (Mulsant 1843)
MessaggioInviato: 17/05/2016, 20:47 
Avatar utente

Iscritto il: 19/06/2012, 14:35
Messaggi: 5637
Località: Alfonsine (RA)
Nome: Marco Villani
Chalybion ha scritto:
Prima che Marco (Villani) mi bacchetti nuovamente :no1: , a sua insistente richiesta, posto questa specie reperita grazie ai buoni uffici di Marco Bastianini e Stefano Nappini su rametti di leccio in loco; l'esemplare misura mm 10 (un'altro solo 7 scarsi).
:hi:
103_0484.JPG


:to:
Proprio bello questo cerambicide! Spero ci capiti di trovarlo in Sardegna (dove attacca più che altro Pistacia lentiscus e Euphorbia dendroides).
Grazie per la foto.
:hi:


Top
profilo
Visualizza ultimi messaggi:  Ordina per  
nuovo argomento
rispondi
Pagina 1 di 1 [ 2 messaggi ]

Tutti gli orari sono UTC + 1 ora [ ora legale ]


Chi c’è in linea

Visitano il forum: Nessuno e 5 ospiti


Non puoi aprire nuovi argomenti
Non puoi rispondere negli argomenti
Non puoi modificare i tuoi messaggi
Non puoi cancellare i tuoi messaggi
Non puoi inviare allegati

Cerca per:
Vai a: