| Forum Entomologi Italiani http://www.entomologiitaliani.net/public/forum/phpBB3/ |
|
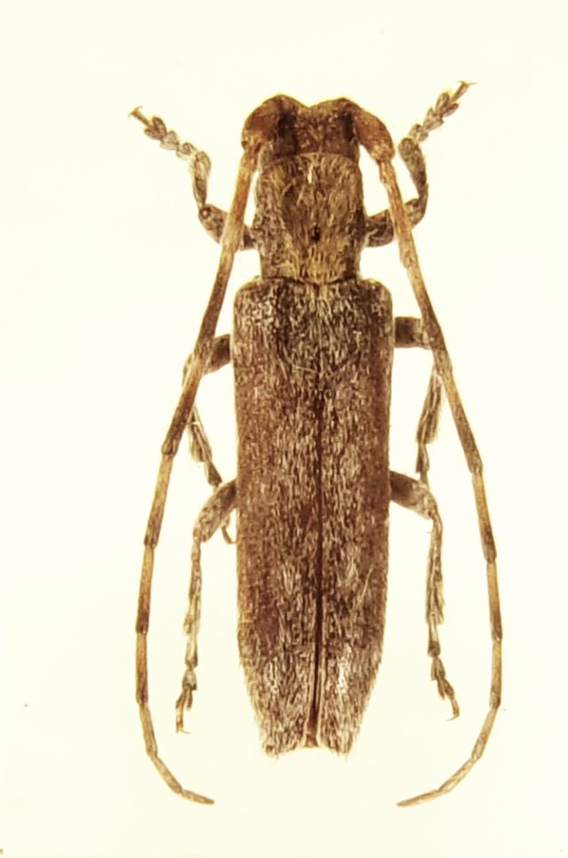
| Deroplia genei genei (Aragona, 1830) - Cerambycidae http://www.entomologiitaliani.net/public/forum/phpBB3/viewtopic.php?f=145&t=68199 |
Pagina 1 di 1 |
| Autore: | Chalybion [ 17/05/2016, 20:34 ] |
| Oggetto del messaggio: | Deroplia genei genei (Aragona, 1830) - Cerambycidae |
Prima che Marco (Villani) mi bacchetti nuovamente , a sua insistente richiesta, posto quest'altra specie reperita grazie ai buoni uffici di Marco Bastianini e Stefano Nappini su rametti di leccio in loco; l'esemplare misura mm 7.
|
|
| Autore: | marco villa [ 17/05/2016, 20:51 ] |
| Oggetto del messaggio: | Re: Deroplia genei (Aragona 1830) |
Anche questo è proprio bello. Però, a differenza della D. troberti, potrebbe trovarsi anche nei lecci dei dirupi nelle oasi xerofile romagnole. E' segnalata non lontano dalla Romagna, a Paderno (BO). |
|
| Pagina 1 di 1 | Tutti gli orari sono UTC + 1 ora [ ora legale ] |
| Powered by phpBB® Forum Software © phpBB Group http://www.phpbb.com/ |
|